Local Service Overview

Get Ants Extermination Service in Red Oak, TX

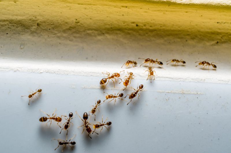
Ants extermination services for property owners in Red Oak, TX, and nearby areas address ant infestations, prevent future invasions, and manage residential or commercial pest control projects.

Red Oak, TX

Ants extermination services provide property owners in Red Oak, TX with an effective solution to manage and eliminate ant infestations. These services help maintain a comfortable living and working environment by preventing the disruptions caused by large ant colonies. Eliminating ants can also enhance safety by reducing potential contamination and preventing structural damage that some species may cause over time. Additionally, professional extermination contributes to the overall functionality of a property, ensuring that pests do not interfere with daily activities or compromise the integrity of the building.

Choosing professional ant extermination offers benefits such as increased durability and reduced maintenance needs. Effective pest control can help protect landscaping and structures from ant-related damage, preserving curb appeal and property value. Property owners often seek these services to create a safer, more inviting space, while also enjoying the peace of mind that comes with a pest-free environment. Local service providers are equipped to deliver tailored solutions that address specific ant problems and support long-term property health.

Get Ants Extermination Service Quotes

  • Ants Extermination - needed when ant colonies invade residential or commercial properties in Red Oak, TX and surrounding areas.
  • Ants Extermination - required if persistent ant trails are observed inside homes or businesses in nearby communities.
  • Ants Extermination - necessary when ants are found in kitchens, pantries, or other food storage areas in the region.
  • Ants Extermination - sought after when ant activity is detected around building foundations or outdoor spaces in local neighborhoods.
  • Ants Extermination - essential if ant nests are discovered in lawns, gardens, or landscape beds in the vicinity.

Get Ants Extermination Service Quotes

Ants Extermination Service
Ants Extermination Service
Ants Extermination Service

Ants extermination services involve identifying and eliminating ant infestations within residential, commercial, or industrial properties. Service providers typically conduct thorough inspections to locate ant colonies and determine the species involved. Treatment methods may include the application of targeted insecticides, baiting systems, and barriers designed to prevent further entry or spread of ants. These services aim to reduce ant populations effectively, helping property owners regain control over their indoor and outdoor spaces.

Ant infestations can cause a variety of problems, including structural damage, contamination of food supplies, and general nuisance. Certain ant species, such as carpenter ants, are known to damage wooden structures, leading to costly repairs if left untreated. Additionally, ants can contaminate food items and surfaces, creating hygiene concerns in kitchens and food storage areas. Extermination services help address these issues by eradicating existing colonies and implementing preventative measures to minimize future invasions.

Properties that typically utilize ants extermination services include homes, apartment complexes, restaurants, and food processing facilities. Residential properties often seek treatment to protect their living spaces and food supplies from ant incursions. Commercial establishments, especially those involved in food handling or preparation, rely on professional extermination to maintain sanitation standards and comply with health regulations. Additionally, warehouses and storage facilities may require ongoing pest management to prevent ant populations from damaging stored goods or infrastructure.

Professional ant extermination services are essential for managing persistent or severe infestations that do not respond to basic cleaning or DIY methods. Service providers utilize a combination of inspection, targeted treatments, and preventative strategies tailored to the specific property type and ant species involved. Engaging local pest control professionals ensures that infestations are addressed effectively, helping property owners maintain a pest-free environment and avoid potential property damage or hygiene issues.

The overview below groups typical Ants Extermination Service projects into broad ranges so you can see how smaller, mid-sized, and larger jobs often compare in Red Oak, TX.

In many markets, a large share of routine jobs stays in the lower and middle ranges, while only a smaller percentage of projects moves into the highest bands when the work is more complex or site conditions are harder than average.

Initial Inspection and Treatment - The cost for an initial ant inspection and treatment typically ranges from $100 to $300, depending on the size of the property and infestation severity. Some providers may charge a flat fee within this range for standard inspections. Additional treatments or follow-up visits may incur extra charges.

Per-Visit Service - Single-visit ant extermination services generally cost between $150 and $400. The price varies based on the extent of the ant problem and the treatment method used. Multiple visits or ongoing maintenance can increase overall costs.

Whole-Property Treatment - Treating an entire home or property for ants often falls within a $200 to $600 price range. Larger properties or those with persistent infestations may require more extensive treatments, affecting the total cost.

Preventive Measures and Follow-Up - Preventive ant control services or follow-up treatments typically cost between $100 and $250 per session. Costs depend on property size and the level of ongoing prevention needed, with some providers offering package deals for multiple visits.

