Local Service Overview

Get Ants Extermination Service in Union Grove, WI

Ants extermination services for property owners in Union Grove, WI, and nearby areas address ant infestations, prevent future invasions, and handle residential and commercial pest control projects.

Union Grove, WI

Ants extermination services in Union Grove, WI, are essential for property owners seeking to maintain a comfortable and functional living or working environment. Effective removal helps prevent infestations that can disrupt daily routines, damage structures, and contaminate food supplies. By addressing ant problems promptly, property owners can enjoy peace of mind, knowing their spaces are safer, cleaner, and less prone to pest-related issues.

Engaging professional extermination services also offers benefits such as enhanced durability of property features, reduced ongoing maintenance needs, and improved curb appeal. Proper pest control not only preserves the integrity of building exteriors and landscaping but also contributes to a more inviting appearance. With the assistance of local experts, property owners can achieve long-lasting results that support safety, comfort, and the overall value of their property.

Get Ants Extermination Service Quotes

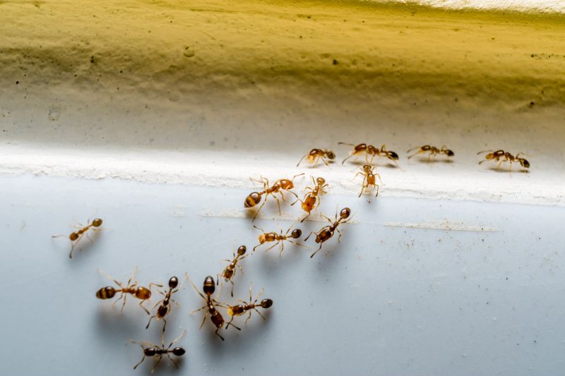
  • Ants Extermination Services are needed when homeowners notice ant trails or nests inside or around their property.
  • Residential properties in Union Grove, WI, and nearby areas may require ant control during warmer months when ants become more active.
  • Commercial spaces experiencing ant infestations might seek professional extermination to maintain hygiene standards.
  • Ants invading kitchens, pantries, or food storage areas often prompt the need for specialized pest control services.
  • Properties with persistent ant problems despite basic treatments can benefit from expert extermination solutions.

Get Ants Extermination Service Quotes

Ants Extermination Service
Ants Extermination Service
Ants Extermination Service

Ants extermination services involve the identification and elimination of ant colonies within residential, commercial, or industrial properties. These services typically include thorough inspections to locate the source of the infestation, followed by targeted treatment methods to eradicate ants and prevent future invasions. Professionals may utilize a combination of baits, sprays, and dusts designed to eliminate ants at various stages of their life cycle, ensuring a comprehensive approach to pest control. The goal is to remove the nuisance of ants while minimizing disruption to the property and its occupants.

These services address common problems caused by ant infestations, such as property damage, contamination of food supplies, and general nuisance. Certain ant species, like carpenter ants, can cause structural damage by burrowing into wood, while others, such as fire ants, pose health risks through painful stings. Effective extermination not only reduces these immediate concerns but also helps prevent recurring issues, which can be especially important in maintaining hygiene and safety in food establishments, homes, and outdoor spaces.

Properties that typically utilize ants extermination services include single-family homes, apartment complexes, restaurants, and commercial facilities. Residential properties often seek treatment to protect indoor living spaces and gardens from ant invasions. Commercial properties, especially those involved in food production or handling, require professional pest control to meet health standards and prevent contamination. Outdoor areas, such as gardens and patios, may also be treated to control ant populations and protect landscaping from damage.

Engaging a local pest control provider for ants extermination services ensures access to experienced professionals familiar with the specific ant species and conditions in the area. These experts assess the severity of the infestation and recommend appropriate treatment plans tailored to the property’s needs. Regular inspections and maintenance can be part of ongoing pest management, helping property owners maintain a pest-free environment and reduce the likelihood of future ant problems.

The overview below groups typical Ants Extermination Service projects into broad ranges so you can see how smaller, mid-sized, and larger jobs often compare in Union Grove, WI.

In many markets, a large share of routine jobs stays in the lower and middle ranges, while only a smaller percentage of projects moves into the highest bands when the work is more complex or site conditions are harder than average.

Initial Inspection - The cost for an ant inspection typically ranges from $50 to $150, depending on the property's size and location. This fee covers identifying the extent of the infestation and potential entry points.

Treatment Services - Ant extermination treatments generally cost between $100 and $300 per service. Prices vary based on the severity of the infestation and the treatment method used.

Follow-up Visits - Follow-up visits to ensure ant control can range from $75 to $200 each. These visits help maintain long-term control and address any recurring issues.

