Local Service Overview

Get Ants Extermination Service in Spring, TX

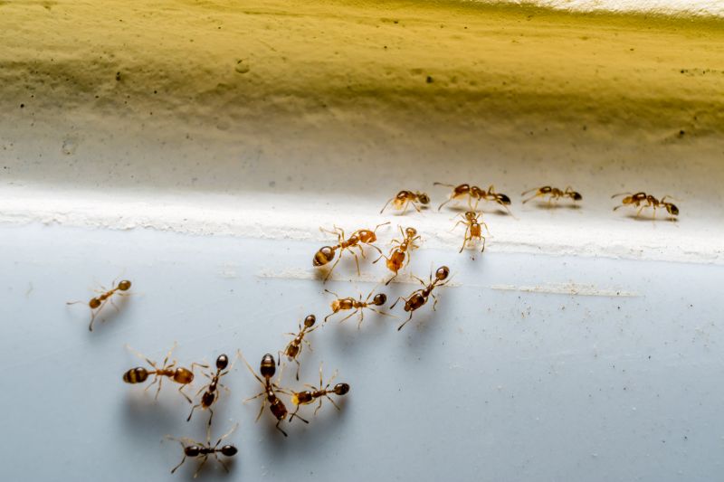
Ants extermination services for property owners in Spring, TX and nearby areas address ant infestations, prevent future invasions, and handle residential and commercial pest control projects.

Spring, TX

Ants extermination services in Spring, TX provide property owners with effective solutions to manage and eliminate ant infestations. Addressing ant problems promptly helps maintain a comfortable living or working environment by preventing the nuisance and potential damage caused by these pests. Additionally, professional extermination can enhance safety by reducing the risk of ants entering food storage areas or contaminating surfaces, contributing to a healthier space.

Utilizing expert ant control services also supports the durability and functionality of a property by preventing structural damage and minimizing ongoing maintenance needs. Improving curb appeal is another benefit, as a pest-free exterior creates a cleaner, more inviting appearance. Engaging experienced local providers ensures tailored solutions that meet specific needs, helping property owners enjoy peace of mind and a well-maintained environment.

Get Ants Extermination Service Quotes

  • Ants Extermination - Necessary when ants invade residential kitchens or pantry areas in Spring, TX and nearby communities.
  • Ants Extermination - Recommended for businesses experiencing ant problems in retail or dining establishments in the region.
  • Ants Extermination - Suitable for homeowners dealing with persistent ant colonies in yards or outdoor spaces around Houston.
  • Ants Extermination - Needed when ants are found nesting in walls or hard-to-reach areas of commercial properties in the area.
  • Ants Extermination - Essential for preventing future infestations after initial ant activity has been identified in neighborhoods near Houston.

Get Ants Extermination Service Quotes

Ants Extermination Service
Ants Extermination Service
Ants Extermination Service

Ants extermination services involve professional treatment methods aimed at eliminating ant infestations within residential, commercial, or industrial properties. Service providers typically conduct thorough inspections to identify the extent of the ant problem and determine the species involved. Treatment options may include applying targeted baits, insecticidal dusts, sprays, or barrier treatments designed to disrupt the ants' colonies and prevent further infiltration. The goal is to effectively reduce or eradicate ant populations while minimizing disruption to the property and its occupants.

These services address common problems caused by ant infestations, such as property damage, contamination of food supplies, and general discomfort. Certain ant species, like carpenter ants, can cause structural damage by hollowing out wood, while others, such as odorous house ants or pavement ants, can invade kitchens and pantries, creating unsanitary conditions. Ants can also be a source of frustration for homeowners and business owners alike, especially when infestations persist despite basic cleaning efforts. Professional extermination helps to resolve these issues efficiently and prevent recurring problems.

Properties that frequently utilize ants extermination services include single-family homes, apartment complexes, restaurants, grocery stores, and office buildings. Residential properties often seek treatment to protect food supplies and maintain a comfortable living environment. Commercial properties, especially those involved in food preparation or storage, require pest control to meet health and safety standards. Additionally, property managers and landlords may arrange for regular pest management to ensure common areas remain free of ant activity and to uphold property standards.

Partnering with local pest control providers ensures access to tailored solutions for ant problems across various property types. These professionals use proven techniques and treatments suited to the specific needs of each property, whether it’s a small home or a large commercial facility. Regular inspections and preventative treatments can also be recommended to keep ant populations in check over time. Contacting local service providers can help property owners and managers address ant issues effectively and maintain pest-free environments.

The overview below groups typical Ants Extermination Service projects into broad ranges so you can see how smaller, mid-sized, and larger jobs often compare in Spring, TX.

In many markets, a large share of routine jobs stays in the lower and middle ranges, while only a smaller percentage of projects moves into the highest bands when the work is more complex or site conditions are harder than average.

Initial Inspection - The cost for an ant inspection typically ranges from $50 to $150, depending on property size and complexity. This fee often covers identifying ant species and entry points. Some service providers include the inspection in the overall treatment cost.

Basic Treatment - A standard ant extermination service usually costs between $100 and $300 for a single treatment. Prices vary based on the extent of infestation and property size, with larger homes costing more. Additional treatments may be necessary for persistent ant problems.

