Local Service Overview

Get Ants Extermination Service in Riverton, UT

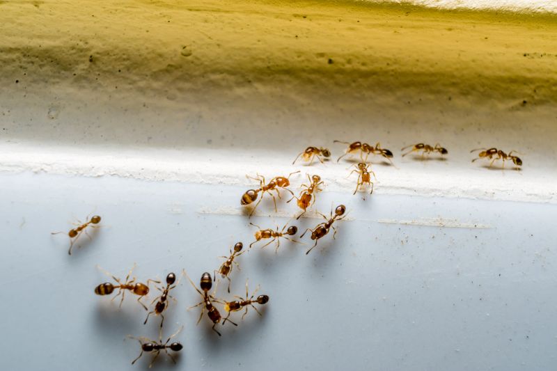
Ants extermination services for Riverton, UT, and nearby areas address ant infestations, including residential and commercial treatments for kitchens, basements, and outdoor areas.

Riverton, UT

Ants extermination services provide property owners in Riverton, UT with effective solutions to manage and eliminate ant infestations. Addressing these pests helps create a more comfortable living or working environment by reducing the presence of unwanted insects. Additionally, professional extermination can enhance safety by preventing potential health risks associated with ant colonies, such as contamination or structural damage caused by nesting activities. Proper treatment also supports the functionality of the property by minimizing disruptions and maintaining a clean, pest-free space.

Choosing expert ant extermination services can lead to long-term benefits such as increased durability of the property’s structure and surfaces, which might otherwise be compromised by persistent ant activity. Reduced maintenance needs are another advantage, as professional treatments often prevent recurring problems that require frequent attention. Furthermore, a pest-free exterior improves curb appeal, making properties more attractive and inviting to visitors or potential buyers. Overall, these services help property owners maintain a safe, functional, and visually appealing environment.

Get Ants Extermination Service Quotes

  • Ants Extermination Services are needed when residents notice ant trails or nests inside their homes in Riverton, UT, and nearby areas.
  • These services are sought after in cases of persistent ant infestations in kitchens, bathrooms, or other common indoor spaces.
  • Ant control is often required when outdoor ant colonies invade residential or commercial properties in the region.
  • Professional extermination may be necessary for large ant colonies that threaten to spread or cause damage to structures.
  • Contacting local pest control providers can help address ant problems promptly and effectively in nearby communities.

Get Ants Extermination Service Quotes

Ants Extermination Service
Ants Extermination Service
Ants Extermination Service

Ants extermination services involve identifying and eliminating ant infestations within residential, commercial, or industrial properties. Service providers typically conduct thorough inspections to locate ant colonies and determine the species involved, which can influence the most effective treatment methods. Treatments may include targeted applications of insecticides, baiting systems, or barrier methods designed to eradicate existing colonies and prevent future invasions. The goal is to remove ant populations efficiently while minimizing disruption to the property and its occupants.

The primary problems addressed by ant extermination services are nuisance and property damage caused by persistent ant activity. Ants can invade kitchens, pantries, and other living spaces, contaminating food and surfaces. Certain species, such as carpenter ants, can also cause structural damage by excavating wood to establish nests. Extermination services help eliminate these pests, reducing health risks and preventing potential damage to the property’s infrastructure. Additionally, controlling ant populations can improve overall hygiene and comfort within affected spaces.

These services are commonly sought after for a variety of property types, including single-family homes, apartment complexes, restaurants, and retail stores. Residential properties often require ant control to protect food storage areas and maintain cleanliness. Commercial establishments, especially those in the food service industry, prioritize pest management to comply with health regulations and avoid business disruptions. Larger properties such as warehouses or office buildings may also utilize extermination services to manage infestations that could spread across multiple units or areas.

Professional ant extermination services typically involve a combination of inspection, treatment, and follow-up to ensure long-term control. Service providers tailor their approach based on the severity of the infestation and the specific environment. They may recommend ongoing monitoring or preventative measures to keep ants from returning. Property owners and managers who experience ant problems are encouraged to contact local pest control professionals to assess their situation and determine the most appropriate treatment options for their property type and needs.

The overview below groups typical Ants Extermination Service projects into broad ranges so you can see how smaller, mid-sized, and larger jobs often compare in Riverton, UT.

In many markets, a large share of routine jobs stays in the lower and middle ranges, while only a smaller percentage of projects moves into the highest bands when the work is more complex or site conditions are harder than average.

Initial Inspection - The cost for an ant inspection typically ranges from $50 to $150, depending on property size and complexity. Some providers may charge a flat fee or include it with treatment services.

