Local Service Overview

Get Ants Extermination Service in West Jordan, UT

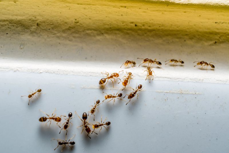
Ants extermination services for property owners in West Jordan, UT, and nearby areas address ant infestations, prevent future outbreaks, and handle residential and commercial pest control projects.

West Jordan, UT

Ants extermination services are an essential consideration for property owners in West Jordan, UT seeking to maintain a comfortable and functional living or working environment. Effective pest control helps prevent ant infestations that can disrupt daily routines, damage structures, or contaminate food supplies. By addressing ant issues promptly, property owners can enjoy increased safety and peace of mind, knowing that their spaces are protected from potential infestations that could lead to more extensive problems if left untreated.

Engaging professional ant extermination services also offers benefits related to property durability and curb appeal. Regular treatment can reduce the likelihood of structural damage caused by persistent ant activity, ultimately lowering maintenance needs over time. Additionally, a well-maintained exterior free of ant colonies enhances the overall appearance of a property, contributing to a more inviting and appealing environment for residents, visitors, or customers.

Get Ants Extermination Service Quotes

  • Ants Extermination - When ants invade kitchens or pantry areas in residential or commercial properties.
  • Ants Extermination - For property owners experiencing persistent ant colonies in outdoor landscaping or garden beds.
  • Ants Extermination - If ants are found nesting within wall voids or inaccessible indoor spaces.
  • Ants Extermination - When ant trails are visible across walkways, driveways, or entry points around a property.
  • Ants Extermination - In cases where ant activity is detected near foundation cracks or around exterior perimeter zones.

Get Ants Extermination Service Quotes

Ants Extermination Service
Ants Extermination Service
Ants Extermination Service

Ants extermination services involve identifying and eliminating ant colonies within a property to restore a pest-free environment. Professionals typically conduct thorough inspections to determine the extent of the infestation and locate nesting sites. Treatment methods may include the application of targeted baits, insecticides, or barriers designed to prevent ants from entering the premises. These services aim to reduce ant populations efficiently while minimizing disruption to the property and its occupants.

The primary problems addressed by ants extermination services include preventing structural damage, controlling contamination, and reducing nuisance. Certain ant species, such as carpenter ants, can cause significant damage by burrowing into wood structures, compromising the integrity of buildings. Other ants, like fire ants, pose health risks through painful stings and allergic reactions. Extermination services help manage these issues by removing active colonies and implementing preventative measures to discourage future invasions.

Properties that commonly utilize ants extermination services range from residential homes to commercial buildings. Homes in areas with high ant activity often seek professional help to protect food supplies, prevent damage, and maintain a comfortable living environment. Commercial establishments, including restaurants and food processing facilities, frequently require pest control to meet health standards and ensure safety. Additionally, property managers and landlords may engage pest control providers to address ant issues across multiple units or complexes.

Professional ant extermination services are essential for addressing persistent infestations that DIY methods may not resolve effectively. By targeting the source of the problem and applying specialized treatments, local pest control providers help property owners regain control over ant populations. Whether dealing with minor nuisance issues or severe infestations, contacting experienced service providers ensures that appropriate, effective solutions are implemented to maintain a pest-free environment.

The overview below groups typical Ants Extermination Service projects into broad ranges so you can see how smaller, mid-sized, and larger jobs often compare in West Jordan, UT.

In many markets, a large share of routine jobs stays in the lower and middle ranges, while only a smaller percentage of projects moves into the highest bands when the work is more complex or site conditions are harder than average.

Initial Inspection - The cost for an ant extermination consultation typically ranges from $50 to $150. This fee covers an inspection of the affected areas to identify ant activity and entry points.

Perimeter Treatment - Applying a barrier around the property usually costs between $100 and $300. The price varies based on the size of the area and the extent of ant activity.

Spot Treatments - Targeted ant control in specific areas can range from $75 to $200 per treatment. This option is suitable for localized infestations requiring focused application.

Ongoing Maintenance - Regular service plans for ant prevention typically cost between $200 and $600 annually. These plans include periodic treatments to keep ants from returning.

Actual totals will depend on details like access to the work area, the scope of the project, and the materials selected, so use these as general starting points rather than exact figures.

Get an Ants Extermination Service Quote

Ants Extermination - Local pest control providers offer specialized services to eliminate ant infestations in residential and commercial properties in West Jordan, UT and surrounding areas.

Ants Inspection - Professionals conduct thorough inspections to identify ant species and determine the extent of infestations, ensuring targeted treatment solutions.

