Local Service Overview

Get Ants Extermination Service in Lisle, IL

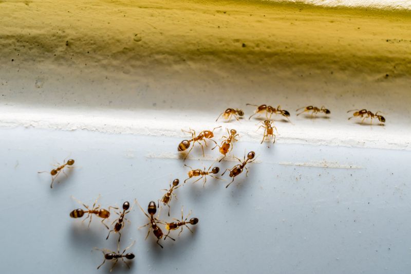
Ants extermination services for property owners in Lisle, IL, and nearby areas address ant infestations, prevent future invasions, and handle residential and commercial pest control projects.

Lisle, IL

Ants extermination services are essential for property owners in Lisle, IL seeking to maintain a comfortable and functional living or working environment. By effectively managing ant populations, property owners can reduce the risk of structural damage, contamination of food supplies, and unwanted pests that may cause discomfort or health concerns. Professional extermination helps ensure that homes and businesses remain safe, clean, and free from the nuisance of persistent ant invasions.

Choosing expert ant extermination services offers several benefits, including enhanced curb appeal through a pest-free landscape and exterior. Additionally, a thorough approach can lead to reduced maintenance needs by preventing future infestations, allowing property owners to enjoy their spaces without ongoing pest-related concerns. Overall, professional pest control contributes to a safer, more durable property that maintains its value and appeal over time.

Get Ants Extermination Service Quotes

  • Ants Extermination Services are essential when residents notice persistent ant activity inside their homes or businesses.
  • These services are needed when ant colonies have invaded outdoor areas, such as gardens or patios, causing nuisance or damage.
  • Professional extermination is advisable if ant trails are observed crossing entry points like door thresholds or window frames.
  • Ant control services are useful in commercial settings where infestations threaten food safety or cleanliness standards.
  • When a sudden increase in ant sightings occurs in Lisle, IL or nearby regions, local pros can help address the problem effectively.

Get Ants Extermination Service Quotes

Ants Extermination Service
Ants Extermination Service
Ants Extermination Service

Ants extermination services involve identifying and eliminating ant infestations within residential, commercial, or industrial properties. Professionals typically conduct a thorough inspection to locate ant colonies and entry points, then apply targeted treatments to eradicate the pests. These services often include the use of baits, insecticides, and barriers designed to prevent future invasions. The goal is to remove existing ants while minimizing disruption to the property and its occupants.

This service helps address common problems associated with ant infestations, such as structural damage, contamination of food supplies, and general nuisance. Ants can be persistent and difficult to control without specialized treatments, especially when colonies are hidden within walls, beneath floors, or in outdoor surroundings. Effective extermination not only reduces the immediate presence of ants but also helps prevent recurring issues by addressing the root causes of infestation.

Properties that typically utilize ant extermination services range from single-family homes and apartment complexes to commercial establishments like restaurants and grocery stores. Residential properties often seek assistance when ants invade kitchens, bathrooms, or living areas, disrupting daily routines. Commercial properties, especially those handling food or sensitive inventory, rely on professional services to maintain hygiene standards and comply with health regulations.

Professional ant extermination services are suitable for various property types that face ongoing or severe ant problems. These include retail stores, office buildings, warehouses, and hospitality venues, where maintaining a pest-free environment is essential. By partnering with local pest control providers, property owners can access tailored treatment plans designed to effectively eliminate ant populations and reduce the likelihood of future invasions.

The overview below groups typical Ants Extermination Service projects into broad ranges so you can see how smaller, mid-sized, and larger jobs often compare in Lisle, IL.

In many markets, a large share of routine jobs stays in the lower and middle ranges, while only a smaller percentage of projects moves into the highest bands when the work is more complex or site conditions are harder than average.

Initial Inspection - The cost for an ant inspection typically ranges from $50 to $150, depending on the property size and complexity. This fee covers a thorough assessment to identify ant activity and entry points.

Basic Treatment - A standard ant extermination service usually costs between $100 and $300. This includes applying targeted treatments around affected areas to eliminate visible colonies.

Full Property Treatment - For comprehensive coverage, prices generally range from $200 to $500. This involves extensive treatment across the entire property, including outdoor and indoor spaces.

Follow-Up Services - Follow-up visits or treatments can cost between $50 and $200 each, depending on the extent of reinfestation and the number of visits required. These visits ensure the continued effectiveness of the extermination efforts.

Actual totals will depend on details like access to the work area, the scope of the project, and the materials selected, so use these as general starting points rather than exact figures.

Get an Ants Extermination Service Quote

Ants Extermination - Local pest control providers offer specialized services to eliminate ant infestations and prevent future occurrences.

