Local Service Overview

Get Ants Extermination Service in Lake Villa, IL

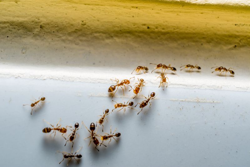
Ants extermination services for property owners in Lake Villa, IL, and nearby areas address ant infestations, including residential and commercial ant control and prevention projects.

Lake Villa, IL

Ants extermination services provide property owners in Lake Villa, IL, with an effective solution to protect their homes and businesses from invasive ant populations. These services help eliminate existing colonies and implement preventive measures to reduce the likelihood of future infestations. By addressing ant issues promptly, property owners can maintain a more comfortable and hygienic environment, preventing potential damage to structures and stored goods.

Engaging professional ant extermination services offers several benefits, including enhanced safety and increased curb appeal. Proper treatment can lead to a more functional outdoor space free from unsightly mounds and trails, while also reducing the need for ongoing maintenance. Overall, these services support the durability of properties by safeguarding them against pest-related damage, contributing to a well-maintained and inviting appearance.

Get Ants Extermination Service Quotes

  • Ant Infestation Removal - needed when ants invade residential kitchens or food storage areas in Lake Villa, IL and surrounding communities.
  • Ant Nest Elimination - required when large ant colonies establish underground or hidden nests near homes or commercial properties.
  • Preventative Ant Control - essential for homeowners seeking to avoid future ant invasions in their yards or building perimeters.
  • Indoor Ant Extermination - necessary when ants are actively crawling inside living spaces, especially during warmer months.
  • Outdoor Ant Barrier Services - useful for protecting gardens, lawns, and outdoor structures from persistent ant activity.

Get Ants Extermination Service Quotes

Ants Extermination Service
Ants Extermination Service
Ants Extermination Service

Ants extermination services involve identifying and eliminating ant infestations within residential, commercial, or industrial properties. Professionals typically conduct thorough inspections to locate ant colonies and determine the species involved. Treatment methods may include the application of targeted baits, insecticidal sprays, or dusts designed to eliminate ants at their source. The goal is to reduce or eradicate the presence of ants and prevent future invasions, ensuring the property remains ant-free.

Ant problems can cause significant inconveniences and damage, especially when colonies establish themselves indoors or around structures. Ants can contaminate food supplies, create unsightly trails, and in some cases, cause structural damage or attract other pests. Exterminators help address these issues by implementing effective pest control strategies tailored to the specific type of ant and the severity of the infestation. This targeted approach aims to reduce the risk of recurring problems and maintain a clean, pest-free environment.

Various types of properties utilize ants extermination services, including single-family homes, apartment complexes, restaurants, and retail stores. Residential properties often seek treatment to protect food supplies and maintain comfort, while commercial establishments may require ongoing pest management to meet health regulations. Additionally, properties with outdoor spaces, such as gardens or patios, may also benefit from ant control services to prevent outdoor colonies from migrating indoors or causing landscape damage.

Professional ant extermination services can be essential in managing persistent or severe infestations that DIY methods may not resolve effectively. Local service providers offer customized solutions based on the property type, ant species, and infestation level. By working with experienced exterminators, property owners can address ant issues comprehensively, helping to restore comfort and hygiene while reducing the likelihood of future invasions.

The overview below groups typical Ants Extermination Service projects into broad ranges so you can see how smaller, mid-sized, and larger jobs often compare in Lake Villa, IL.

In many markets, a large share of routine jobs stays in the lower and middle ranges, while only a smaller percentage of projects moves into the highest bands when the work is more complex or site conditions are harder than average.

Initial Inspection Cost - Typically ranges from $50 to $150 for a professional assessment of ant activity and entry points. This fee can vary based on property size and complexity of the infestation.

Per-Visit Treatment Fees - Most ant extermination services charge between $100 and $300 per visit. The cost depends on the extent of the infestation and the treatment method used.

Ongoing Maintenance Costs - Regular follow-up treatments may cost between $75 and $200 per session. These are recommended for persistent ant problems or preventive measures.

Complete Pest Control Packages - Full-service ant control packages often range from $200 to $600, covering multiple visits and comprehensive treatment plans for larger or severe infestations.

Actual totals will depend on details like access to the work area, the scope of the project, and the materials selected, so use these as general starting points rather than exact figures.

Get an Ants Extermination Service Quote

Ants Extermination - Local pest control providers offer specialized services to eliminate ant infestations and prevent future outbreaks. They utilize targeted treatments to address the specific needs of residential and commercial properties.

