Local Service Overview

Get Ants Extermination Service in Lansing, IL

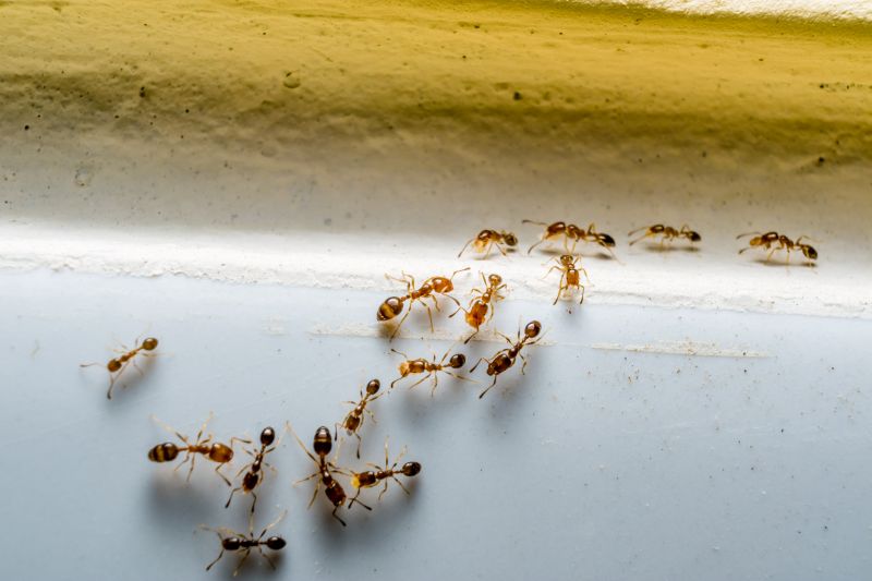
Ants extermination services for property owners in Lansing, IL, and nearby areas address ant infestations, including residential and commercial pest removal and prevention projects.

Lansing, IL

Ants extermination services provide property owners in Lansing, IL with an effective solution to manage and prevent ant infestations. These services help maintain a comfortable living or working environment by reducing the presence of pests that can cause discomfort and disruption. Additionally, addressing ant problems promptly can protect the structural integrity of a property, as ants may damage wood or other materials over time. By working with local service providers, property owners can also enhance the durability of their structures and minimize ongoing maintenance needs associated with pest-related issues.

Choosing professional ant extermination can also boost a property’s curb appeal by ensuring exterior areas are free of visible pests and nests. This contributes to a cleaner, more inviting appearance for visitors and residents alike. Moreover, effective pest control supports the safety of occupants by reducing the risk of ant-borne contaminants or bites. Engaging experienced local providers ensures that pest issues are addressed thoroughly, helping property owners enjoy a safer, more functional, and visually appealing space.

Get Ants Extermination Service Quotes

  • Ants Extermination - Needed when ants invade kitchens, pantries, or other indoor spaces in Lansing, IL and surrounding areas.
  • Ants Extermination - Sought after when outdoor ant colonies threaten to spread into residential yards or gardens nearby.
  • Ants Extermination - Required if ants are found nesting in wall voids, basements, or hidden cracks within homes or commercial buildings.
  • Ants Extermination - Necessary when ant activity increases during warmer months in nearby neighborhoods and urban areas.
  • Ants Extermination - Essential for preventing recurring infestations in homes, apartments, or businesses in Lansing, IL and neighboring communities.

Get Ants Extermination Service Quotes

Ants Extermination Service
Ants Extermination Service
Ants Extermination Service

Ants extermination services involve identifying and eliminating ant infestations within residential, commercial, or industrial properties. Service providers typically conduct a thorough inspection to determine the extent of the ant problem and locate entry points or nests. Treatments may include the application of targeted insecticides, baiting systems, or barrier methods designed to eradicate ants and prevent future invasions. These services aim to address the root cause of the infestation, ensuring a comprehensive approach to pest control.

Ant problems can cause significant issues for property owners, including damage to structures, contamination of food supplies, and general discomfort. Certain ant species, such as carpenter ants, are known to cause structural damage by excavating wood, while others, like fire ants, pose health risks through painful stings. Extermination services help resolve these problems by removing the pests efficiently and reducing the likelihood of recurring infestations, thereby protecting the property and its occupants.

Properties that commonly utilize ants extermination services include single-family homes, apartment complexes, restaurants, warehouses, and retail stores. Residential properties often seek treatment to safeguard food storage areas and living spaces from ant colonies. Commercial properties, especially those involved in food handling or storage, prioritize pest control to maintain hygiene standards and comply with health regulations. Additionally, property management companies may contract pest control services to maintain pest-free environments across multiple units or buildings.

Professional ant extermination services are essential for effectively managing persistent or severe infestations. Local service providers typically offer tailored solutions based on the specific needs of each property, whether it involves spot treatments or ongoing maintenance plans. Contacting experienced pest control specialists can help property owners address ant issues promptly and efficiently, ensuring a cleaner and more comfortable environment.

The overview below groups typical Ants Extermination Service projects into broad ranges so you can see how smaller, mid-sized, and larger jobs often compare in Lansing, IL.

In many markets, a large share of routine jobs stays in the lower and middle ranges, while only a smaller percentage of projects moves into the highest bands when the work is more complex or site conditions are harder than average.

Initial Inspection and Treatment - The cost for an initial ant inspection and treatment typically ranges from $100 to $250, depending on the size of the property and extent of infestation. This fee often covers a thorough inspection and one-time treatment service.

