Local Service Overview

Get Ants Extermination Service in Hinsdale, IL

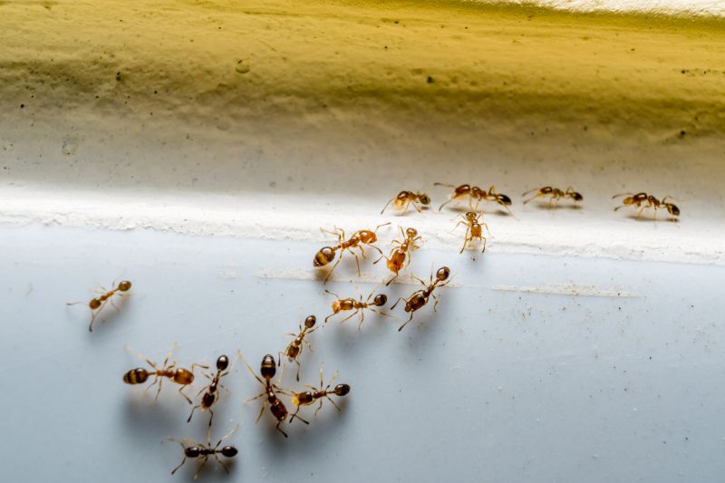
Ants extermination services for property owners in Hinsdale, IL, and nearby areas address ant infestations, prevent future invasions, and manage ongoing pest control projects.

Hinsdale, IL

Ants extermination services are an essential consideration for property owners in Hinsdale, IL seeking to maintain a comfortable and functional living environment. Effective pest control helps prevent ant infestations that can disrupt daily routines, damage structures, or contaminate food supplies. By addressing ant problems promptly, property owners can enjoy a safer and more inviting space, reducing the risk of future issues and minimizing the need for ongoing maintenance.

Choosing professional ant extermination also offers benefits that enhance curb appeal and durability of the property. A well-executed treatment can help preserve the integrity of landscaping and foundations by preventing ant activity that might lead to structural damage. Additionally, a pest-free exterior contributes to a clean, attractive appearance, supporting the overall value and enjoyment of the property.

Get Ants Extermination Service Quotes

  • Ants Extermination - needed when ants invade kitchens, pantries, or living spaces in residential or commercial properties.
  • Ants Extermination - required when persistent ant colonies threaten to spread throughout a home or business in Hinsdale, IL and nearby areas.
  • Ants Extermination - necessary when outdoor ant nests are near foundations, gardens, or patios, risking indoor infestation.
  • Ants Extermination - essential when ant activity is observed along walls, doorways, or window frames in local properties.
  • Ants Extermination - sought after when previous treatment efforts have failed to eliminate recurring ant problems.

Get Ants Extermination Service Quotes

Ants Extermination Service
Ants Extermination Service
Ants Extermination Service

Ants extermination services involve the identification and elimination of ant infestations within residential, commercial, or industrial properties. Professional pest control providers utilize targeted methods to locate ant colonies and apply treatments designed to eradicate both visible ants and hidden nests. These services typically include inspection, treatment application, and recommendations for ongoing prevention to ensure that ant problems do not recur. The goal is to address the root causes of infestations, minimizing disruptions and preventing damage caused by large ant populations.

Ant infestations can pose several problems for property owners. Aside from the nuisance of seeing ants scurrying across floors and countertops, they can contaminate food supplies and create unsanitary conditions. Certain species, such as carpenter ants, can also cause structural damage by hollowing out wood in walls or foundations. Additionally, large ant colonies may attract other pests or lead to increased difficulty in maintaining cleanliness. Professional extermination services help resolve these issues by effectively removing the pests and reducing the likelihood of future invasions.

The types of properties that commonly utilize ants extermination services include single-family homes, apartment complexes, restaurants, and retail establishments. Residential properties often seek treatment to protect food storage areas and maintain a clean living environment. Commercial properties, especially those involved in food service or hospitality, prioritize pest control to meet health standards and avoid potential closures. Additionally, office buildings and warehouses may require regular pest management to prevent ant populations from establishing and spreading within the premises.

Ants extermination services are tailored to address specific needs based on the property type and severity of the infestation. Local pest control providers employ a variety of techniques, such as baiting, residual treatments, and barrier applications, to effectively eliminate ants and prevent their return. Property owners in areas like Hinsdale, IL, and surrounding communities can contact local service providers to assess their pest issues and determine the most appropriate treatment options. These services aim to restore a pest-free environment and help maintain the integrity and cleanliness of various property types.

The overview below groups typical Ants Extermination Service projects into broad ranges so you can see how smaller, mid-sized, and larger jobs often compare in Hinsdale, IL.

In many markets, a large share of routine jobs stays in the lower and middle ranges, while only a smaller percentage of projects moves into the highest bands when the work is more complex or site conditions are harder than average.

Initial Inspection Cost - The cost for an ant infestation inspection typically ranges from $50 to $150, depending on the property size and location. Some service providers may include the inspection in the overall treatment fee. Prices can vary based on the complexity of the inspection needed.

