Local Service Overview

Get Ants Extermination Service in Little Elm, TX

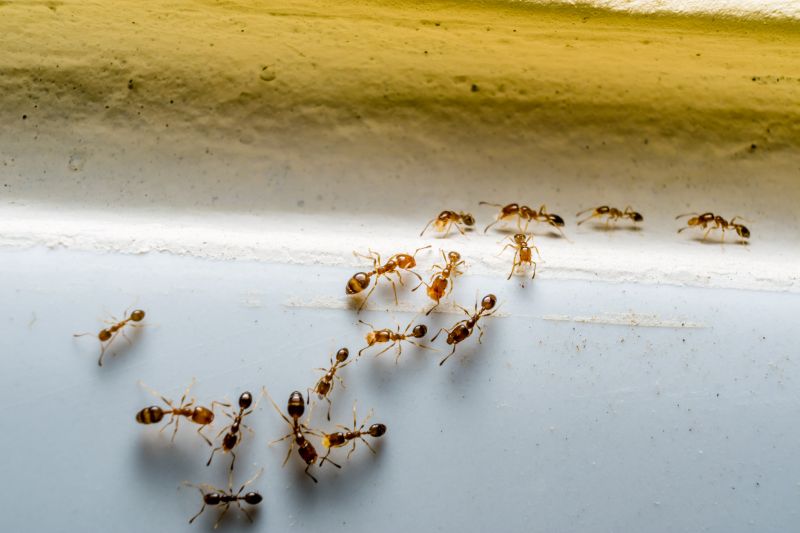
Ants extermination services for property owners in Little Elm, TX, and nearby areas handle ant infestations, prevention, and removal for residential and commercial properties.

Little Elm, TX

Ants extermination services are essential for property owners in Little Elm, TX seeking to maintain a comfortable and safe living environment. Effective removal helps prevent infestations that can cause damage to structures and stored belongings, while also reducing the risk of health issues associated with ant colonies. By addressing these pests promptly, property owners can enjoy a more functional space free from the disruptions and inconveniences that ants can bring, contributing to overall peace of mind.

Choosing professional ant extermination services can also enhance curb appeal and durability of a property. A pest-free exterior not only improves the visual attractiveness of a home or business but also helps protect building materials from potential damage caused by ant activity. This proactive approach often leads to reduced maintenance needs over time, supporting the long-term integrity and appearance of the property in Little Elm, TX.

Get Ants Extermination Service Quotes

  • Ants Extermination Services are essential when dealing with persistent ant infestations in residential or commercial properties.
  • These services are needed when ants invade kitchens, bathrooms, or other indoor spaces in areas such as Little Elm, TX, and nearby communities.
  • Ant control solutions are sought after when ant colonies have established themselves outdoors around homes or in yards.
  • Professional exterminators can assist with ant problems that threaten to spread or cause damage to structures or stored goods.
  • Contact local pest control providers to address ant issues promptly and effectively in neighborhoods across the region.

Get Ants Extermination Service Quotes

Ants Extermination Service
Ants Extermination Service
Ants Extermination Service

Ants extermination services involve identifying and eliminating ant infestations within residential, commercial, or industrial properties. These services typically include thorough inspections to determine the extent of the ant problem, followed by targeted treatment methods to eradicate colonies and prevent future invasions. Local service providers may use a combination of baiting, trapping, and chemical applications tailored to the specific species of ants and the property’s layout. The goal is to effectively remove the ants while minimizing disruption to the property and its occupants.

Ant infestations can cause numerous problems for property owners, including damage to structures, contamination of food supplies, and general nuisance. Certain ant species, such as carpenter ants, are known to cause structural damage by burrowing into wood, which can compromise the integrity of buildings over time. Additionally, ants can contaminate food and surfaces, posing health risks, especially in kitchens and food storage areas. Extermination services help address these issues by reducing or eliminating ant populations, thereby protecting the property and maintaining a cleaner, safer environment.

Properties that commonly utilize ants extermination services range from single-family homes to larger commercial establishments. Residential properties often seek treatment to protect kitchens, pantries, and outdoor living spaces from ant invasions. Commercial properties, including restaurants, grocery stores, and warehouses, may require regular pest management to ensure food safety and compliance with health standards. Additionally, property managers of multi-unit complexes and public facilities may engage extermination services to maintain pest-free environments for tenants and visitors.

Professional ant extermination services are designed to provide long-term solutions for property owners facing persistent ant problems. These services involve customized treatment plans that consider the property’s size, layout, and the specific ant species involved. By partnering with local pest control providers, property owners can access effective methods to control and prevent ant infestations, ensuring a cleaner, more comfortable space. Contacting local pros can help identify the most appropriate approach for each property’s unique needs.

The overview below groups typical Ants Extermination Service projects into broad ranges so you can see how smaller, mid-sized, and larger jobs often compare in Little Elm, TX.

In many markets, a large share of routine jobs stays in the lower and middle ranges, while only a smaller percentage of projects moves into the highest bands when the work is more complex or site conditions are harder than average.