Per-Visit Extermination - Single-visit ant extermination services generally cost between $120 and $300. The price varies based on the severity of the ant problem and the area to be treated.

Ongoing Pest Control Plans - Monthly or quarterly ant control plans can range from $40 to $70 per visit, with overall costs depending on the number of visits required. These plans often include regular inspections and treatments to prevent future infestations.

Large Property or Commercial Services - For larger properties or commercial spaces, costs may start at $300 and can go upwards of $1,000. The price depends on the size of the area and the complexity of the treatment needed.

Actual totals will depend on details like access to the work area, the scope of the project, and the materials selected, so use these as general starting points rather than exact figures.

Get an Ants Extermination Service Quote

Ants Extermination services connect homeowners with local pest control providers experienced in eliminating ant infestations effectively. These professionals assess the extent of the ant problem and implement targeted treatment solutions.

Residential Ants Control specialists focus on protecting homes and living spaces from ant invasions through customized treatment plans tailored to specific property needs. They help ensure a pest-free environment for families and residents.

Commercial Ants Removal providers offer services designed for business properties, helping to maintain hygiene standards and prevent disruptions caused by ant infestations. They work discreetly to minimize impact on daily operations.

Emergency Ants Extermination services are available for urgent infestations requiring immediate attention, ensuring rapid response to prevent further ant spread within the property. Local pros are equipped to handle urgent pest issues efficiently.

Natural Ants Treatment options are available through professionals who utilize non-chemical methods or eco-friendly products to manage ant problems while minimizing chemical use indoors and outdoors. These services cater to clients seeking alternative pest control solutions.

Ants Prevention Consulting services include advice on property modifications and sanitation practices to reduce the likelihood of future ant problems. Local experts provide tailored recommendations to help maintain a pest-free environment over time.

Ants Extermination Service

When comparing local professionals for ant extermination services, experience is a key factor to consider. Homeowners should look for service providers with a proven track record in ant control within their area, ensuring familiarity with common local ant species and effective treatment methods. Reputable providers often highlight their years of service or specialized expertise, which can help in assessing their ability to handle different levels of ant infestations effectively.

Clear communication and well-defined expectations are important when selecting a local pro. Pros should provide detailed information about their service process, what homeowners can anticipate during and after treatment, and any preparations needed beforehand. Transparent communication helps establish trust and ensures that homeowners are well-informed about the scope of work, potential outcomes, and any follow-up requirements.

Reputable references and reviews serve as valuable indicators of a service provider’s reliability and quality of work. Homeowners are encouraged to seek out local pros with positive references or reviews from previous clients in Lansing, IL, or nearby areas. Reliable providers typically have a history of satisfied customers and can offer insights into their professionalism, responsiveness, and effectiveness. It’s important to note that this platform introduces local options but does not perform the work itself, so conducting independent research and verifying references is recommended when choosing a pest control service provider.

Get an Ants Extermination Service Quote

Property owners in Lansing, IL use Ants Extermination Service services for practical projects around their homes and businesses. The sections below highlight everyday jobs and straightforward project options.

Ants Extermination Service
Ants Extermination Service

Ants extermination services are often sought by property owners in Lansing, IL, facing common household challenges such as sudden ant invasions or persistent ant colonies. These services are useful when ants are found inside kitchens, bathrooms, or other areas where they may contaminate food or create discomfort. Property owners may also consider professional extermination when attempts to remove ants with DIY methods prove ineffective or when signs of large colonies are detected around the property.

Additionally, property owners might seek ants extermination services to prevent future infestations or to address recurring problems that disrupt daily routines. Factors such as seasonal changes, nearby wooded areas, or previous pest activity can increase the likelihood of ant issues. Local extermination providers can help assess the situation and recommend appropriate treatment options to maintain a pest-free environment.

Get an Ants Extermination Service Quote

How do ant extermination services work? Ant extermination services typically involve inspecting the property to identify ant colonies, applying targeted treatments to eliminate existing ants, and implementing preventive measures to reduce future infestations.

Are ant extermination treatments safe for pets and children? Most professional ant treatments are designed to be safe when applied properly, but it is recommended to discuss any concerns with the service provider before treatment.

How long does an ant extermination treatment take? The duration of treatment varies depending on the extent of the infestation and the methods used, but many treatments can be completed within a few hours.

Will I need multiple treatments to eliminate ants? In some cases, a single treatment may be sufficient, but ongoing or severe infestations might require additional visits to fully eradicate ants.

How can I prevent future ant problems? Professional exterminators can provide advice on reducing attractants, sealing entry points, and maintaining a clean environment to help prevent future ant issues.

Ants Extermination Techniques - Local service providers offer various methods such as baiting, trapping, and chemical treatments to eliminate ant infestations effectively.

Identifying Ant Problems - Pros can assess the extent of ant activity and determine the species to recommend appropriate treatment options.

Preventive Ant Control - Experts provide advice on reducing attractants and sealing entry points to help prevent future ant invasions.

Emergency Ant Extermination Services - Immediate assistance is available for urgent ant infestations disrupting homes or businesses.

Ants Extermination Service

Considering Ants Extermination Service for a property in Lansing, IL? The sections above highlight common project types, practical options, and details that often shape the scope of work.

When you are ready, use the quote form to share a few details about your project. Local pros can review the basics and respond with options that match what you have in mind.

Get an Ants Extermination Service Quote

Ants Extermination Quotes