Ants Prevention - Service providers implement preventive measures to reduce the likelihood of future ant invasions through property treatments and sanitation advice.

Ants Baiting - Local pros utilize baiting techniques to control ant colonies effectively, minimizing the need for extensive chemical applications.

Ants Barrier Treatments - Experts apply barrier treatments around structures to create a protective zone that deters ants from entering the premises.

Ants Removal - Professionals provide removal services to eliminate existing ant colonies and restore pest-free environments efficiently.

Ants Extermination Service

When comparing local professionals for ant extermination services, experience is a key factor to consider. It’s beneficial to review how long a pest control provider has been operating in the West Jordan area and their familiarity with ant species common to the region. An experienced contractor will typically have a deeper understanding of effective treatment methods and potential challenges, which can contribute to more efficient and targeted solutions. Additionally, reputable providers often have established relationships within the community and a history of successfully managing ant infestations, which can be an indicator of their reliability.

Clear communication and written expectations are essential when selecting a pest control service. Homeowners should seek providers who offer detailed information about their treatment process, what to expect during and after service, and any preparations needed beforehand. Transparent communication helps ensure that both parties are aligned on the scope of work and desired outcomes. Reputable local pros tend to provide comprehensive written estimates or plans, helping homeowners make informed decisions without surprises or misunderstandings.

Reputation and references from previous clients can also influence the decision-making process. Local professionals with a solid track record often have positive references or reviews from homeowners in the West Jordan area. These references can provide insights into the quality of service, professionalism, and effectiveness of treatments. Reliable providers are typically responsive and maintain open lines of communication, making it easier for homeowners to ask questions, express concerns, and stay informed throughout the process. While the site connects users with local pros, it’s important to verify these qualities directly with the service providers to find the best match for ant extermination needs.

Get an Ants Extermination Service Quote

Property owners in West Jordan, UT use Ants Extermination Service services for practical projects around their homes and businesses. The sections below highlight everyday jobs and straightforward project options.

Ants Extermination Service
Ants Extermination Service

Ants extermination services are commonly sought by property owners in West Jordan, UT, who notice ant activity around their homes or businesses. Common situations include discovering trails of ants in kitchens, bathrooms, or along exterior walls, especially during warmer months when ants become more active. Property owners may also seek assistance if ant colonies are found nesting in lawns, gardens, or near foundation cracks, which can lead to ongoing infestations if not addressed promptly.

Many property owners look for ant extermination services to prevent potential damage or inconvenience caused by ant colonies. In some cases, ants can invade stored food, contaminate surfaces, or create unsightly trails that affect the appearance of a property. Professional pest control providers are often contacted to implement targeted treatments and prevent future infestations, helping maintain a clean and comfortable living or working environment in West Jordan, UT.

Get an Ants Extermination Service Quote

How do ant extermination services work? Ant extermination services typically involve inspecting the property to identify ant colonies and entry points, then applying targeted treatments to eliminate ants and prevent future infestations. Local service providers use various methods such as baiting, dusting, or liquid treatments to address the problem effectively.

Are ant extermination treatments safe for pets and children? Most professional ant extermination treatments are designed to be safe when applied by trained technicians, but it is recommended to follow any specific safety instructions provided by the service provider and keep pets and children away during and shortly after treatment.

How long does an ant extermination treatment usually last? The duration of effectiveness can vary depending on the treatment method and the severity of the infestation. Typically, treatments can provide relief for several weeks to months, but ongoing prevention may require follow-up services.

Can ant extermination services prevent future infestations? Yes, many service providers offer preventative treatments and advice to help reduce the likelihood of future ant problems by addressing entry points and eliminating food sources.

What should I do before an ant extermination appointment? It is recommended to clear the area around ant entry points and remove any food or water sources that could attract ants, to allow the technician to effectively treat the affected areas.

Ant Control Solutions - Local pest control providers offer targeted treatments to eliminate ant infestations and prevent future problems.

Inspection and Identification - Pros can identify ant species and assess entry points to develop effective extermination strategies.

DIY Prevention Tips - Experts can advise on sealing cracks, removing food sources, and maintaining outdoor areas to reduce ant activity.

Ongoing Monitoring Services - Regular inspections help ensure ant issues are managed and do not reoccur over time.

Ants Extermination Service

Considering Ants Extermination Service for a property in West Jordan, UT? The sections above highlight common project types, practical options, and details that often shape the scope of work.

When you are ready, use the quote form to share a few details about your project. Local pros can review the basics and respond with options that match what you have in mind.

Get an Ants Extermination Service Quote

Ants Extermination Quotes

Get Professional Services