Local Service Overview

Get Ants Extermination Service in Katy, TX

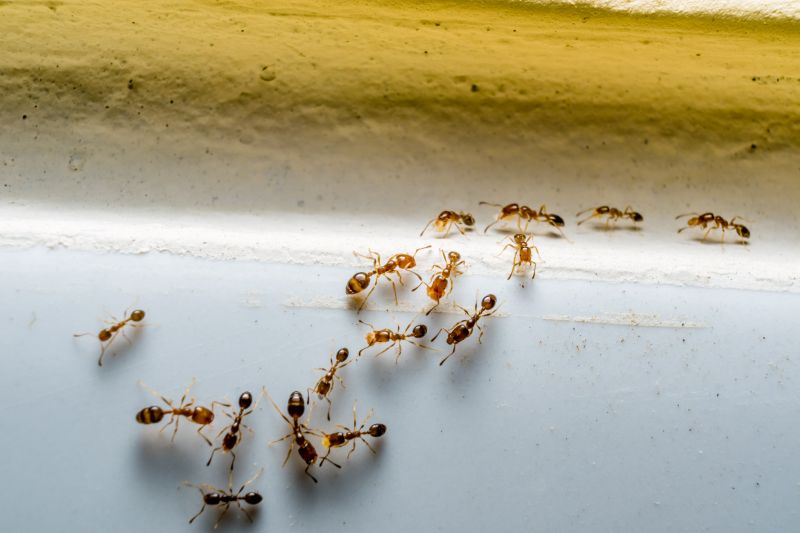
Ants extermination services for property owners in Katy, TX, and nearby areas address ant infestations, including residential and commercial ant control, nest removal, and prevention solutions.

Katy, TX

Ants extermination services are a practical solution for property owners in Katy, TX seeking to maintain a comfortable and safe living environment. Ant infestations can compromise the functionality of a home by contaminating food supplies and damaging structures, making prompt and effective removal essential. Professional exterminators utilize targeted methods to eliminate ant colonies, helping to reduce the risk of future invasions and minimizing ongoing maintenance needs for homeowners.

The benefits of professional ant extermination extend beyond immediate pest control. Removing ants can enhance the curb appeal of a property by maintaining a clean and pest-free exterior and interior. Additionally, a thorough extermination can contribute to the durability of the home by preventing damage caused by ants and other pests, ultimately supporting long-term property value and peace of mind.

Get Ants Extermination Service Quotes

  • Ants Extermination - Homeowners experiencing ant infestations in kitchens or living areas may need professional extermination services.
  • Ants Extermination - Businesses dealing with ant problems in commercial spaces can benefit from targeted treatment solutions.
  • Ants Extermination - Properties with persistent ant trails or nests outdoors often require expert intervention to eliminate colonies.
  • Ants Extermination - Residents in suburban neighborhoods near wooded areas might seek ant control to prevent future invasions.
  • Ants Extermination - Structures with signs of ant activity around foundations or walls may need professional assessment and treatment.

Get Ants Extermination Service Quotes

Ants Extermination Service
Ants Extermination Service
Ants Extermination Service

Ants extermination services involve identifying and eliminating ant infestations within residential, commercial, or industrial properties. Professionals typically conduct thorough inspections to determine the extent of the ant problem and locate nests or entry points. Treatments may include the application of targeted insecticides, baiting systems, or other pest control methods designed to effectively reduce or eradicate ant populations. The goal is to provide a comprehensive solution that addresses the root causes of the infestation and helps prevent future issues.

These services help resolve common problems associated with ant invasions, such as property damage, contamination of food supplies, and general nuisance. Ants can invade kitchens, pantries, and storage areas, leading to unsanitary conditions and potential health concerns. Additionally, some species, like fire ants, pose a risk of painful stings, which can be dangerous to children, pets, or individuals with allergies. Professional extermination ensures that these problems are managed safely and efficiently, reducing the likelihood of recurring infestations.

Ant extermination services are frequently utilized by a variety of property types, including single-family homes, apartment complexes, restaurants, and retail stores. Residential properties often seek assistance to eliminate ants from kitchens, basements, or gardens. Commercial establishments, especially those involved with food handling or storage, prioritize pest control to maintain hygiene standards and comply with health regulations. Industrial facilities may also require specialized treatments to address larger or more persistent infestations, ensuring that their operations remain unaffected.

Hiring local pest control providers for ant extermination offers a tailored approach to each property’s specific needs. These professionals assess the unique conditions and ant species involved to determine the most appropriate treatment methods. Whether dealing with minor nuisance issues or significant infestations, property owners can contact local experts to develop an effective plan for ant control. This approach helps maintain a pest-free environment and minimizes the disruption caused by ant problems.

The overview below groups typical Ants Extermination Service projects into broad ranges so you can see how smaller, mid-sized, and larger jobs often compare in Katy, TX.

In many markets, a large share of routine jobs stays in the lower and middle ranges, while only a smaller percentage of projects moves into the highest bands when the work is more complex or site conditions are harder than average.

