Local Service Overview

Get Ants Extermination Service in Morton Grove, IL

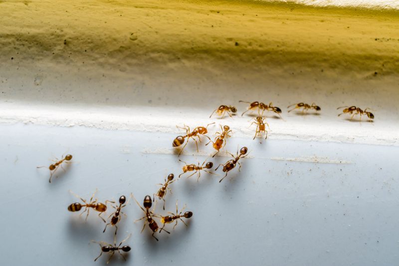
Ants extermination services for Morton Grove, IL, and nearby areas address ant infestations, including nests, trails, and ongoing invasions in residential and commercial properties.

Morton Grove, IL

Ants extermination services provide property owners in Morton Grove, IL with an effective way to manage and eliminate ant infestations. Addressing ant problems promptly helps maintain a comfortable living or working environment by preventing the discomfort and inconvenience caused by these pests. Additionally, professional extermination can protect the structural integrity of a property by preventing potential damage that ants may cause to wood, wiring, or insulation, thereby enhancing the overall durability of the property.

Engaging with local extermination providers offers several practical benefits for property owners. These services can improve curb appeal by reducing visible ant activity and preventing unsightly nests or trails. Moreover, regular pest control can reduce the need for ongoing maintenance, saving time and effort while ensuring the property remains safe and functional. Overall, professional ant extermination supports a secure, attractive, and well-maintained property in Morton Grove.

Get Ants Extermination Service Quotes

  • Ants Extermination - when there is a visible ant infestation inside residential or commercial properties.
  • Ants Extermination - to address recurring ant problems that disrupt daily activities in homes or businesses.
  • Ants Extermination - in cases where ants are found nesting in hard-to-reach areas such as wall voids or beneath floors.
  • Ants Extermination - to prevent ant colonies from spreading and causing further structural or cosmetic damage.
  • Ants Extermination - when ant activity is observed near food storage or preparation areas, indicating a need for professional intervention.

Get Ants Extermination Service Quotes

Ants Extermination Service
Ants Extermination Service
Ants Extermination Service

Ants extermination services involve identifying and eliminating ant infestations within residential, commercial, or industrial properties. Professionals typically assess the affected areas to determine the species of ants and the extent of the problem. Treatment methods may include the application of targeted insecticides, baiting systems, and barrier treatments designed to eradicate colonies and prevent future invasions. The goal is to remove ants efficiently while minimizing disruption to the property and its occupants.

This service addresses common issues caused by ant infestations, such as property damage, contamination of food supplies, and general nuisance. Certain ant species, like carpenter ants, can compromise structural elements by burrowing into wood, leading to costly repairs if left untreated. Additionally, ant colonies can attract other pests or pose health concerns, especially when they invade kitchens or food storage areas. Professional extermination helps resolve these problems by thoroughly eliminating colonies and reducing the risk of recurring infestations.

Ant extermination services are often sought for a variety of property types, including single-family homes, apartment complexes, restaurants, and retail stores. Residential properties with visible ant trails or nests are common candidates for treatment, especially when the infestation is extensive or persistent. Commercial properties, particularly food service establishments, benefit from regular pest control to maintain hygiene standards and comply with health regulations. Industrial facilities with storage areas or warehouses may also require specialized treatments to protect inventory and infrastructure.

Engaging with local pest control providers for ant extermination services ensures that property owners receive tailored solutions suited to their specific needs. Professionals utilize proven techniques and products to target ant colonies effectively, helping to restore comfort and prevent damage or health issues associated with infestations. Contacting experienced service providers can facilitate a comprehensive approach to managing ant problems across different property types.

The overview below groups typical Ants Extermination Service projects into broad ranges so you can see how smaller, mid-sized, and larger jobs often compare in Morton Grove, IL.

In many markets, a large share of routine jobs stays in the lower and middle ranges, while only a smaller percentage of projects moves into the highest bands when the work is more complex or site conditions are harder than average.

Initial Inspection - The cost for an ant inspection typically ranges from $50 to $150, depending on the property size and complexity. Some providers may charge a flat fee or include it with treatment services.

Per-Visit Treatment - Ant extermination services per visit usually cost between $100 and $300. The price varies based on the extent of the infestation and the treatment method used.

Monthly Maintenance - Ongoing monthly ant control plans often range from $30 to $60 per month. These plans may include regular inspections and treatments to prevent re-infestation.

Whole-Property Extermination - Complete property treatments can cost between $200 and $500, depending on the size and severity of the ant problem. Larger or more infested properties tend to be on the higher end of the range.

Actual totals will depend on details like access to the work area, the scope of the project, and the materials selected, so use these as general starting points rather than exact figures.

Get an Ants Extermination Service Quote

Ants Extermination - Local pest control providers offer targeted solutions to eliminate ant infestations in residential and commercial properties. Their services aim to address the specific types of ants present and prevent future invasions.