Per-Visit Fees - Many providers charge per visit, with prices generally between $80 and $200. This fee covers the application of ant baits, sprays, or dusts in affected areas. Multiple visits might be recommended for complete control.

Comprehensive Pest Control - For ongoing ant management, comprehensive plans can range from $300 to $600 annually. These plans often include regular inspections and treatments to prevent future infestations. Costs depend on property size and level of ant activity.

Actual totals will depend on details like access to the work area, the scope of the project, and the materials selected, so use these as general starting points rather than exact figures.

Get an Ants Extermination Service Quote

Ants Extermination - Local pest control providers offer specialized services to eliminate ant infestations in residential and commercial properties in Spring, TX and nearby areas.

Ants Control - Service professionals utilize targeted treatment methods to reduce ant populations and prevent future invasions effectively.

Ants Removal - Experts assess infested areas and apply appropriate removal techniques to ensure thorough eradication of ants.

Ants Pest Management - Local specialists develop integrated pest management plans tailored to control ants while minimizing disruption.

Ants Infestation Treatment - Service providers deliver comprehensive treatment solutions to address severe ant infestations in various settings.

Ants Prevention Services - Professionals implement preventive measures to help keep properties ant-free over the long term.

Ants Extermination Service

When comparing local professionals for ant extermination services, experience is a key factor to consider. It’s important to evaluate how long a pest control provider has been operating in the area and their familiarity with common ant species and local conditions. A contractor with extensive experience is likely to have developed effective strategies tailored to specific environments, which can contribute to more successful outcomes. Reviewing the background of potential service providers can help ensure that they have a proven track record in managing ant infestations effectively within the community.

Clear communication and written expectations are essential when selecting a pest control provider. Reputable professionals typically provide detailed descriptions of their services, including treatment methods, follow-up procedures, and any necessary preparations. This transparency helps homeowners understand what to expect and ensures that there are no surprises during the process. When comparing options, look for providers who are willing to answer questions thoroughly and offer written documentation outlining the scope of work, which can serve as a reference throughout the treatment process.

Reputable references and reliable reputation are important indicators of a pest control provider’s credibility. Local pros who have established a positive reputation often come recommended by other homeowners or have a history of satisfied clients. Checking references or reviews can provide insights into the quality of service, professionalism, and responsiveness of the provider. Additionally, effective communication is crucial for a smooth experience; providers who are responsive, clear, and professional in their interactions tend to be more dependable. While the information below introduces local options, it’s recommended to contact multiple providers to compare their experience, expectations, and reputation before making a decision.

Get an Ants Extermination Service Quote

Property owners in Spring, TX use Ants Extermination Service services for practical projects around their homes and businesses. The sections below highlight everyday jobs and straightforward project options.

Ants Extermination Service
Ants Extermination Service

Ants extermination services are commonly sought after by property owners in Spring, TX, who encounter persistent ant infestations in their homes or businesses. These pests can invade kitchens, pantries, and other areas, making daily routines uncomfortable and raising concerns about hygiene. Local service providers offer solutions to eliminate ant colonies effectively, helping property owners restore a clean and pest-free environment.

Many property owners look for ant extermination when noticing increased activity around their property, such as ant trails or nests appearing in visible spots. Common reasons for seeking professional help include preventing damage to structures, avoiding contamination of food supplies, and maintaining a comfortable living or working space. Local pros can assess the situation and provide targeted treatments to address these everyday pest challenges.

Get an Ants Extermination Service Quote

How do ant extermination services work? Ant extermination services typically involve inspecting the property to identify ant colonies, applying targeted treatments to eliminate nests, and providing advice to prevent future infestations.

Are ant extermination treatments safe for pets and children? Most professional ant treatments are designed to be safe when applied according to the provider’s instructions; it is recommended to discuss any concerns with the service provider before treatment.

How long does an ant extermination treatment usually last? The effectiveness duration can vary depending on the treatment method and the extent of the infestation, with some services offering ongoing prevention options.

Can ant extermination services be scheduled for specific times? Yes, local providers typically offer flexible scheduling options to accommodate customer needs and property conditions.

What should I do to prepare for ant extermination services? Preparation may include clearing treatment areas, removing food and utensils, and informing the service provider of any specific concerns or areas of activity.

Ants Extermination Solutions - Local service providers offer targeted treatments to eliminate ant colonies and prevent future infestations.

Inspection and Identification - Pros can assess property conditions to identify ant species and determine the most effective extermination methods.

Preventive Treatments - Experts apply barrier treatments and recommend sanitation practices to reduce the likelihood of ant re-entry.

Ongoing Monitoring - Service providers can establish monitoring plans to ensure ant problems remain under control over time.

Ants Extermination Service

Considering Ants Extermination Service for a property in Spring, TX? The sections above highlight common project types, practical options, and details that often shape the scope of work.

When you are ready, use the quote form to share a few details about your project. Local pros can review the basics and respond with options that match what you have in mind.

Get an Ants Extermination Service Quote

Ants Extermination Quotes