Initial Inspection - The cost for an ant inspection typically ranges from $50 to $150, depending on the size of the property and complexity. Some providers may charge a flat fee or include it with treatment costs. Prices can vary based on local service providers in Katy, TX, and surrounding areas.

Per-Visit Treatment - Single treatment visits generally cost between $100 and $300. The price depends on the extent of the ant infestation and the treatment method used by local professionals. Larger properties or severe infestations may incur higher fees.

Full Service Package - Comprehensive ant control packages often range from $200 to $600 for multiple visits and treatments. These packages may include inspection, treatment, and follow-up visits to ensure ant elimination in Katy and nearby regions.

Ongoing Maintenance - Regular ant prevention services or maintenance plans typically cost $50 to $150 per month. These plans aim to keep ants away over time and vary based on property size and service frequency offered by local providers.

Actual totals will depend on details like access to the work area, the scope of the project, and the materials selected, so use these as general starting points rather than exact figures.

Get an Ants Extermination Service Quote

Ants Extermination services connect property owners with local pest control providers who specialize in eliminating ant infestations effectively.

Residential Ants Control providers focus on safeguarding homes by targeting common ant species that invade living spaces.

Commercial Ants Treatment services assist businesses in maintaining pest-free environments, ensuring minimal disruption to operations.

Eco-friendly Ants Removal options are available through local pros who use environmentally conscious methods for ant eradication.

Emergency Ants Extermination services are accessible for urgent cases requiring immediate attention to ant problems.

Pre-construction Ants Prevention solutions help protect new buildings from future ant invasions during the development process.

Ants Extermination Service

When choosing a local provider for ant extermination services, it is important to consider the experience of the service professionals. A seasoned contractor will have a history of handling ant infestations effectively, which can be an indicator of their familiarity with common issues in areas like Katy, TX. Homeowners can review the background of local pros to understand their level of expertise and the types of ant problems they have successfully addressed, helping to inform a confident decision.

Clear written expectations are essential when engaging with a pest control provider. Reputable local pros typically outline the scope of work, treatment methods, and any necessary follow-up procedures in their communications. This transparency allows homeowners to understand what services will be performed and what results to anticipate, ensuring there are no surprises during or after the treatment process.

Reputable references and effective communication are key factors when evaluating local ant extermination specialists. Trusted service providers often have a history of satisfied customers and can provide references or reviews that attest to their professionalism and reliability. Additionally, open and responsive communication from the contractor can help address questions or concerns promptly, contributing to a smoother service experience.

Get an Ants Extermination Service Quote

Property owners in Katy, TX use Ants Extermination Service services for practical projects around their homes and businesses. The sections below highlight everyday jobs and straightforward project options.

Ants Extermination Service
Ants Extermination Service

Ants extermination services are commonly sought after by property owners in Katy, TX, facing persistent ant infestations in residential and commercial spaces. These pests can invade kitchens, pantry areas, and outdoor patios, creating nuisances and potential health concerns. Property owners often look for professional assistance to effectively eliminate colonies and prevent future outbreaks, especially when DIY methods prove ineffective.

In addition to ongoing infestations, property owners may request ants extermination services when preparing a property for sale or addressing damage caused by ant activity. Ants can compromise the integrity of wooden structures or contaminate food storage areas. Engaging local pest control providers can help ensure that properties are treated thoroughly and maintained free of ant problems.

Get an Ants Extermination Service Quote

How do ant extermination services work? Ant extermination services typically involve inspecting the property to identify ant entry points and nests, followed by targeted treatments to eliminate the colony and prevent future infestations.

Are ant treatments safe for pets and children? Most ant extermination methods are designed to be safe for homes when applied by professionals, but it is recommended to discuss any concerns with the service provider before treatment.

How long does an ant extermination treatment last? The duration of effectiveness can vary depending on the treatment used and the extent of the infestation, but professional services aim to provide long-lasting control.

What types of ants can be treated? Extermination services typically address common household ants such as odorous house ants, carpenter ants, and pavement ants, among others.

How can I prevent future ant problems? Preventative measures include maintaining cleanliness, sealing entry points, and consulting with a local pest control professional for ongoing advice and treatments.

Ants Control Solutions - Local pest control providers offer targeted treatments to eliminate ant infestations and prevent future issues.

Inspection and Identification - Pros can assess property conditions to identify ant species and determine the most effective extermination methods.

Barrier Treatments - Service providers apply barrier sprays around structures to create a protective zone against ant entry.

Ongoing Prevention Advice - Experts can advise on sanitation and structural adjustments to reduce attractants and discourage ant activity.

Ants Extermination Service

Considering Ants Extermination Service for a property in Katy, TX? The sections above highlight common project types, practical options, and details that often shape the scope of work.

When you are ready, use the quote form to share a few details about your project. Local pros can review the basics and respond with options that match what you have in mind.

Get an Ants Extermination Service Quote

Ants Extermination Quotes