Local Service Overview

Get Ants Extermination Service in Noblesville, IN

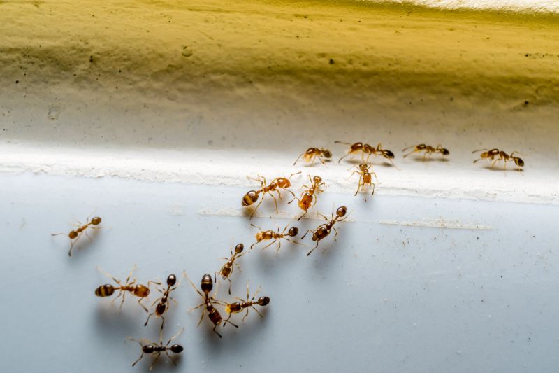
Ants extermination services for property owners in Noblesville, IN, and nearby areas address ant infestations through removal, prevention, and ongoing pest control solutions for residential and commercial properties.

Noblesville, IN

Ants extermination services provide property owners in Noblesville, IN, with effective solutions to manage ant infestations and prevent future issues. Eliminating ants helps maintain a comfortable living or working environment by reducing the nuisance and potential damage caused by these pests. Additionally, professional extermination enhances safety by minimizing the risk of ant-related contamination or bites, contributing to a more secure space for families, employees, and visitors.

Choosing expert ant control services can also improve the overall functionality and appearance of a property. A pest-free environment reduces the need for frequent cleaning and repairs caused by ant activity, leading to lower maintenance efforts over time. Furthermore, a well-maintained exterior free of ants can boost curb appeal, making properties more inviting and visually appealing to visitors and potential buyers.

Get Ants Extermination Service Quotes

  • Ants Extermination Services are recommended when ants invade homes or commercial properties in Noblesville, IN and surrounding areas.
  • Residential properties experiencing persistent ant activity may benefit from professional extermination solutions.
  • Businesses facing ant infestations that disrupt operations can seek expert pest control services.
  • Ants causing damage to structures or electrical wiring might require targeted treatment from local specialists.
  • Infestations that recur despite DIY efforts are often best addressed by experienced extermination providers.

Get Ants Extermination Service Quotes

Ants Extermination Service
Ants Extermination Service
Ants Extermination Service

Ants extermination services involve identifying and eliminating ant infestations within residential, commercial, or industrial properties. These services typically include thorough inspections to locate nests and pathways, followed by targeted treatments to eradicate the colonies. Techniques may involve the application of specialized baits, insecticides, or barriers designed to disrupt the ants’ colony and prevent future invasions. Professionals also provide advice on sanitation and structural modifications to reduce attractants and entry points, helping to maintain a pest-free environment.

Ant infestations can cause numerous problems for property owners. Beyond the nuisance of visible ants crawling across surfaces or within walls, colonies can lead to structural damage, especially if they are carpenter ants that burrow into wood. Additionally, ants can contaminate food supplies and create unsanitary conditions, raising concerns for households and businesses alike. Effective extermination services help address these issues by removing the source of the infestation and implementing measures to prevent recurrence, promoting a cleaner and healthier environment.

Various types of properties utilize ants extermination services, including single-family homes, apartment complexes, retail stores, restaurants, and office buildings. Residential properties often seek assistance to protect food storage areas and maintain comfort, while commercial properties aim to prevent disruptions to operations and uphold hygiene standards. Industrial sites with storage facilities or manufacturing components may also require specialized treatments to manage persistent or large-scale ant problems. The scope of the property typically influences the approach and methods used by local pest control providers.

Professional ant extermination services are essential for effectively managing infestations and minimizing their impact. Local service providers offer tailored solutions based on the specific needs of each property, ensuring targeted treatment and ongoing prevention strategies. Whether dealing with minor invasions or severe colonies, property owners can rely on experienced professionals to address ant problems comprehensively. Contacting local pest control experts can help identify the most appropriate treatment options and support efforts to maintain a pest-free environment.

The overview below groups typical Ants Extermination Service projects into broad ranges so you can see how smaller, mid-sized, and larger jobs often compare in Noblesville, IN.

In many markets, a large share of routine jobs stays in the lower and middle ranges, while only a smaller percentage of projects moves into the highest bands when the work is more complex or site conditions are harder than average.

Initial Inspection Cost - Typically ranges from $50 to $150 for a professional assessment of ant activity. This fee covers the inspection process but may vary depending on the property size and location.

Basic Treatment Services - The average cost for standard ant extermination treatments is between $100 and $300. This includes applying targeted treatments inside and outside the property to eliminate ants.

Comprehensive Pest Control Packages - Full-service pest control plans for ants can range from $200 to $500 annually. These plans often include multiple treatments and ongoing monitoring for effective control.