Whole-Property Extermination - Complete property treatments for ant infestations typically fall within the $200 to $500 range. Larger homes or extensive infestations may increase the cost.

Actual totals will depend on details like access to the work area, the scope of the project, and the materials selected, so use these as general starting points rather than exact figures.

Get an Ants Extermination Service Quote

Ants Extermination services connect homeowners with local pest control specialists experienced in effectively eliminating ant infestations. These professionals assess the extent of the ant problem and implement targeted treatment plans.

Residential Ants Removal providers focus on safely and efficiently removing ants from homes, ensuring minimal disruption to daily routines for residents in Union Grove, WI, and nearby areas.

Commercial Ants Control services assist local businesses in managing ant issues to maintain a clean and pest-free environment, complying with health and safety standards.

Eco-Friendly Ants Treatment options are available through local providers who use environmentally conscious products and methods to control ant populations responsibly.

Preventive Ants Management services help establish barriers and ongoing monitoring to reduce the likelihood of future ant invasions around properties.

Emergency Ants Extermination services are accessible for urgent situations requiring prompt attention to eliminate ant colonies quickly and effectively.

Ants Extermination Service

When selecting a professional for ant extermination services, experience is a key factor to consider. Local providers often bring a wealth of knowledge about common ant species in the Union Grove area and effective treatment methods tailored to local conditions. Homeowners can review the background and years of service of various contractors to gauge their familiarity with ant control challenges specific to the region, helping to ensure the chosen professional has the practical expertise needed for effective results.

Clear communication and well-defined expectations are essential when working with a pest control service. Reputable local pros typically provide detailed descriptions of their treatment approaches, what homeowners can expect during and after the service, and any necessary preparations. This transparency helps establish a mutual understanding and ensures that homeowners are well-informed about the process, reducing potential misunderstandings or surprises.

References and reputation are valuable indicators of a contractor’s reliability and quality of work. Homeowners are encouraged to seek out local pros with positive references from previous clients or a strong reputation within the community. By reviewing feedback and testimonials, homeowners can gain insights into the professionalism, responsiveness, and effectiveness of the service providers. Since this platform introduces local options and is not a contractor itself, it is recommended to contact multiple providers to compare their experience, communication style, and references before making a decision.

Get an Ants Extermination Service Quote

Property owners in Union Grove, WI use Ants Extermination Service services for practical projects around their homes and businesses. The sections below highlight everyday jobs and straightforward project options.

Ants Extermination Service
Ants Extermination Service

Ants extermination services are often sought by property owners in Union Grove, WI, dealing with common pest issues that disrupt daily life. Whether ants invade kitchens, pantry areas, or outdoor spaces near the home, residents may look for professional assistance to eliminate these persistent pests effectively. Local service providers can assess the extent of an ant infestation and recommend targeted solutions to restore comfort and prevent future problems.

Property owners might also seek ants extermination when noticing increased activity around their property, especially during warmer months when ants are more active. In addition to immediate removal, local pros can advise on measures to reduce attractants and improve overall pest management strategies. Engaging experienced exterminators can help maintain a pest-free environment in both residential and commercial properties throughout Union Grove.

Get an Ants Extermination Service Quote

How do ant extermination services work? Ant extermination services typically involve inspecting the affected area, identifying ant species and entry points, and applying targeted treatments to eliminate colonies and prevent future infestations.

Are the treatments safe for children and pets? Many local pros use treatments designed to be safe around children and pets; it is recommended to discuss specific safety concerns with the service provider.

How long does an ant extermination treatment take? The duration of treatment varies depending on the extent of the infestation, but most services can be completed within a few hours.

Will I need multiple visits for complete ant control? Some ant infestations may require follow-up treatments to ensure complete eradication, especially if the colony is large or deeply established.

How can I prevent future ant problems? Local pros often recommend ongoing maintenance, sealing entry points, and removing attractants to help prevent ants from returning.

Ants Extermination Solutions - Local service providers offer targeted treatments to eliminate ant colonies and prevent future infestations.

Inspection and Identification - Pros can assess property conditions to identify ant entry points and nesting areas for effective removal.

Preventative Treatments - Experts apply barriers and treatments to discourage ants from returning to residential or commercial spaces.

Ongoing Monitoring and Maintenance - Service providers can establish plans to monitor ant activity and maintain a pest-free environment.

Ants Extermination Service

Considering Ants Extermination Service for a property in Union Grove, WI? The sections above highlight common project types, practical options, and details that often shape the scope of work.

When you are ready, use the quote form to share a few details about your project. Local pros can review the basics and respond with options that match what you have in mind.

Get an Ants Extermination Service Quote

Ants Extermination Quotes