Local Service Overview

Get Ants Extermination Service in Mesquite, TX

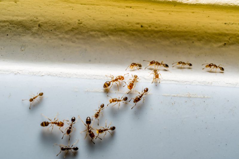
Ants extermination services for property owners in Mesquite, TX, and nearby areas address ant infestations, prevent future invasions, and handle residential and commercial pest control projects.

Mesquite, TX

Ants extermination services in Mesquite, TX are essential for property owners seeking to maintain a comfortable and safe living environment. Infestations can disrupt daily routines and compromise hygiene, making professional removal a practical solution. By addressing ant problems promptly, property owners can enjoy a more functional space free from the nuisance and potential damage caused by these persistent pests.

Engaging with local extermination providers offers benefits such as enhanced curb appeal and reduced maintenance needs. Proper pest control helps preserve the integrity of structures and prevents future invasions, contributing to the overall durability of the property. This proactive approach ensures a more enjoyable and worry-free living or working environment in Mesquite.

Get Ants Extermination Service Quotes

  • Ants Extermination - needed when ants invade kitchens, bathrooms, or other indoor spaces in Mesquite, TX and surrounding areas.
  • Ants Extermination - required for property owners dealing with persistent ant colonies outdoors in yards or gardens.
  • Ants Extermination - necessary when ants are found nesting inside walls, under floors, or in hard-to-reach areas.
  • Ants Extermination - sought after when ant activity is noticed near foundations, entry points, or along exterior walls.
  • Ants Extermination - appropriate for commercial or residential spaces experiencing ant infestations that disrupt daily activities.

Get Ants Extermination Service Quotes

Ants Extermination Service
Ants Extermination Service
Ants Extermination Service

Ants extermination services involve identifying and eliminating ant infestations within residential, commercial, or industrial properties. Professionals typically conduct thorough inspections to determine the extent of the ant problem and locate their nests. Treatment methods may include applying targeted insecticides, bait stations, or other pest control solutions designed to eliminate ants at their source. The goal is to reduce or eradicate ant populations to prevent further intrusion and damage, ensuring a safer and more comfortable environment for property occupants.

Ant infestations can cause a range of problems, from minor nuisances to more significant issues. Ants can contaminate food supplies, especially in kitchens and pantry areas, leading to potential health concerns. Certain species, such as fire ants, may pose a threat through painful stings or bites. Additionally, some ants can cause structural damage by nesting in walls or foundations, and their presence can lead to increased frustration and discomfort for residents or employees. Ant extermination services help address these problems by effectively removing the pests and implementing measures to prevent future invasions.

Various types of properties tend to utilize ant extermination services, including single-family homes, apartment complexes, restaurants, and retail stores. Homes often seek treatment to protect food supplies and maintain hygiene standards. Commercial properties, such as food establishments and warehouses, require pest control to meet health regulations and ensure customer safety. Additionally, property managers and business owners may engage pest control providers to manage ant issues in multi-unit buildings or industrial facilities. The specific needs of each property type influence the approach and treatment methods used by pest control professionals.

Professional ant extermination services typically involve a combination of inspection, targeted treatments, and prevention strategies. Service providers may use baiting systems, residual insecticides, or dust formulations to target ants effectively. Preventative measures such as sealing entry points, removing attractants, and advising on property maintenance can help minimize the risk of future infestations. While the scope of service varies depending on the severity of the problem and property type, the primary focus remains on eliminating existing ant populations and reducing the likelihood of recurrence, ensuring properties remain ant-free and comfortable for occupants.

The overview below groups typical Ants Extermination Service projects into broad ranges so you can see how smaller, mid-sized, and larger jobs often compare in Mesquite, TX.

In many markets, a large share of routine jobs stays in the lower and middle ranges, while only a smaller percentage of projects moves into the highest bands when the work is more complex or site conditions are harder than average.

Initial Inspection - The cost for an ant inspection typically ranges from $50 to $150, depending on the property size and complexity. Some providers may include a basic assessment as part of a treatment package. Prices can vary based on local service providers' rates.

One-Time Treatment - A single ant extermination service usually costs between $100 and $300. This includes application of targeted treatments to eliminate current colonies and prevent immediate re-infestation. Larger or more severe infestations may be on the higher end of the range.

Ongoing Pest Control - Monthly or quarterly ant control plans generally cost from $40 to $70 per visit. These plans often include regular treatments and inspections to keep ant populations under control over time. The total cost depends on the frequency and size of the property.

Barrier or Perimeter Treatments - Applying a barrier treatment around a property can range from $150 to $400. This service creates a protective zone to deter ants from entering structures and is often recommended for ongoing prevention. Prices vary based on property size and treatment scope.