Emergency or One-Time Treatments - One-time extermination services typically cost between $120 and $400, depending on the severity of infestation and property size. Prices may vary based on the extent of the ant problem.

Actual totals will depend on details like access to the work area, the scope of the project, and the materials selected, so use these as general starting points rather than exact figures.

Get an Ants Extermination Service Quote

Ants Extermination - Local pest control providers offer specialized services to eliminate ant infestations in residential and commercial properties. They utilize targeted treatments to address the specific species of ants present.

Ants Prevention - Service providers can implement preventative strategies to reduce the likelihood of future ant invasions, including sanitation advice and barrier treatments.

Ants Inspection - Professionals conduct thorough inspections to identify ant entry points, nesting sites, and the extent of the infestation to determine effective treatment plans.

Ants Removal - Local pros utilize various removal techniques to eradicate ants from indoor and outdoor spaces, ensuring the elimination of colonies and nests.

Ants Barrier Treatments - Service providers apply barrier treatments around properties to create a protective zone that deters ants from entering structures.

Ants Nest Disruption - Experts locate and disrupt ant nests to eliminate colonies at the source, reducing the chance of re-infestation.

Ants Extermination Service

When selecting a professional for ant extermination services, experience is an important factor to consider. Local pros typically have a history of handling ant infestations specific to the area, which can contribute to more effective and tailored solutions. Evaluating how long a service provider has been operating in Noblesville, IN, and nearby communities can offer insights into their familiarity with local ant species and common infestation patterns.

Clear communication and well-defined expectations are essential when working with a pest control provider. Reputable local pros often provide detailed information about their treatment methods, what homeowners can expect during and after the service, and any necessary follow-up steps. This transparency helps ensure that homeowners are well-informed and comfortable with the process, reducing misunderstandings and fostering trust.

Reputable references and reviews from previous clients can serve as valuable resources when comparing local ant extermination services. Pros with positive feedback often demonstrate consistent quality and professionalism. Additionally, establishing a line of communication-whether through phone, email, or online contact forms-can help homeowners assess how responsive and helpful a service provider is, which is an important aspect of a successful working relationship.

Get an Ants Extermination Service Quote

Property owners in Noblesville, IN use Ants Extermination Service services for practical projects around their homes and businesses. The sections below highlight everyday jobs and straightforward project options.

Ants Extermination Service
Ants Extermination Service

Ants extermination services are commonly sought by property owners in Noblesville, IN, dealing with persistent ant invasions in residential or commercial spaces. These situations often arise when ants are seen trailing across kitchen counters, entering through small cracks, or establishing large colonies outdoors that threaten to move indoors. Local service providers can help identify the source of the infestation and recommend appropriate treatment options to address the problem effectively.

Property owners may also seek ant extermination services when ant activity begins to affect daily routines or compromise cleanliness. This can include finding ants in pantry items, around pet food, or in areas where food is prepared. Local professionals are available to assess the extent of the ant problem, provide targeted treatments, and help prevent future invasions, ensuring a pest-free environment for homes and businesses in the area.

Get an Ants Extermination Service Quote

How do ant extermination services work? Ant extermination services typically involve inspecting the affected areas, identifying ant species and entry points, and applying targeted treatments to eliminate colonies and prevent future infestations.

Are the treatments safe for pets and children? Many ant extermination options are designed to be safe for household members when applied by professionals, but it is recommended to discuss safety concerns with local service providers.

How long does an ant extermination treatment last? The duration of effectiveness varies depending on the treatment method and extent of the infestation, with some solutions providing protection for several months.

Can ant extermination services prevent future infestations? Yes, professionals often include recommendations and treatments to help reduce the likelihood of ants returning to the property.

When should I contact an ant extermination service? It is advisable to contact a local professional at the first signs of an ant problem to ensure prompt and effective treatment.

Ants Prevention Strategies - Local pest control providers can recommend effective methods to prevent ant infestations and keep properties secure.

Inspection and Identification - Professionals can assess your property to identify ant activity and determine the species involved for targeted treatment.

Customized Extermination Plans - Service providers can develop tailored approaches to eliminate ant colonies and reduce future invasions.

Ongoing Monitoring and Maintenance - Experts can offer ongoing monitoring solutions to ensure ants do not return and maintain a pest-free environment.

Ants Extermination Service

Considering Ants Extermination Service for a property in Noblesville, IN? The sections above highlight common project types, practical options, and details that often shape the scope of work.

When you are ready, use the quote form to share a few details about your project. Local pros can review the basics and respond with options that match what you have in mind.

Get an Ants Extermination Service Quote

Ants Extermination Quotes