Local Service Overview

Get Ants Extermination Service in Libertyville, IL

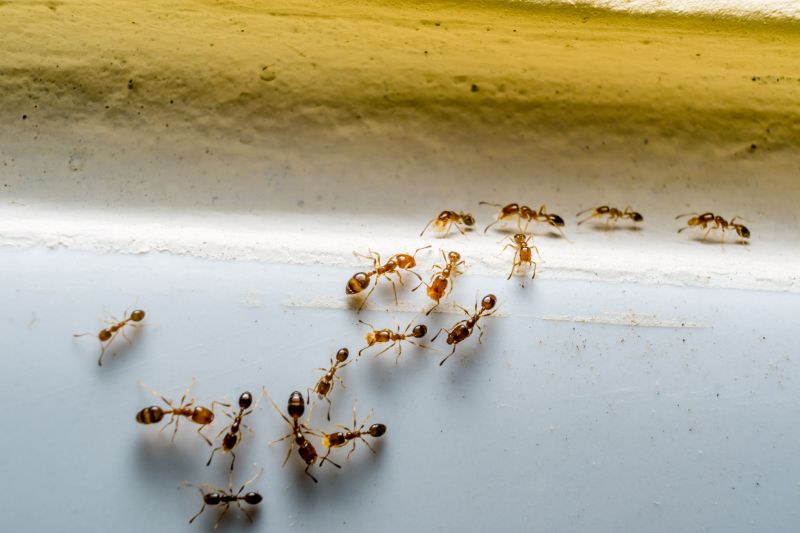
Ants extermination services for Libertyville, IL, and nearby areas address ant infestations, including residential and commercial pest removal, prevention, and ongoing control solutions.

Libertyville, IL

Ants extermination services are essential for property owners in Libertyville, IL seeking to maintain a comfortable and safe living environment. Effective pest control helps prevent infestations that can disrupt daily routines, cause property damage, and compromise hygiene. By addressing ant issues promptly, property owners can enjoy a more functional space with reduced concerns about pests, leading to greater peace of mind and a more inviting home or business setting.

In addition to safety and comfort, professional ant extermination can enhance curb appeal and durability of the property. Eliminating ant colonies prevents structural damage and reduces ongoing maintenance needs. This proactive approach not only preserves the integrity of the property but also contributes to a well-maintained appearance, making it more attractive to visitors or potential buyers. Engaging experienced service providers ensures that ant problems are managed effectively, supporting long-term property value and aesthetic appeal.

Get Ants Extermination Service Quotes

  • Ants Extermination Services are needed when ants invade homes or commercial properties in areas like Libertyville, IL and surrounding communities.
  • These services are suitable for situations where ant colonies have established themselves indoors or outdoors.
  • Ants Extermination Services can address infestations that threaten food storage or cause structural damage.
  • They are also useful when ants are present in gardens or landscaping, impacting plant health or aesthetics.
  • Professional exterminators can help eliminate ant populations and prevent future invasions in residential and commercial settings.

Get Ants Extermination Service Quotes

Ants Extermination Service
Ants Extermination Service
Ants Extermination Service

Ants extermination services involve the identification and removal of ant colonies from residential, commercial, or industrial properties. Service providers typically conduct thorough inspections to locate ant nests and determine the species involved. Treatment methods may include the application of targeted insecticides, baiting systems, and barrier treatments designed to eliminate existing colonies and prevent future infestations. Professionals aim to address the root of the problem, ensuring that ant activity is effectively controlled and reduced.

The primary issues that ant extermination services help resolve include property damage, contamination, and nuisance. Certain ant species, such as carpenter ants, can cause structural damage by burrowing into wood, while others, like fire ants, pose health risks due to their painful stings and aggressive behavior. Additionally, ant infestations can be disruptive and unsanitary, especially in kitchens and food storage areas. Effective extermination not only restores comfort but also minimizes the likelihood of recurring problems.

Properties that commonly utilize ant extermination services encompass a wide range of settings. Residential homes often seek assistance to protect kitchens, gardens, and outdoor living spaces from ant invasions. Commercial establishments, including restaurants, warehouses, and office buildings, may require pest control to maintain hygiene standards and prevent business disruptions. Industrial facilities with stored goods or food processing areas also frequently engage pest control specialists to manage ant populations and safeguard their operations.

Professional ant extermination services are tailored to suit different property types and levels of infestation. Whether dealing with a minor nuisance or a severe invasion, local service providers utilize appropriate treatment strategies to address specific needs. Regular inspections and preventative measures are often recommended to maintain a pest-free environment. Contacting experienced pest control professionals can help property owners effectively manage ant problems and protect their spaces from future issues.

The overview below groups typical Ants Extermination Service projects into broad ranges so you can see how smaller, mid-sized, and larger jobs often compare in Libertyville, IL.

In many markets, a large share of routine jobs stays in the lower and middle ranges, while only a smaller percentage of projects moves into the highest bands when the work is more complex or site conditions are harder than average.

Initial Inspection - The cost for an ant inspection typically ranges from $50 to $150, depending on the property size and complexity. This fee covers identifying ant species and locating nests. Some providers include the inspection in their overall treatment costs.

Basic Treatment - Standard ant extermination services usually cost between $100 and $300 for a single treatment. This includes applying bait, sprays, or dust to targeted areas. Prices may vary based on the extent of the infestation.

