Local Service Overview

Get Ants Extermination Service in Park Ridge, IL

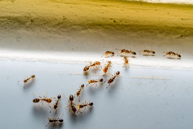
Ants extermination services for property owners in Park Ridge, IL, and nearby areas address ant infestations, prevent future invasions, and handle residential and commercial ant control projects.

Park Ridge, IL

Ants extermination services provide property owners in Park Ridge, IL with an effective solution to manage and eliminate ant infestations. These services help maintain a comfortable and hygienic environment by preventing ants from invading living and working spaces, which can cause discomfort and potential health concerns. By addressing ant problems promptly, property owners can preserve the functionality of their spaces and reduce the likelihood of damage caused by persistent ant activity.

Engaging professional extermination services also offers benefits related to durability and curb appeal. Proper treatment helps ensure that ant issues are thoroughly resolved, minimizing the need for frequent interventions and reducing ongoing maintenance efforts. Additionally, a pest-free exterior enhances the visual appeal of a property, contributing to a well-maintained appearance that supports overall curb appeal.

Get Ants Extermination Service Quotes

  • Ants Extermination Services are essential when homeowners notice persistent ant activity inside or around their property.
  • These services are often needed in areas with frequent warm weather that attracts ant colonies.
  • Ant control may be required after discovering large ant nests in yards or near building foundations.
  • Residential or commercial properties experiencing recurring ant infestations can benefit from professional extermination.
  • Ants Extermination Services are useful when previous DIY efforts have failed to eliminate the problem effectively.

Get Ants Extermination Service Quotes

Ants Extermination Service
Ants Extermination Service
Ants Extermination Service

Ants extermination services involve identifying and eliminating ant infestations within residential, commercial, or industrial properties. Professionals typically conduct thorough inspections to locate nests and entry points, then implement targeted treatment methods to eradicate the colonies. These services may include the use of baiting systems, liquid insecticides, or dust formulations designed to eliminate ants at various stages of their life cycle. The goal is to reduce ant populations effectively and prevent future invasions by sealing entry points and advising on preventative measures.

Ant infestations can pose several problems for property owners, including structural damage, contamination of food supplies, and general discomfort. Certain species of ants, such as carpenter ants, are known to damage wood structures, potentially compromising the integrity of buildings. Additionally, ants can contaminate food stored in kitchens and pantries, creating hygiene concerns. The presence of ants can also be an annoyance, especially when they invade living or working spaces in large numbers, disrupting daily activities and creating an unclean environment.

Properties that commonly utilize ants extermination services include single-family homes, apartment complexes, restaurants, and retail stores. Residential properties often seek treatment to protect food supplies and maintain a comfortable living environment. Commercial establishments, especially those involved in food handling or preparation, may require regular pest control to adhere to health regulations and prevent infestations. Additionally, property managers and business owners in areas prone to ant activity may opt for ongoing prevention plans to manage potential risks proactively.

Professional ants extermination services are tailored to address the unique needs of each property type and infestation severity. Service providers typically customize treatment plans based on the extent of the problem, the species involved, and the property’s layout. Regular inspections and preventative treatments can help maintain pest-free environments, reducing the likelihood of recurring issues. Contacting local pest control experts can provide property owners with effective solutions to manage ant problems and protect their spaces from future invasions.

The overview below groups typical Ants Extermination Service projects into broad ranges so you can see how smaller, mid-sized, and larger jobs often compare in Park Ridge, IL.

In many markets, a large share of routine jobs stays in the lower and middle ranges, while only a smaller percentage of projects moves into the highest bands when the work is more complex or site conditions are harder than average.

Initial Inspection - The cost for an ant inspection typically ranges from $50 to $150, depending on the property size and complexity. This fee often covers a thorough assessment to identify ant activity and entry points.

Perimeter Treatment - Applying a barrier treatment around the property usually costs between $100 and $300. The price varies based on the property's size and the extent of the infested area.

Spot Treatments - Targeted ant treatments for specific nests or problem areas generally range from $50 to $200 per session. Multiple treatments may be necessary for ongoing issues.

Ongoing Service Plans - Monthly or quarterly ant control plans typically cost between $30 and $70 per visit. These plans often include regular inspections and treatments to prevent future infestations.

Actual totals will depend on details like access to the work area, the scope of the project, and the materials selected, so use these as general starting points rather than exact figures.

Get an Ants Extermination Service Quote

Ants Extermination services are essential for eliminating ant infestations in residential and commercial properties. Local pros specializing in ant control can assess the severity of the problem and implement targeted treatment plans.