Actual totals will depend on details like access to the work area, the scope of the project, and the materials selected, so use these as general starting points rather than exact figures.

Get an Ants Extermination Service Quote

Ants Extermination - Local service providers offer targeted treatments to eliminate ant colonies and prevent future infestations in residential and commercial properties.

Ant Control for Homes - Pros specialize in assessing and treating ant entry points to protect homes from recurring ant problems.

Commercial Ant Extermination - Business-focused services address ant issues in retail, office, and industrial spaces to maintain a pest-free environment.

Outdoor Ant Treatment - Local experts apply treatments to yards and gardens to control outdoor ant activity and reduce indoor invasions.

Ant Infestation Removal - Professionals identify the source of ant colonies and implement strategies to remove them effectively.

Preventative Ant Services - Service providers offer ongoing monitoring and barrier treatments to help keep ants from returning.

Ants Extermination Service

When selecting a professional for ant extermination services, experience is an important factor to consider. Local service providers often have extensive knowledge of common ant species in the Mesquite, TX area and surrounding communities, which can contribute to effective treatment strategies. It’s helpful to review the background of each contractor, including how long they have been operating in the area, to gauge their familiarity with local pests and conditions. This experience can influence the quality of service and the likelihood of addressing ant issues thoroughly.

Clear communication and well-defined expectations are essential when working with a pest control professional. Reputable local providers typically outline their service procedures, what homeowners can expect during and after treatment, and any necessary preparations. Transparent communication helps ensure that homeowners understand the scope of work, potential follow-up treatments, and any precautions to take. Establishing these expectations upfront can contribute to a smoother service experience and reduce misunderstandings.

Reputable references and positive reputation within the community are valuable indicators of a reliable ant extermination service. Local homeowners often share their experiences through reviews or recommendations, which can help in evaluating a contractor’s professionalism and effectiveness. When considering different options, it’s beneficial to seek out providers with a history of satisfied clients and consistent service quality. While the site introduces local pros, it’s important to independently verify their reputation and communication practices to find the right fit for specific ant control needs.

Get an Ants Extermination Service Quote

Property owners in Mesquite, TX use Ants Extermination Service services for practical projects around their homes and businesses. The sections below highlight everyday jobs and straightforward project options.

Ants Extermination Service
Ants Extermination Service

Ants extermination services are commonly sought after by property owners in Mesquite, TX, who notice ant activity around their homes or businesses. Common situations include encountering visible ant trails, finding nests in lawns or near foundations, or experiencing increased ant presence during warmer months. Property owners may look for professional assistance to eliminate these pests effectively and prevent future invasions that could compromise the comfort and cleanliness of their spaces.

In addition to visible infestations, property owners often seek ants extermination services to address recurring issues or prevent potential damage caused by certain ant species. For example, some ants may invade food storage areas or nest within walls, creating ongoing nuisances. Local service providers can offer targeted solutions to manage these problems, helping maintain a pest-free environment in residential and commercial properties throughout Mesquite.

Get an Ants Extermination Service Quote

How do ant extermination services work? Ant extermination services typically involve inspecting the property, identifying ant species and entry points, and applying targeted treatments to eliminate nests and prevent future infestations.

Are ant extermination treatments safe for pets and children? Most professional ant treatments are designed to be safe when applied by trained service providers, but it is recommended to follow any specific safety instructions provided by the local pros.

How long does an ant extermination treatment last? The effectiveness duration can vary depending on the treatment method and the severity of the infestation; local service providers can offer guidance on follow-up needs.

Can ant extermination services prevent future infestations? Yes, many services include preventative measures to reduce the likelihood of ants returning, such as sealing entry points and advising on sanitation practices.

How can I prepare my home for ant extermination services? Preparation may involve clearing areas around entry points, removing food and water sources, and following any specific instructions provided by the local pest control professionals.

Ants Extermination Solutions - Local service providers offer targeted treatments to eliminate ant infestations effectively.

Inspection and Identification - Pros can identify ant species and locate nests to determine the most appropriate extermination methods.

Preventive Measures - Experts can advise on sanitation and structural repairs to reduce future ant activity around properties.

Ongoing Monitoring - Service providers may offer follow-up inspections to ensure ant problems are fully resolved.

Ants Extermination Service

Considering Ants Extermination Service for a property in Mesquite, TX? The sections above highlight common project types, practical options, and details that often shape the scope of work.

When you are ready, use the quote form to share a few details about your project. Local pros can review the basics and respond with options that match what you have in mind.

Get an Ants Extermination Service Quote

Ants Extermination Quotes