Local Service Overview

Get Ants Extermination Service in Richmond, IN

Ants extermination services for property owners in Richmond, IN, and nearby areas address ant infestations, including treatment of homes, lawns, and commercial spaces.

Richmond, IN

Ants extermination services are essential for property owners in Richmond, IN seeking to maintain a comfortable and functional living or working environment. Effective pest control helps prevent ant infestations that can interfere with daily activities, damage property structures, or contaminate food supplies. By addressing these issues promptly, property owners can enjoy a safer, more hygienic space with reduced concerns about ongoing pest problems.

Choosing professional ant extermination offers benefits such as enhanced durability of property features, minimized maintenance needs, and improved curb appeal. Removing ant colonies not only preserves the integrity of structures and landscaping but also contributes to a cleaner, more inviting appearance. Engaging experienced service providers ensures that pest issues are managed efficiently, supporting the overall safety and enjoyment of the property.

Get Ants Extermination Service Quotes

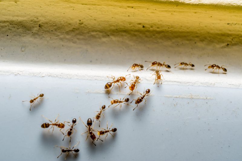
  • Ants Infestation - when signs of ant activity are found inside residential or commercial properties in Richmond, IN and surrounding areas.
  • Ant Trails - when visible ant trails appear on walls, counters, or outdoor surfaces indicating a potential colony nearby.
  • Ant Mounds - when large ant mounds are discovered in yards or garden beds, suggesting an active colony underground.
  • Nesting Sites - when ants are nesting in wall voids, beneath floors, or in other hard-to-reach areas requiring professional removal.
  • Persistent Ant Problems - when ant activity continues despite basic DIY efforts, indicating a need for specialized extermination services.

Get Ants Extermination Service Quotes

Ants Extermination Service
Ants Extermination Service
Ants Extermination Service

Ants extermination services involve identifying and eliminating ant infestations within residential or commercial properties. Professionals typically conduct thorough inspections to locate nesting sites and determine the species involved. Treatment methods may include the application of targeted insecticides, baiting systems, and barrier treatments to prevent future invasions. The goal is to reduce or eradicate ant populations, thereby minimizing their presence and preventing damage or contamination associated with these pests.

Ant infestations can cause a variety of problems for property owners. In addition to the nuisance of constant ant activity, some species can damage structures by nesting in walls, insulation, or foundations. Certain ants, such as fire ants, pose health risks due to their painful stings and allergic reactions. Food contamination is another concern, especially in kitchens and food storage areas, where ants can spoil or spread bacteria on surfaces and supplies. Professional extermination services help address these issues efficiently and effectively.

The types of properties that typically utilize ant extermination services include single-family homes, apartment complexes, restaurants, grocery stores, and other businesses involved in food handling. Commercial properties with food production or storage areas often require regular pest management to maintain hygiene standards and comply with health regulations. Additionally, multi-unit residential buildings benefit from professional pest control to prevent the spread of ants between units and to maintain a comfortable living environment for residents.

Professional ant extermination services are essential for managing persistent or severe infestations. Property owners experiencing recurring ant problems or dealing with large colonies often seek the expertise of local pest control providers. These services can be tailored to specific property types and infestation levels, ensuring targeted treatment and long-term prevention. Contacting a local pest management professional can help address ant issues promptly and effectively, protecting property value and occupant comfort.

The overview below groups typical Ants Extermination Service projects into broad ranges so you can see how smaller, mid-sized, and larger jobs often compare in Richmond, IN.

In many markets, a large share of routine jobs stays in the lower and middle ranges, while only a smaller percentage of projects moves into the highest bands when the work is more complex or site conditions are harder than average.

Initial Inspection - The cost for an ant inspection typically ranges from $50 to $150, depending on property size and complexity. This fee often covers a thorough assessment to identify ant activity and entry points.

Treatment Services - Ant extermination treatments generally cost between $100 and $300 per service. Prices vary based on the extent of infestation and the treatment method used by local service providers.

Follow-Up Visits - Follow-up treatments or inspections can range from $50 to $150 each visit. These are recommended to ensure ant activity is fully eliminated and to prevent future infestations.

Property Size Impact - Larger properties may incur higher costs, typically between $200 and $500 for comprehensive ant control. Smaller homes usually fall within the lower end of the pricing spectrum.

Actual totals will depend on details like access to the work area, the scope of the project, and the materials selected, so use these as general starting points rather than exact figures.

