Local Service Overview

Get Ants Extermination Service in Menomonee Falls, WI

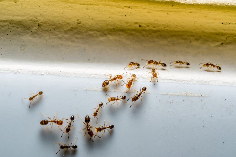
Ants extermination services for property owners in Menomonee Falls, WI, and nearby areas address ant infestations, including nests in homes, gardens, and commercial properties.

Menomonee Falls, WI

Ants extermination services provide property owners in Menomonee Falls, WI with effective solutions to manage and eliminate ant infestations. Addressing these pests helps maintain a comfortable living or working environment by preventing disruptions caused by ant colonies. Additionally, professional extermination can enhance safety by reducing the risk of ant-related allergies or bites, while also protecting the structural integrity of a property from potential damage caused by certain ant species.

Choosing expert ant extermination services offers several practical benefits. It can improve the overall functionality and appearance of a property by removing unsightly nests and trails, boosting curb appeal. Furthermore, regular pest control efforts can lead to reduced maintenance needs over time, as infestations are managed before they become severe. This proactive approach helps property owners enjoy a more durable and inviting space with fewer concerns about pest-related issues.

Get Ants Extermination Service Quotes

  • Ants Extermination - homeowners experiencing ant infestations in residential or commercial properties may need professional extermination services.
  • Ants Infestation Control - properties in areas like Menomonee Falls, WI, and surrounding communities facing persistent ant problems can benefit from expert treatments.
  • Ants Removal Services - when ants invade kitchens, basements, or outdoor spaces, local service providers can help eliminate the colony.
  • Ants Pest Management - commercial establishments dealing with ant outbreaks may seek specialized pest management solutions.
  • Ants Prevention and Extermination - property owners looking to prevent future ant invasions can contact local pros for ongoing pest control options.

Get Ants Extermination Service Quotes

Ants Extermination Service
Ants Extermination Service
Ants Extermination Service

Ants extermination services involve the identification and elimination of ant infestations within residential, commercial, or industrial properties. Trained professionals assess the extent of the ant problem, locate nests, and determine the most effective treatment methods. These services often include targeted application of insecticides, baiting systems, and other specialized techniques designed to eradicate the entire colony and prevent future invasions. The goal is to restore a pest-free environment by addressing the root cause of the infestation rather than just treating surface-level signs.

Ant infestations can cause various issues, including property damage, contamination of food supplies, and general discomfort for occupants. Certain types of ants, such as carpenter ants, may compromise structural integrity by burrowing into wood, while others like odorous house ants can quickly multiply and become difficult to control without professional intervention. Effective extermination services help eliminate these pests, reducing the risk of damage and minimizing health concerns associated with ant presence.

Properties that typically utilize ant extermination services include single-family homes, apartment complexes, retail stores, restaurants, and office buildings. Residential properties often seek treatment to protect food storage areas and maintain comfort, while commercial establishments may require ongoing pest management to meet health and safety standards. In industrial settings, professional extermination helps prevent contamination and damage to products or equipment. Regardless of property type, the goal is to establish a pest-free environment through targeted and efficient pest control strategies.

Engaging with local pest control providers for ant extermination services offers a tailored approach to managing infestations. These professionals evaluate the specific conditions of each property, recommend suitable treatment options, and implement solutions designed to address the unique challenges of each situation. Contacting experienced local service providers ensures that property owners and managers receive effective, timely assistance in controlling ant populations and maintaining a pest-free environment.

The overview below groups typical Ants Extermination Service projects into broad ranges so you can see how smaller, mid-sized, and larger jobs often compare in Menomonee Falls, WI.

In many markets, a large share of routine jobs stays in the lower and middle ranges, while only a smaller percentage of projects moves into the highest bands when the work is more complex or site conditions are harder than average.

Initial Inspection - The cost for an ant inspection typically ranges from $50 to $150, depending on property size and complexity. Some providers may charge around $75 for a standard assessment in Menomonee Falls, WI. This fee often covers identifying ant species and infestation extent.

Perimeter Treatment - Applying ant control treatments around the property usually costs between $100 and $300. For example, a typical service might be priced at $200 for a residential home in the local area. Costs vary based on property size and treatment scope.

Spot Treatments - Targeted ant spot treatments generally range from $50 to $150 per session. Smaller infestations or localized areas may incur closer to $75, while larger or multiple spots could reach $125 or more. This service is often used for ongoing management.

Follow-up Visits - Follow-up pest control visits for ant eradication typically cost between $75 and $200. Some providers include follow-up in initial service packages, but standalone visits usually fall within this range. The number of visits needed depends on infestation severity.