Basic Treatment - A standard ant extermination service usually costs between $100 and $300 for a single treatment. Larger infestations or multiple visits can increase the price to around $400 or more.

Ongoing Prevention - Preventative treatments or quarterly service plans often range from $200 to $500 annually. These plans may include regular inspections and treatments to keep ants away.

Specialized Solutions - For severe or hard-to-reach infestations, costs can vary from $300 to $700 or higher. These may involve advanced methods or multiple visits by local service providers.

Actual totals will depend on details like access to the work area, the scope of the project, and the materials selected, so use these as general starting points rather than exact figures.

Get an Ants Extermination Service Quote

Ants Extermination services connect homeowners with local pest control providers experienced in eliminating ant infestations efficiently and effectively.

Residential Ants Removal specialists help address ant problems in homes across Riverton, UT, and nearby areas, ensuring safe and thorough eradication.

Commercial Ants Control providers offer targeted solutions for businesses seeking to eliminate ant colonies and prevent future invasions.

Eco-friendly Ants Treatment services link clients with providers using environmentally conscious methods to manage ant issues responsibly.

Ants Inspection Services connect property owners with experts who identify ant activity and recommend appropriate treatment options.

Prevention and Barrier Treatments professionals assist in establishing protective barriers around properties to deter ant entry and infestation recurrence.

Ants Extermination Service

When selecting a professional for ant extermination services, it is important to consider the experience of local contractors. Experienced providers typically have a history of handling various ant infestations, which can contribute to more effective and efficient treatments. Homeowners should look for service providers with a proven track record in their area, ensuring they have the familiarity needed to address specific ant species and local conditions.

Clear communication and well-defined expectations are essential when working with pest control professionals. Reputable local providers often outline their service processes, what homeowners can expect during treatment, and any necessary preparations. This transparency helps ensure that homeowners understand the scope of work and can plan accordingly, fostering a smoother service experience.

Reputable references and positive feedback from previous clients can provide valuable insights into a local provider’s reliability and quality of service. Homeowners are encouraged to seek out service providers with a history of satisfied customers and good standing in the community. Effective communication, responsiveness, and professionalism are key factors that contribute to a successful partnership with local pest control specialists.

Get an Ants Extermination Service Quote

Property owners in Riverton, UT use Ants Extermination Service services for practical projects around their homes and businesses. The sections below highlight everyday jobs and straightforward project options.

Ants Extermination Service
Ants Extermination Service

Ants extermination services are commonly sought by property owners in Riverton, UT when encountering an unexpected ant infestation. These pests can invade homes and businesses, often appearing in kitchens, pantries, or along baseboards, making daily activities uncomfortable. Property owners may look for professional assistance to effectively eliminate ants and prevent future invasions, especially when DIY methods prove ineffective or the problem persists.

In addition to immediate infestations, property owners might pursue ant extermination services as a preventative measure. Ants can sometimes be attracted to food sources or moisture, leading to recurring issues if not properly addressed. Local service providers can help identify entry points and implement targeted solutions to keep ant populations under control, supporting the ongoing comfort and cleanliness of residential and commercial properties in Riverton.

Get an Ants Extermination Service Quote

How do ant extermination services work? Ant extermination services typically involve identifying ant species and nesting areas, followed by targeted treatments to eliminate colonies and prevent future infestations.

Are ant treatments safe for pets and children? Many ant extermination options are designed to be safe for households with pets and children; it is recommended to discuss safety concerns with the local service provider.

How long does an ant extermination treatment take? The duration of treatment can vary depending on the extent of the infestation and the methods used, but most services aim to complete the process efficiently.

Will I need multiple treatments to control an ant problem? Some ant infestations may require more than one treatment session to fully eliminate the colony and prevent re-infestation.

How can I prevent future ant problems? Local pros often recommend sealing entry points, maintaining cleanliness, and removing food sources to help prevent future ant issues.

Ants Extermination Techniques - Local service providers use a variety of methods to eliminate ants, including baiting, trapping, and targeted treatments.

Preventive Ant Control Strategies - Pros can assess property conditions to recommend measures that reduce ant attractants and entry points.

Emergency Ant Infestation Services - Immediate assistance is available for severe ant infestations that require prompt attention.

Ongoing Ant Management Plans - Customized plans may be offered to help maintain an ant-free environment over time.

Ants Extermination Service

Considering Ants Extermination Service for a property in Riverton, UT? The sections above highlight common project types, practical options, and details that often shape the scope of work.

When you are ready, use the quote form to share a few details about your project. Local pros can review the basics and respond with options that match what you have in mind.

Get an Ants Extermination Service Quote

Ants Extermination Quotes