Get an Ants Extermination Service Quote

Ants Extermination - Local pest control providers offer specialized services to eliminate ant infestations in residential and commercial properties in Richmond, IN. They utilize effective treatment methods to address various ant species.

Ants Prevention - Service providers can implement preventive measures to reduce the likelihood of future ant problems around homes and businesses. These include sealing entry points and advising on sanitation practices.

Ants Inspection - Professionals conduct thorough inspections to identify ant colonies and determine the extent of an infestation. This helps in developing targeted treatment plans.

Ants Baiting - Experts may use baiting strategies to attract and eliminate ants at the source, minimizing the use of sprays and reducing chemical exposure.

Ants Barrier Treatments - Local pros can apply barrier treatments around structures to create a protective zone that deters ants from entering indoor spaces.

Ants Removal Consultation - Pest control specialists provide consultations to assess ant issues and recommend appropriate treatment options tailored to specific situations.

Ants Extermination Service

Ants extermination services offered by local professionals in Richmond, IN, and surrounding areas vary in their experience levels. Some providers have been serving the community for many years, accumulating extensive knowledge of local ant species and effective treatment methods. Others may be newer to the industry but bring innovative techniques and up-to-date approaches. When comparing options, it’s helpful to consider the background of each service provider to determine which might align best with specific needs or preferences.

Clear communication and well-defined expectations are essential when selecting a pest control professional. Reputable local pros typically provide detailed information about their methods, the scope of work, and any preparations or follow-up required. They also aim to establish transparent processes to ensure homeowners understand what to expect at each stage of the service. This clarity can help foster confidence and reduce uncertainties throughout the extermination process.

References and reputation are valuable indicators of a pest control provider’s reliability. Local homeowners often rely on recommendations or reviews from trusted sources to gauge the quality of service. Many established pros can provide references or showcase testimonials from previous clients, demonstrating consistent performance and customer satisfaction. Since this platform connects users with local service providers, it’s recommended to inquire about their reputation and experience directly when reaching out to potential contractors, ensuring a well-informed decision.

Get an Ants Extermination Service Quote

Property owners in Richmond, IN use Ants Extermination Service services for practical projects around their homes and businesses. The sections below highlight everyday jobs and straightforward project options.

Ants Extermination Service
Ants Extermination Service

Ants extermination services are commonly sought after by property owners in Richmond, IN, when they notice an unexpected ant presence indoors or around their property. Common situations include discovering trails of ants in kitchens, pantries, or near entry points such as doors and windows. These services help address immediate infestations and prevent future issues, ensuring a clean and pest-free environment for homes and businesses alike.

Property owners may also seek ant extermination when they observe increased ant activity during warmer months or after recent construction or landscaping projects. Such conditions can create new entry points or attract ants seeking food and shelter. Engaging local pest control providers can assist in identifying the source of the problem and implementing effective solutions to maintain a comfortable and pest-free property.

Get an Ants Extermination Service Quote

How do ant extermination services work? Ant extermination services typically involve inspecting the property to identify ant colonies, applying targeted treatments to eliminate nests, and providing advice to prevent future infestations.

Are ant extermination treatments safe for pets and children? Many local pros use treatment methods that are safe when applied properly; it is recommended to discuss safety concerns with the service provider during the contact process.

How long does an ant extermination treatment last? The duration of effectiveness varies depending on the treatment method and extent of the infestation; a professional can provide guidance during the consultation.

Will I need multiple treatments to eliminate ants? Depending on the severity of the infestation, some cases may require more than one treatment session to fully eliminate ants.

How can I prevent future ant problems? Local pros often recommend sealing entry points, maintaining cleanliness, and removing food sources to help prevent future ant issues.

Ants Extermination Solutions - Local service providers offer targeted treatments to eliminate ant infestations and prevent future invasions.

Inspection and Identification - Professionals can assess property conditions to identify ant entry points and nesting areas.

Preventive Pest Control - Experts recommend strategies to reduce attractants and seal entry points, minimizing ant activity.

Ongoing Monitoring and Maintenance - Regular inspections help maintain ant-free environments and address new issues promptly.

Ants Extermination Service

Considering Ants Extermination Service for a property in Richmond, IN? The sections above highlight common project types, practical options, and details that often shape the scope of work.

When you are ready, use the quote form to share a few details about your project. Local pros can review the basics and respond with options that match what you have in mind.

Get an Ants Extermination Service Quote

Ants Extermination Quotes