Comprehensive Service - For ongoing or extensive ant problems, service packages can range from $200 to $600. These often involve multiple visits, detailed treatment plans, and follow-up inspections. Larger properties or severe infestations tend to increase costs.

Preventive Measures - Preventative ant control services generally fall between $150 and $400. These include barrier treatments and monitoring to reduce future ant activity. The cost varies with property size and the level of prevention needed.

Actual totals will depend on details like access to the work area, the scope of the project, and the materials selected, so use these as general starting points rather than exact figures.

Get an Ants Extermination Service Quote

Ants Extermination - Local pest control providers offer specialized services to eliminate ant infestations in residential and commercial properties. They utilize targeted treatments to address various ant species common in Libertyville, IL and surrounding areas.

Ant Control for Homes - Professionals provide tailored solutions to remove ants from homes, helping to prevent future invasions and protect indoor spaces from damage and contamination.

Commercial Ant Extermination - Service providers assist businesses in managing ant problems to maintain a clean and pest-free environment, ensuring minimal disruption to operations.

Outdoor Ant Management - Experts apply treatments to yards and outdoor areas to control ant colonies and prevent them from migrating indoors.

Ant Infestation Inspection - Local pros conduct thorough inspections to identify ant nests and entry points, facilitating effective treatment plans.

Preventative Ant Services - Professionals offer ongoing maintenance options to help keep properties ant-free through regular monitoring and treatments.

Ants Extermination Service

When comparing local professionals for ant extermination services, experience is a key factor to consider. Pros with a proven track record in handling ant infestations in areas like Libertyville, IL, and neighboring communities often demonstrate familiarity with common types of ants and effective treatment methods. It’s helpful to review the background of each service provider to understand their years in business and their expertise in managing residential pest issues. This can provide insight into their ability to address specific ant problems efficiently and reliably.

Clear, written expectations are essential when choosing a pest control provider. Reputable local pros typically outline the scope of services, treatment procedures, and any necessary follow-up steps in written form. This transparency helps homeowners understand what to expect and ensures there are no surprises after the service is completed. When comparing options, it’s advisable to look for providers who communicate their process clearly and provide detailed information about their approach to ant extermination.

Reputation and communication are vital aspects of selecting a local pest control professional. Reputable providers often have references or reviews that attest to their reliability and quality of service. Effective communication involves prompt responses to inquiries and a willingness to address homeowner questions or concerns. Homeowners should seek out pros who are transparent, approachable, and committed to maintaining open lines of communication throughout the service process. This approach helps establish trust and confidence in the chosen provider’s ability to manage ant issues effectively.

Get an Ants Extermination Service Quote

Property owners in Libertyville, IL use Ants Extermination Service services for practical projects around their homes and businesses. The sections below highlight everyday jobs and straightforward project options.

Ants Extermination Service
Ants Extermination Service

Ants extermination services are often sought by property owners in Libertyville, IL when encountering persistent ant infestations inside or around their homes. Common situations include noticing ant trails in kitchens, bathrooms, or near entry points, which can indicate an ongoing problem that needs professional attention. Property owners may also look for expert assistance when ant activity is widespread or difficult to control with basic DIY methods, aiming to prevent further invasion and protect their living spaces.

In addition to immediate infestations, residents might seek ant extermination services as a preventative measure, especially during warmer months when ant activity tends to increase. Ensuring that homes and yards are less attractive to ants can help avoid future issues, making professional treatment a practical choice for maintaining a pest-free environment. Local service providers can offer solutions tailored to the specific needs of properties in Libertyville, IL, helping to address common ant-related concerns effectively.

Get an Ants Extermination Service Quote

How do ant extermination services work? Ant extermination services typically involve inspecting the property to identify ant colonies, applying targeted treatments to eliminate nests, and implementing prevention strategies to reduce future infestations.

Are ant treatments safe for pets and children? Many ant extermination methods are designed to be safe for households, but it is recommended to discuss specific concerns with local service providers to ensure appropriate safety measures are followed.

How long does an ant extermination treatment last? The duration of effectiveness varies depending on the treatment type and severity of the infestation; local pros can provide guidance on ongoing prevention options.

Is it necessary to leave my home during treatment? Whether you need to vacate your home depends on the treatment method used; consulting with the service provider can clarify any precautions needed.

How can I prevent future ant infestations? Preventative measures include sealing entry points, maintaining cleanliness, and working with local pros to develop a customized pest management plan.

Ants Identification and Inspection - Local pest control providers can assess your property to identify ant species and determine the extent of the infestation.

Ant Extermination Treatments - Professionals offer targeted treatment options to eliminate ants and prevent future invasions effectively.

Preventive Ant Control Strategies - Service providers can implement barriers and ongoing treatments to reduce the likelihood of ant re-entry.

Home and Property Ant Prevention Tips - Local experts can advise on sealing entry points and removing attractants to help keep ants outside.

Ants Extermination Service

Considering Ants Extermination Service for a property in Libertyville, IL? The sections above highlight common project types, practical options, and details that often shape the scope of work.

When you are ready, use the quote form to share a few details about your project. Local pros can review the basics and respond with options that match what you have in mind.

Get an Ants Extermination Service Quote

Ants Extermination Quotes