Local Service Overview

Get Ants Extermination Service in Racine, WI

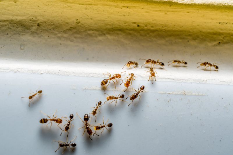
Ants extermination services for property owners in Racine, WI, and nearby areas address ant infestations, prevent future invasions, and handle residential and commercial pest control projects.

Racine, WI

Ants extermination services provide property owners in Racine, WI, with effective solutions to manage and eliminate ant infestations. Addressing these pests helps maintain a comfortable living or working environment by reducing the presence of unwanted insects that can invade kitchens, basements, and other areas. Proper extermination not only enhances daily comfort but also contributes to a sense of safety by preventing potential issues related to pests, such as contamination of food or damage to property structures.

Engaging professional ant control services offers benefits that extend beyond immediate pest removal. These services can improve the overall functionality and durability of a property by preventing ant-related damage to wiring, insulation, or wooden structures. Additionally, a thorough extermination can reduce ongoing maintenance needs and boost curb appeal by ensuring the property remains clean, pest-free, and visually appealing.

Get Ants Extermination Service Quotes

  • Ants Extermination Services are essential when homeowners notice ant trails or nests inside their homes in Racine, WI and surrounding areas.
  • Commercial properties experiencing ant infestations that threaten food safety or customer comfort may seek professional extermination services.
  • Properties with persistent ant problems despite DIY efforts can benefit from the expertise of local pest control providers.
  • Ant activity around outdoor structures or gardens in nearby communities can indicate the need for targeted extermination solutions.
  • Residents dealing with multiple ant colonies across different parts of their property may consider professional intervention to effectively manage the issue.

Get Ants Extermination Service Quotes

Ants Extermination Service
Ants Extermination Service
Ants Extermination Service

Ants extermination services involve identifying and eliminating ant infestations within residential, commercial, or industrial properties. Professionals typically conduct a thorough inspection to determine the extent of the ant problem and locate nests or entry points. Treatment methods may include the application of targeted insecticides, baiting systems, or other pest control techniques designed to eradicate ants and prevent future invasions. These services aim to address the root causes of ant presence and to create a barrier that discourages re-entry.

Ant infestations can cause various issues for property owners, including structural damage, contamination of food supplies, and general nuisance. Certain ant species, such as carpenter ants, are known to damage wood structures, which can compromise the integrity of a building over time. Additionally, ants often invade kitchens, pantries, and other areas where food is stored, leading to hygiene concerns. Extermination services help resolve these problems by removing the pests and implementing measures to reduce the likelihood of recurrence.

Properties that typically utilize ants extermination services vary widely and include homes, apartment complexes, restaurants, and retail establishments. Residential properties often seek treatment to protect family health and preserve the condition of their homes. Commercial properties, especially those involved in food handling or storage, require pest control to maintain sanitation standards and comply with health regulations. In all cases, local pest control providers tailor their approaches to suit the specific needs of each property type and infestation severity.

Professional ant extermination services often involve a combination of inspection, targeted treatments, and ongoing monitoring to ensure effective control. Service providers use a variety of techniques to eliminate existing ants and address potential entry points to prevent future invasions. Property owners and managers can contact local pest control specialists to assess their specific situation and receive customized solutions. This approach helps maintain a pest-free environment and minimizes the disruption caused by ant infestations.

The overview below groups typical Ants Extermination Service projects into broad ranges so you can see how smaller, mid-sized, and larger jobs often compare in Racine, WI.

In many markets, a large share of routine jobs stays in the lower and middle ranges, while only a smaller percentage of projects moves into the highest bands when the work is more complex or site conditions are harder than average.

Inspection Costs - Ant extermination inspections typically range from $50 to $150, depending on the property's size and complexity. For example, a standard home in Racine might be around $75 for a thorough assessment.

Treatment Service Fees - The cost for ant extermination treatments usually falls between $100 and $300. Larger properties or those with severe infestations may see prices closer to $250 or more.

Follow-up Visits - Follow-up treatments or inspections generally cost between $50 and $150 each visit. The number of visits needed depends on the severity of the ant problem and the treatment plan.

Package Pricing - Some providers offer comprehensive packages ranging from $200 to $500, which include initial treatment and multiple follow-up visits. These packages are designed for ongoing control and prevention.

Actual totals will depend on details like access to the work area, the scope of the project, and the materials selected, so use these as general starting points rather than exact figures.

Get an Ants Extermination Service Quote

Ants Extermination services connect property owners with local pest control providers who specialize in eliminating ant infestations efficiently and safely.