Ants Inspection - Professionals conduct thorough inspections to identify ant activity, nesting sites, and entry points, helping to develop effective eradication strategies. Proper inspection ensures comprehensive treatment plans.

Ants Prevention - Service providers recommend and implement preventative measures such as sealing entry points and advising on sanitation practices to minimize the risk of ant invasions in homes and businesses.

Ants Baiting - Baiting services involve placing targeted bait stations to attract and eliminate ant colonies, reducing the need for extensive chemical treatments and ensuring long-term control.

Ants Exclusion - Experts perform exclusion services to block ants from entering structures by sealing cracks, gaps, and other potential access points, helping to maintain a pest-free environment.

Ants Treatment Plans - Local pros develop customized treatment plans tailored to the severity of the infestation and property layout, ensuring effective and efficient ant eradication efforts.

Ants Extermination Service

When comparing ant extermination services, experience is a key factor to consider. Local pros often have extensive knowledge of the specific ant species prevalent in Lake Villa, IL, and surrounding areas, allowing them to tailor their approaches effectively. Pros with a proven track record typically demonstrate familiarity with common infestation patterns and effective treatment methods, which can contribute to more reliable results. It’s beneficial to review the backgrounds of local providers to gauge their familiarity with residential ant issues in the community.

Clear communication and well-defined written expectations are essential when selecting an ant extermination service. Reputable local contractors usually provide detailed information about their treatment processes, what homeowners can expect during and after the service, and any necessary follow-up steps. This transparency helps ensure that homeowners understand the scope of work and can plan accordingly. Reliable providers often emphasize open dialogue, making it easier to address questions and clarify any concerns throughout the process.

Reputable references and positive feedback from previous clients can serve as valuable indicators of a local pros’ reliability and quality of service. Many experienced providers can supply references or showcase testimonials from homeowners in Lake Villa and nearby areas. Additionally, a history of consistent communication and professionalism often correlates with a contractor’s reputation for dependable service. When comparing local options, it’s useful to seek out providers with solid community standing and clear, responsive communication to help ensure a smooth and satisfactory experience.

Get an Ants Extermination Service Quote

Property owners in Lake Villa, IL use Ants Extermination Service services for practical projects around their homes and businesses. The sections below highlight everyday jobs and straightforward project options.

Ants Extermination Service
Ants Extermination Service

Ants extermination services are often sought by property owners in Lake Villa, IL, when they notice signs of an ant infestation, such as visible trails, ant mounds, or unexplained crumbs and food debris. These situations can disrupt daily routines and pose concerns about hygiene and property cleanliness. Local pest control providers can assess the extent of the problem and recommend appropriate treatment options to help restore a pest-free environment.

Additionally, property owners may look for ant extermination services when preparing for special events or seasonal changes that increase the likelihood of ant activity. Preventative treatments can be part of ongoing pest management plans to protect homes and businesses from future invasions. Local service providers are available to address these concerns efficiently, helping maintain a comfortable and pest-free space.

Get an Ants Extermination Service Quote

How do ant extermination services work? Ant extermination services typically involve inspecting the property to identify ant colonies, then applying targeted treatments to eliminate ants and their nests, preventing future infestations.

Are ant extermination treatments safe for pets and children? Most professional ant treatments are designed to be safe when applied according to the provider’s instructions, but it is recommended to discuss any concerns with the local service provider.

How long does an ant extermination treatment last? The duration of effectiveness varies depending on the treatment method and severity of the infestation, with some treatments providing protection for several months.

Can I prevent future ant problems after treatment? Yes, local pest control providers can offer advice on sanitation and property maintenance practices to help prevent future ant issues.

Is ant extermination service suitable for all types of ants? Professional exterminators can identify different ant species and recommend appropriate treatment options for each type.

Ants Extermination Methods - Local service providers offer a variety of ant control techniques tailored to specific infestations and property types.

Inspection and Identification - Professionals can assess the extent of ant activity to determine the most effective treatment options.

Preventive Solutions - Service providers can recommend strategies to reduce the likelihood of future ant problems around residential or commercial properties.

Ongoing Monitoring and Maintenance - Regular inspections can help maintain ant-free environments and address new activity promptly.

Ants Extermination Service

Considering Ants Extermination Service for a property in Lake Villa, IL? The sections above highlight common project types, practical options, and details that often shape the scope of work.

When you are ready, use the quote form to share a few details about your project. Local pros can review the basics and respond with options that match what you have in mind.

Get an Ants Extermination Service Quote

Ants Extermination Quotes