Basic Treatment Services - Standard ant extermination treatments usually cost between $100 and $300. This range covers spot treatments for small to medium-sized areas in residential properties. Larger or more severe infestations may incur higher costs.

Comprehensive Pest Control Packages - Full-service ant control packages can range from $200 to $600, often including multiple visits and preventive measures. These packages are suitable for ongoing protection against future ant problems.

Follow-up Treatments - Follow-up treatments after initial extermination typically cost between $75 and $200 per visit. The price depends on the extent of the infestation and the number of visits required for complete eradication.

Actual totals will depend on details like access to the work area, the scope of the project, and the materials selected, so use these as general starting points rather than exact figures.

Get an Ants Extermination Service Quote

Ants Extermination services are essential for addressing ant infestations in residential and commercial properties, helping to eliminate colonies effectively.

Local ant extermination providers offer targeted treatments to control and prevent ant populations from recurring around Hinsdale and nearby areas.

Professional ant removal services assist in identifying entry points and implementing solutions to keep ants from re-entering the premises.

Experts utilize various methods to manage different types of ants, ensuring comprehensive eradication tailored to specific infestations.

Ants extermination services are suitable for both immediate removal needs and long-term prevention strategies to protect properties.

Contacting local specialists ensures access to experienced providers capable of handling ant problems efficiently and safely.

Ants Extermination Service

When selecting a professional for ant extermination services, it is important to consider their experience in handling pest issues similar to those faced by homeowners in Hinsdale and surrounding areas. Experienced local providers often have a thorough understanding of common ant species and effective treatment methods, which can contribute to more efficient and targeted solutions. While experience alone does not guarantee quality, it can be a useful indicator of a provider’s familiarity with the specific challenges involved in ant control within the local environment.

Clear communication and well-defined expectations are essential when working with a pest control service. Reputable local pros typically provide detailed information about their treatment approaches, what homeowners can expect during and after the service, and any necessary follow-up steps. Proper communication helps ensure that homeowners are informed and comfortable with the process, reducing misunderstandings and fostering a smoother service experience.

Reputable references and reviews from previous clients can offer valuable insights into a provider’s reliability and quality of work. Many local pros maintain a track record of satisfied customers, which can be verified through online reviews or by requesting references directly. It is also beneficial to evaluate how promptly and clearly a service provider responds to inquiries, as effective communication and transparency are often signs of professionalism. Since the information below connects homeowners with local pest control providers, it is recommended to review their credentials and reputation independently before making a decision.

Get an Ants Extermination Service Quote

Property owners in Hinsdale, IL use Ants Extermination Service services for practical projects around their homes and businesses. The sections below highlight everyday jobs and straightforward project options.

Ants Extermination Service
Ants Extermination Service

Ants extermination services are often sought by property owners in Hinsdale, IL when they notice an ant infestation in their homes or businesses. Common situations include discovering ants in kitchens, bathrooms, or around entry points, which can lead to concerns about hygiene and property damage. Local service providers are available to assess the extent of the problem and implement targeted treatments to eliminate ants and prevent future invasions.

Property owners might also seek ant extermination when they experience recurring issues despite previous attempts at control or notice increased ant activity during warmer months. These services help address the root causes of infestations, such as hidden nests or access points, ensuring a more effective and lasting solution. Connecting with local pros can assist in managing ant problems efficiently and maintaining a pest-free environment in Hinsdale properties.

Get an Ants Extermination Service Quote

How do ant extermination services work? Ant extermination services typically involve identifying ant entry points and nesting areas, then applying targeted treatments to eliminate colonies and prevent future infestations.

Are the treatments safe for children and pets? Many local ant extermination providers use treatments that are safe for households with children and pets; it is best to discuss safety concerns with the service provider.

How long does an ant extermination treatment take? The duration of treatment varies depending on the extent of the infestation and the method used, but most services are completed within a few hours.

Will I need multiple treatments for ants? Some ant species may require more than one treatment to fully eliminate the colony and ensure ants do not return.

How can I prevent future ant infestations? Preventative advice from local pros may include sealing entry points, maintaining clean surroundings, and removing food sources to reduce the likelihood of future ant problems.

Ant Control Strategies - Local pest control providers can implement effective strategies to eliminate ant colonies and prevent future infestations.

Inspection and Identification - Professionals can identify ant species and locate nests to determine the most appropriate extermination methods.

Barrier Treatments - Service providers may apply barrier treatments around the property to block ant entry points and reduce populations.

Ongoing Monitoring - Regular inspections and treatments can help maintain ant-free environments and address new activity promptly.

Ants Extermination Service

Considering Ants Extermination Service for a property in Hinsdale, IL? The sections above highlight common project types, practical options, and details that often shape the scope of work.

When you are ready, use the quote form to share a few details about your project. Local pros can review the basics and respond with options that match what you have in mind.

Get an Ants Extermination Service Quote

Ants Extermination Quotes