Actual totals will depend on details like access to the work area, the scope of the project, and the materials selected, so use these as general starting points rather than exact figures.

Get an Ants Extermination Service Quote

Ants Extermination - Local pest control providers offer specialized services to eliminate ant colonies and prevent future infestations in residential and commercial properties.

Ants Prevention - Service providers can implement strategies to identify and remove ant entry points, helping to keep properties ant-free over time.

Ants Inspection - Professionals conduct thorough inspections to locate ant nests and determine the extent of an infestation for targeted treatment.

Ants Removal - Experienced technicians utilize various removal methods to effectively eradicate ants from indoor and outdoor spaces.

Ants Barrier Treatments - Local pros apply barrier treatments around structures to create a protective zone against ant intrusion.

Ants Control Consultation - Pest control experts provide advice and recommendations tailored to specific ant problems and property needs.

Ants Extermination Service

When evaluating local professionals for ant extermination services, experience is a key factor to consider. Homeowners should look for providers with a proven track record in handling ant infestations similar to their own. Experienced service providers often have a deeper understanding of ant behavior, effective treatment methods, and the nuances of different property types, which can contribute to more successful outcomes. It’s beneficial to review how long a local pros has been operating in the area and whether they have specialized knowledge in pest control.

Clear communication and well-defined expectations are essential when working with a pest control provider. Reputable local pros typically provide detailed information about their process, including the scope of work, types of treatments used, and any preparations needed before service. Homeowners should seek providers who are transparent about what to expect during and after treatment, ensuring there are no surprises or misunderstandings. Establishing open lines of communication can help ensure the service aligns with the homeowner’s needs and concerns.

References and reputation are valuable indicators of a local professional’s reliability and quality of service. Homeowners can inquire about references or seek out reviews from previous clients in the community. Reputable providers often have a history of satisfied customers and positive feedback, which can be verified through online reviews or personal recommendations. When choosing a pest control service, it’s important to consider how well the provider communicates, the clarity of their service expectations, and their standing within the local community.

Get an Ants Extermination Service Quote

Property owners in Menomonee Falls, WI use Ants Extermination Service services for practical projects around their homes and businesses. The sections below highlight everyday jobs and straightforward project options.

Ants Extermination Service
Ants Extermination Service

Ants extermination services are commonly sought by property owners in Menomonee Falls, WI when ants become an unwelcome presence inside homes or businesses. Common situations include spotting ant trails along countertops, near entry points, or within stored food areas. Property owners may look for professional assistance to effectively eliminate these pests and prevent future invasions, especially as ant activity tends to increase during warmer months.

In addition to visible ant activity, property owners might pursue extermination services to address recurring infestations or to safeguard food storage and structural integrity. Ants can sometimes indicate underlying issues with moisture or access points that need addressing. Local service providers can assess the situation and recommend targeted solutions to help maintain a pest-free environment.

Get an Ants Extermination Service Quote

How do ant extermination services work? Ant extermination services typically involve inspecting the property to identify ant entry points and nests, followed by applying targeted treatments to eliminate the colony and prevent future infestations.

Are ant extermination treatments safe for pets and children? Many local pros use treatments that are safe for pets and children when applied according to safety guidelines; it is recommended to discuss safety concerns with the service provider.

How long does an ant extermination treatment last? The effectiveness duration varies depending on the treatment method and extent of the infestation, with some treatments providing protection for several months.

Can ant extermination services prevent future ant problems? Yes, professional treatments often include recommendations for ongoing prevention and exclusion methods to reduce the likelihood of future ant invasions.

How can I identify if I have an ant infestation? Signs of an ant infestation include visible ant trails, presence of ant colonies near entry points, and sightings of ants inside the home or property.

Ants Extermination Solutions - Local service providers offer targeted treatments to eliminate ant colonies and prevent future infestations.

Inspection and Identification - Pros can assess property conditions to identify ant entry points and nesting areas for effective removal strategies.

Preventive Treatments - Service providers apply barriers and deterrents to reduce the likelihood of ants returning to residential or commercial spaces.

Ongoing Monitoring - Experts can establish maintenance plans to monitor ant activity and ensure long-term control.

Ants Extermination Service

Considering Ants Extermination Service for a property in Menomonee Falls, WI? The sections above highlight common project types, practical options, and details that often shape the scope of work.

When you are ready, use the quote form to share a few details about your project. Local pros can review the basics and respond with options that match what you have in mind.

Get an Ants Extermination Service Quote

Ants Extermination Quotes