Residential Ant Control solutions are designed to address ant problems in homes and living spaces, helping to restore comfort and safety.

Commercial Ant Extermination services assist business owners in managing ant issues that could impact operations and customer experiences.

Emergency Ant Removal options provide quick response services for urgent ant infestation situations requiring immediate attention.

Barrier Treatments for Ants involve applying treatments around structures to prevent future ant invasions, offered by local pest control experts.

Natural Ant Control Methods are available through providers who utilize environmentally conscious techniques to manage ant populations.

Ants Extermination Service

When evaluating ant extermination services, experience is a key factor to consider. Local pros typically vary in the length of time they have been serving the Racine area and surrounding communities. A provider with extensive experience in pest control can often demonstrate familiarity with common ant issues specific to the region, which may contribute to more effective treatments. It is helpful to review any available information about their background to understand their expertise and how long they have been operating within the local community.

Clear communication and well-defined expectations are essential components of a successful service experience. Reputable local pros usually provide detailed information about their treatment methods, what homeowners can expect during and after the service, and any necessary follow-up steps. Transparent communication helps ensure that homeowners are fully informed about the process and can address any concerns or questions before work begins, fostering a smoother and more predictable service experience.

References and reputation are valuable indicators of a local service provider’s reliability. Homeowners can seek out local pros with positive references from other clients or reviews that highlight consistent quality and professionalism. Reputable providers often have established relationships within the community, and their track record can offer confidence in their ability to deliver satisfactory results. When choosing a local pest control professional, verifying their reputation through references or reviews can help ensure the selected contractor aligns with expectations for quality and service standards.

Get an Ants Extermination Service Quote

Property owners in Racine, WI use Ants Extermination Service services for practical projects around their homes and businesses. The sections below highlight everyday jobs and straightforward project options.

Ants Extermination Service
Ants Extermination Service

Ants extermination services are often sought by property owners in Racine, WI, facing persistent ant infestations that disrupt daily life or compromise cleanliness. Common situations include discovering large ant colonies inside homes, especially in kitchens and basements, or noticing trails leading from outdoor areas into living spaces. Property owners may also seek assistance when previous attempts at removal have failed, or when they want to prevent future invasions that could affect the comfort and hygiene of their residences.

In addition to residential concerns, local businesses in Racine may need ant extermination to maintain a clean and pest-free environment for customers and staff. Restaurants, grocery stores, and food production facilities, in particular, might look for professional services to address ant issues promptly and effectively. Property owners often contact local providers to evaluate infestations, implement targeted treatments, and establish ongoing prevention measures to protect their properties from recurring ant problems.

Get an Ants Extermination Service Quote

How do ant extermination services work? Ant extermination services typically involve identifying ant entry points and nesting areas, then applying targeted treatments to eliminate colonies and prevent future infestations. Local service providers use various methods such as baiting, spraying, or dusting to address ant problems effectively.

Are ant extermination treatments safe for pets and children? Many ant extermination treatments are designed to be safe when used as directed. It is recommended to discuss safety concerns with local service providers to ensure appropriate measures are taken for households with pets or children.

How long does an ant extermination service usually take? The duration of an ant extermination service can vary depending on the severity of the infestation and the treatment method used. Typically, treatments can be completed within a few hours, with follow-up visits if necessary.

Will I need multiple treatments to eliminate ants? Some ant infestations may require multiple treatments to fully eradicate the colony and prevent re-infestation. A local service provider can assess the situation and recommend an appropriate treatment plan.

How can I prevent future ant problems? Preventative measures include sealing entry points, maintaining cleanliness, and removing food and water sources. Local pest control professionals can provide advice tailored to specific property conditions to help reduce the likelihood of future ant issues.

Ants Extermination Solutions - Local service providers offer targeted treatments to eliminate ant colonies and prevent future infestations.

Inspection and Identification - Professionals can assess property conditions to identify ant entry points and nesting areas.

Preventive Measures - Service providers recommend strategies to reduce attractants and seal entry points, helping to keep ants out.

Ongoing Monitoring - Regular inspections and treatments can help maintain a pest-free environment in homes and businesses.

Ants Extermination Service

Considering Ants Extermination Service for a property in Racine, WI? The sections above highlight common project types, practical options, and details that often shape the scope of work.

When you are ready, use the quote form to share a few details about your project. Local pros can review the basics and respond with options that match what you have in mind.

Get an Ants Extermination Service Quote

Ants Extermination Quotes