Actual totals will depend on details like access to the work area, the scope of the project, and the materials selected, so use these as general starting points rather than exact figures.

Get an Ants Extermination Service Quote

Ants Extermination services connect property owners with professionals skilled in identifying and eliminating ant infestations in residential and commercial spaces.

Local ant control experts provide targeted treatments to remove existing colonies and prevent future invasions, ensuring a pest-free environment.

Pros specializing in ants can assess property conditions to determine the most effective extermination methods tailored to specific ant species.

Many service providers offer integrated pest management approaches that include sanitation advice and structural repairs to reduce ant attractants.

Ants Extermination services are available for both immediate removal needs and long-term prevention strategies in areas like Red Oak, TX, and nearby communities.

Contacting local ant control specialists ensures access to experienced professionals equipped to handle various infestation levels efficiently.

Ants Extermination Service

When selecting a professional for ant extermination services, it is important to consider the experience of local providers in handling ant infestations. Experienced contractors are familiar with the most effective methods and common ant species in areas like Red Oak, TX, ensuring the approach is tailored to local conditions. Homeowners should review the background and history of prospective service providers to gauge their familiarity with ant control and their ability to address specific challenges that may arise.

Clear written expectations are essential when engaging with local pros for ant extermination. Reputable service providers typically outline the scope of work, treatment procedures, and any necessary follow-up steps in their communications. Homeowners are encouraged to ask for detailed information about the process to ensure mutual understanding of what the service entails and to confirm that the provider’s approach aligns with their needs.

Reputation and communication are key factors in choosing a reliable ant extermination service. Local providers with established references or reviews can offer insights into their professionalism and effectiveness. Additionally, transparent and responsive communication helps ensure that homeowners receive timely updates and have their questions addressed throughout the process. Since the information below connects users with local service providers, it is recommended to evaluate each provider’s reputation and communication practices before making a selection.

Get an Ants Extermination Service Quote

Property owners in Red Oak, TX use Ants Extermination Service services for practical projects around their homes and businesses. The sections below highlight everyday jobs and straightforward project options.

Ants Extermination Service
Ants Extermination Service

Ants extermination services are commonly sought by property owners in Red Oak, TX, when they notice signs of ant activity around their homes or businesses. Common situations include discovering trails of ants in kitchens, bathrooms, or other areas where food is stored or prepared. Property owners may also look for professional help if they observe large ant colonies or notice increased activity during warmer months, aiming to prevent potential damage or contamination.

In addition to visible infestations, property owners may seek extermination services as a proactive measure to avoid future problems. Ants can invade structures through small cracks or gaps, especially during seasonal changes, prompting residents and business owners to contact local service providers for inspection and treatment. These services help maintain a clean and pest-free environment, supporting overall property upkeep and comfort.

Get an Ants Extermination Service Quote

How do ant extermination services work? Ant extermination services typically involve inspecting the property, identifying ant species and entry points, and applying targeted treatments to eliminate colonies and prevent future infestations.

Are these services safe for pets and children? Most ant extermination services use products that are safe when applied properly; however, it is advisable to discuss any concerns with the local service provider before treatment.

How long does an ant extermination treatment last? The effectiveness duration varies depending on the treatment method and ant species, with many services offering ongoing prevention options.

Can ant extermination be done indoors and outdoors? Yes, professional ant extermination services typically address both indoor and outdoor areas to ensure comprehensive control.

How can I prevent future ant infestations? Local pros often recommend sealing entry points, maintaining cleanliness, and scheduling regular inspections to help prevent future ant problems.

Ants Identification and Behavior - Understanding ant species and their nesting habits can help in planning effective extermination strategies. Local pros can provide insights tailored to specific ant problems in Red Oak, TX.

Inspection and Pest Assessment - Professional inspections identify ant entry points and nesting locations to target treatments effectively. Contact local service providers for thorough evaluations of ant infestations.

Targeted Treatment Options - Local exterminators offer various treatment methods, including baiting and barriers, to eliminate ant colonies efficiently.

Prevention and Ongoing Monitoring - Experts can advise on preventing future ant invasions through sanitation and structural repairs, along with ongoing monitoring services.

Ants Extermination Service

Considering Ants Extermination Service for a property in Red Oak, TX? The sections above highlight common project types, practical options, and details that often shape the scope of work.

When you are ready, use the quote form to share a few details about your project. Local pros can review the basics and respond with options that match what you have in mind.

Get an Ants Extermination Service Quote

Ants Extermination Quotes