Ants Prevention - Service providers can assess property conditions to identify and mitigate factors attracting ants, helping to reduce the risk of future problems. They often recommend ongoing prevention strategies.

Ants Inspection - Professionals conduct thorough inspections to locate ant colonies and entry points, providing detailed assessments to inform effective treatment plans. Inspections help pinpoint the source of infestations.

Ants Baiting - Local pros utilize baiting techniques to attract and eliminate ant colonies efficiently, minimizing the use of sprays and chemicals in sensitive areas. Baiting is a common method for controlling ant populations.

Ants Treatment - Expert service providers apply specialized treatments tailored to the severity and type of ant infestation, aiming to eradicate colonies and prevent recurrence. Treatments are designed to be effective and targeted.

Ants Removal - Professionals focus on the complete removal of ants from affected areas through comprehensive approaches, ensuring that the infestation is thoroughly addressed and does not return. Removal services are part of integrated pest management.

Ants Extermination Service

When comparing local professionals for ant extermination services, experience is a key factor to consider. Homeowners should seek out providers who have a proven track record in handling ant infestations within the community, particularly in areas like Morton Grove, IL and surrounding neighborhoods. An experienced service provider is likely to understand the specific behaviors of local ant species and employ effective treatment methods. It’s beneficial to review the reputation of these providers through reputable references or customer testimonials to gauge their reliability and quality of work.

Clear communication and well-defined expectations are essential when choosing a pest control professional. Homeowners should look for providers who are transparent about their process, what clients can expect during and after treatment, and any necessary follow-up procedures. Open dialogue helps ensure that both parties are aligned on the scope of work and reduces potential misunderstandings. Reputable local pros often provide detailed information about their services, which can be verified through references or reviews from previous clients.

Lastly, the process of selecting a pest control provider involves evaluating their reputation and how they interact with potential customers. Reliable service providers typically maintain consistent communication, promptly respond to inquiries, and are willing to address questions or concerns. While the site introduces local options, it is important to remember that it functions as a lead-generation resource and does not perform the extermination work itself. Homeowners are encouraged to contact the listed local pros directly to discuss their specific needs and confirm that the provider’s approach aligns with their expectations.

Get an Ants Extermination Service Quote

Property owners in Morton Grove, IL use Ants Extermination Service services for practical projects around their homes and businesses. The sections below highlight everyday jobs and straightforward project options.

Ants Extermination Service
Ants Extermination Service

Ants extermination services are often sought by property owners in Morton Grove, IL, when they notice ant activity around their homes or businesses. Common situations include finding trails of ants in kitchens, bathrooms, or other areas where food is stored or prepared. Property owners may also look for professional help if they discover ant nests or suspect an ongoing infestation that could lead to further issues if not addressed promptly.

Additionally, residents and business owners may seek ant extermination services to prevent future problems, especially during warmer months when ant activity tends to increase. Concerns about protecting food supplies, maintaining cleanliness, and avoiding potential damage caused by ant colonies are common reasons for reaching out to local service providers. These professionals can help identify the source of the problem and implement effective solutions to keep properties ant-free.

Get an Ants Extermination Service Quote

How do ant extermination services work? Ant extermination services typically involve inspecting the property to identify ant colonies and entry points, followed by applying targeted treatments to eliminate ants and prevent future infestations.

Are ant treatments safe for pets and children? Most ant extermination methods used by local service providers are designed to be safe when applied according to instructions; it is advisable to discuss any concerns with the service provider beforehand.

How long does an ant extermination treatment take? The duration of treatment varies depending on the extent of the infestation and the treatment method used, but many services aim to complete the process in a single visit.

Will I need multiple treatments for ants? Some ant species may require more than one treatment to fully eliminate the colony and prevent re-infestation, which can be discussed with the local service provider.

How can I prevent future ant problems? Local pros often recommend maintaining cleanliness, sealing entry points, and scheduling regular inspections to help prevent future ant issues.

Ants Extermination Methods - Local service providers utilize a variety of techniques, including baiting and residual treatments, to effectively eliminate ant infestations.

Preventive Ant Control Tips - Pros can advise on sealing entry points and removing attractants to help prevent future ant problems.

Residential Ant Extermination - Experts offer tailored solutions for homes in Morton Grove and nearby areas to address ant issues safely and efficiently.

Commercial Ant Pest Solutions - Commercial property specialists provide targeted treatments to manage ant populations and protect business environments.

Ants Extermination Service

Considering Ants Extermination Service for a property in Morton Grove, IL? The sections above highlight common project types, practical options, and details that often shape the scope of work.

When you are ready, use the quote form to share a few details about your project. Local pros can review the basics and respond with options that match what you have in mind.

Get an Ants Extermination Service Quote

Ants Extermination Quotes