Initial Inspection - The cost for an ant extermination inspection typically ranges from $50 to $150, depending on property size and complexity. Larger homes or commercial spaces may incur higher fees within this range.

Spot Treatments - Spot treatment services generally cost between $100 and $300 per application. The price varies based on the extent of the ant infestation and the treatment method used.

Full Property Treatment - Complete property extermination services usually fall between $200 and $600. Larger or heavily infested properties tend to be on the higher end of this range.

Ongoing Prevention - Ongoing prevention plans or quarterly treatments typically cost $150 to $400 annually. These plans aim to reduce future ant activity and may include multiple visits by local service providers.

Actual totals will depend on details like access to the work area, the scope of the project, and the materials selected, so use these as general starting points rather than exact figures.

Get an Ants Extermination Service Quote

Ants Extermination services involve local professionals who specialize in identifying and eliminating ant colonies in residential and commercial properties.

Experts provide targeted treatments to address common ant infestations, helping to reduce ongoing pest issues effectively.

Ants Extermination services include inspection, treatment application, and advice on preventing future invasions, tailored to local environments.

Professionals use proven methods to locate nests and apply solutions that minimize disruption to the property and inhabitants.

These services are suitable for various types of ants, including fire ants, carpenter ants, and sugar ants, among others.

Contacting local ant extermination providers ensures access to experienced professionals equipped to handle specific infestation challenges.

Ants Extermination Service

When selecting a local ant extermination service, it's important to consider the experience of the contractors. Homeowners should look for providers with a proven track record in handling ant infestations similar to their own, as this can indicate familiarity with effective treatment methods and common local ant species. Reputable professionals often have years of service in the area, which can translate into a deeper understanding of the most successful strategies for ant control in specific environments like Little Elm, TX.

Clear communication and well-defined expectations are essential when working with local pros. Homeowners should seek service providers who openly discuss their treatment approaches, what clients can expect during and after the service, and any necessary follow-up procedures. Transparent communication helps ensure that both parties share a mutual understanding of the scope of work, reducing potential misunderstandings and fostering a smoother service experience.

Reputable references and reviews can serve as valuable indicators of a contractor’s reliability and quality of service. Homeowners are encouraged to request references or seek out reviews from previous clients in their area. This feedback can offer insights into the contractor’s professionalism, responsiveness, and effectiveness in eliminating ant problems. While the information below introduces local options, it is important to independently verify the credentials and reputation of prospective service providers to find a trusted partner for ant extermination needs.

Get an Ants Extermination Service Quote

Property owners in Little Elm, TX use Ants Extermination Service services for practical projects around their homes and businesses. The sections below highlight everyday jobs and straightforward project options.

Ants Extermination Service
Ants Extermination Service

Ants extermination services are commonly sought by property owners in Little Elm, TX, when ants become a persistent nuisance in homes or businesses. Common scenarios include spotting ant trails along baseboards, kitchen counters, or entry points, especially during warmer months when ants are more active. Property owners may look for professional assistance to eliminate these pests effectively and prevent future invasions, ensuring a clean and comfortable living or working environment.

Additionally, many in Little Elm seek ant extermination services after noticing an increase in ant activity around outdoor areas such as gardens, patios, or near trash bins. These pests can sometimes invade indoor spaces through small cracks or gaps, prompting property owners to contact local service providers for targeted treatments. Professional exterminators can assess the situation, identify ant species, and implement solutions to manage the infestation and protect the property from recurring problems.

Get an Ants Extermination Service Quote

How do ant extermination services work? Ant extermination services typically involve inspecting the property, identifying ant species and entry points, and applying targeted treatments to eliminate colonies and prevent future infestations.

Are the treatments safe for children and pets? Many ant extermination options are designed to be safe when applied by professionals, but it is recommended to discuss specific concerns with local service providers.

How long does an ant extermination treatment last? The effectiveness duration varies depending on the treatment method and severity of the infestation; local pros can provide guidance based on specific situations.

Can ant extermination services prevent future infestations? Yes, professional treatments often include preventative measures to reduce the likelihood of ants returning to the property.

How can I prepare my home for ant extermination? Preparing may involve cleaning the area, removing food sources, and following any specific instructions provided by the service provider to ensure effective treatment.

Ants Extermination Techniques - Local pest control providers utilize various methods to effectively eliminate ant infestations, including baiting and targeted treatments.

Signs of Ant Infestation - Recognizing early indicators such as trails, nests, or damaged property can help determine the need for professional ant control services.

Preventative Ant Control Tips - Service providers can advise on measures like sealing entry points and reducing attractants to help prevent future ant problems.

Choosing an Ant Extermination Service - Contacting experienced local professionals ensures tailored solutions to address specific ant issues in Little Elm and nearby areas.

Ants Extermination Service

Considering Ants Extermination Service for a property in Little Elm, TX? The sections above highlight common project types, practical options, and details that often shape the scope of work.

When you are ready, use the quote form to share a few details about your project. Local pros can review the basics and respond with options that match what you have in mind.

Get an Ants Extermination Service Quote

Ants Extermination Quotes