Residential Ant Control - Pros assist homeowners in Lisle, IL, with effective treatment options to safeguard living spaces from ant problems.

Commercial Ant Extermination - Service providers support local businesses in maintaining pest-free environments by addressing ant issues promptly.

Eco-Friendly Ant Removal - Many providers utilize environmentally conscious methods to remove ants while minimizing impact on the surroundings.

Ant Prevention Consulting - Experts offer advice on reducing attractants and sealing entry points to keep ants out of properties.

Emergency Ant Control Services - Immediate assistance is available for urgent ant infestations disrupting homes or businesses in the area.

Ants Extermination Service

When considering ant extermination services, experience is an important factor to evaluate among local service providers. Pros with a proven track record in pest control typically have extensive knowledge of ant behaviors and effective treatment methods. Homeowners can look for providers with years of service in the area, as this often indicates familiarity with common local ant species and successful strategies for eradication. Gathering information about a contractor’s background can help ensure that the selected professional has the necessary expertise to address the specific ant issues present in Lisle, IL or nearby communities.

Clear communication and well-defined expectations are crucial when working with local pros for ant extermination. Reputable service providers tend to openly discuss the scope of work, treatment options, and any necessary follow-up measures. Homeowners should seek providers who are transparent about their processes and willing to answer questions, ensuring that there is a mutual understanding of what the service entails. Establishing such expectations upfront can help prevent misunderstandings and contribute to a smoother service experience.

Reputable references and positive feedback from previous clients can serve as valuable indicators of a local pro’s reliability and professionalism. While the lead-generation platform introduces options in the area, it is important for homeowners to verify the reputation of prospective service providers through references or reviews. Effective communication, combined with a solid reputation, helps foster confidence in the selected contractor’s ability to deliver quality ant extermination services. This approach allows homeowners to make informed decisions based on the experiences of others in the community.

Get an Ants Extermination Service Quote

Property owners in Lisle, IL use Ants Extermination Service services for practical projects around their homes and businesses. The sections below highlight everyday jobs and straightforward project options.

Ants Extermination Service
Ants Extermination Service

Ants extermination services are often sought by property owners in Lisle, IL, when they notice ant activity inside or around their homes. Common situations include finding trails of ants in kitchens, pantries, or along baseboards, which can indicate an ongoing infestation. Property owners may also request pest control assistance after discovering ant mounds in yards or garden beds, especially during warmer months when ant activity tends to increase. Addressing these issues promptly can help prevent larger infestations and protect the integrity of the property.

Many property owners seek ants extermination services to resolve recurring problems or prevent future invasions. This is particularly relevant in Lisle, IL, where proximity to wooded areas and gardens can attract ants seeking food and shelter. Extermination professionals can help identify the source of the problem, implement targeted treatments, and advise on measures to reduce attractants around the property. Engaging local pest control providers can be an effective step toward maintaining a pest-free environment in residential or commercial spaces.

Get an Ants Extermination Service Quote

How do ant extermination services work? Ant extermination services typically involve inspecting the property to identify ant colonies, applying targeted treatments to eliminate existing ants, and implementing preventative measures to reduce future infestations through local pest control providers.

Are ant extermination treatments safe for pets and children? Most professional ant extermination methods are designed to be safe when applied by experienced service providers, but it is recommended to discuss any concerns with the local pest control specialists before treatment.

How long does an ant extermination treatment usually last? The effectiveness duration of an ant extermination depends on the treatment used and the extent of the infestation, with local providers advising on follow-up or preventative steps.

Can ant extermination services prevent future infestations? Yes, many service providers offer preventative strategies to help reduce the likelihood of future ant problems through ongoing monitoring and treatment plans.

How can I prepare my home for ant extermination services? Preparing for ant extermination may involve clearing treatment areas, removing food and water sources, and informing the service provider of any specific concerns, as advised by local pest control specialists.

Ant Control Solutions - Local service providers offer targeted treatments to eliminate ants and prevent future infestations.

Inspection and Identification - Pros can assess property conditions to identify ant species and locate nesting areas.

Barrier and Bait Treatments - Experts utilize effective barrier methods and baiting strategies to control ant populations.

Ongoing Prevention Advice - Service providers can advise on property modifications to reduce attractants and deter ants.

Ants Extermination Service

Considering Ants Extermination Service for a property in Lisle, IL? The sections above highlight common project types, practical options, and details that often shape the scope of work.

When you are ready, use the quote form to share a few details about your project. Local pros can review the basics and respond with options that match what you have in mind.

Get an Ants Extermination Service Quote

Ants Extermination Quotes