Ants Prevention solutions help to identify potential entry points and apply barrier methods to prevent future ant invasions. Professionals can advise on property modifications to reduce attractants.

Interior Ants Removal services focus on eliminating ants within homes and buildings through safe and effective methods. Local service providers can treat common nesting areas and entry points indoors.

Exterior Ants Control services target ant colonies outside the property, including yard and garden treatments. Experts can reduce ant populations around the perimeter to protect the structure.

Ant Trails and Nest Eradication services involve locating and removing ant nests and interrupting their trails. Local pros use specialized techniques to disrupt colonies and prevent re-infestation.

Emergency Ant Extermination services are available for urgent infestations requiring immediate attention. Local providers can respond promptly to address severe ant problems effectively.

Ants Extermination Service

When choosing a professional for ant extermination services, experience is an important factor to consider. Local pest control providers often have extensive knowledge of the specific ant species common in areas like Park Ridge, IL, and neighboring communities. An experienced contractor is better equipped to identify the type of infestation and implement effective treatment strategies. Homeowners are encouraged to review the backgrounds of local pros to ensure they have a solid track record in managing ant issues similar to their own, which can contribute to a more successful outcome.

Clear communication and well-defined expectations are essential when working with a pest control service provider. Reputable local pros typically outline the scope of their services, the methods they use, and any preparations homeowners may need to make beforehand. This transparency helps prevent misunderstandings and ensures that both parties are aligned on the process. Homeowners should seek out providers who demonstrate professionalism through their ability to answer questions thoroughly and provide detailed information about their approach.

References and reputation play a key role in selecting a reliable pest control contractor. Local service providers often have established relationships within the community, and reputable pros can provide references or testimonials from previous clients. These references can offer insights into the quality of service, professionalism, and overall satisfaction experienced by other homeowners. Effective communication and a transparent approach, combined with positive references, can help homeowners feel more confident in their choice of a local ant extermination specialist.

Get an Ants Extermination Service Quote

Property owners in Park Ridge, IL use Ants Extermination Service services for practical projects around their homes and businesses. The sections below highlight everyday jobs and straightforward project options.

Ants Extermination Service
Ants Extermination Service

Ants extermination services are often sought by property owners in Park Ridge, IL, facing common household issues such as ant trails in kitchens, bathrooms, or basements. These pests can become a nuisance when they invade food storage areas or establish colonies inside walls and cracks. Local pest control providers can assess the extent of ant activity and recommend targeted treatments to eliminate colonies and prevent future infestations, helping maintain a clean and comfortable living environment.

Property owners may also look for ant extermination when noticing increased ant activity during warmer months or after outdoor activities. Ants can be attracted to food crumbs, sugary spills, or standing water around the property. Professionals specializing in pest control can provide solutions to address these entry points and reduce the likelihood of recurring problems. Contacting local experts ensures that ant issues are handled efficiently and safely, supporting the ongoing comfort of homes and businesses in the area.

Get an Ants Extermination Service Quote

How do ant extermination services work? Ant extermination services typically involve inspecting the affected area, identifying ant species and entry points, and applying targeted treatments to eliminate colonies and prevent future infestations.

Are ant extermination treatments safe for pets and children? Most professional ant treatments are designed to be safe when used as directed, but it is advisable to follow any specific safety instructions provided by the service provider.

How long does an ant extermination treatment take to be effective? The effectiveness of treatments can vary depending on the severity of the infestation and the method used, but many treatments begin showing results within a few days.

Will I need multiple visits for ant extermination? Some ant infestations may require more than one visit to fully eliminate all colonies and prevent re-infestation, depending on the extent of the problem.

How can I prevent future ant problems? Preventative measures include maintaining cleanliness, sealing entry points, and consulting with a local pest control professional for ongoing advice and treatments.

Ants Extermination Solutions - Local service providers offer targeted treatments to eliminate ant colonies and prevent future infestations.

Inspection and Identification - Pros can assess property conditions to identify ant entry points and nesting areas for effective removal strategies.

Preventive Treatments - Professionals apply barrier methods and sealing techniques to reduce the likelihood of ant re-entry.

Ongoing Monitoring and Maintenance - Service providers can establish plans for regular inspections to keep ant populations under control.

Ants Extermination Service

Considering Ants Extermination Service for a property in Park Ridge, IL? The sections above highlight common project types, practical options, and details that often shape the scope of work.

When you are ready, use the quote form to share a few details about your project. Local pros can review the basics and respond with options that match what you have in mind.

Get an Ants Extermination Service Quote

Ants Extermination Quotes