Local Service Overview

Get Ants Extermination Service in Hartland, WI

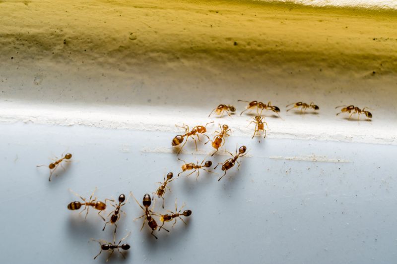
Ants extermination services for property owners in Hartland, WI, and nearby areas address ant infestations, prevent future invasions, and handle residential and commercial pest control projects.

Hartland, WI

Ants extermination services are a practical solution for property owners in Hartland, WI seeking to maintain a safe and comfortable environment. Ant infestations can compromise the functionality of a home or business by invading kitchens, storage areas, and other spaces, leading to potential health concerns and property damage. Professional extermination helps eliminate these pests effectively, reducing the risk of future invasions and creating a more secure living or working space.

Choosing professional ant control services offers benefits such as enhanced durability of pest management efforts and reduced ongoing maintenance. Proper extermination can improve curb appeal by preventing unsightly ant trails and nests from affecting the property's appearance. Additionally, a pest-free environment supports overall safety and comfort, allowing property owners to enjoy their space without concern over persistent ant problems.

Get Ants Extermination Service Quotes

  • Ants Extermination Services - professional pest control providers can help eliminate ant infestations in residential and commercial properties.
  • Ants Prevention Services - experts can assist in identifying and sealing entry points to prevent future ant invasions.
  • Ants Inspection Services - local pros can conduct thorough inspections to locate nests and assess ant activity levels.
  • Ants Treatment Services - specialized treatments are available for effective eradication of ant colonies in homes and businesses.
  • Ants Emergency Services - urgent assistance can be sought when ant problems suddenly escalate, causing immediate concerns.

Get Ants Extermination Service Quotes

Ants Extermination Service
Ants Extermination Service
Ants Extermination Service

Ants extermination services involve professional treatment methods designed to eliminate ant colonies from residential and commercial properties. Service providers typically conduct thorough inspections to identify the extent of an infestation and determine the species involved. They then apply targeted solutions, which may include baiting, trapping, or chemical treatments, to eradicate the ants and prevent future invasions. These services aim to address the root of the problem, ensuring that the pests are removed effectively and that the property remains ant-free over time.

Ant infestations can cause a variety of problems for property owners. Besides the nuisance of swarming ants in kitchens, bathrooms, or other areas, they can also pose health risks by contaminating food and surfaces. In some cases, certain ant species, such as fire ants, can deliver painful stings that may lead to allergic reactions. Additionally, ants can damage structures by nesting within walls or foundations, potentially leading to more extensive repairs if left untreated. Extermination services help mitigate these issues by providing targeted solutions that reduce the presence of ants and limit the risk of recurring problems.

Properties that typically utilize ants extermination services vary widely. Residential homes are common locations, especially in areas where ants are prevalent due to climate or landscaping. Commercial establishments, such as restaurants, grocery stores, and food production facilities, often require regular pest control to maintain hygiene standards and comply with health regulations. Property managers of multi-unit buildings and apartment complexes also seek extermination services to manage infestations across multiple units and common areas. In general, any property experiencing persistent ant problems or seeking preventative measures may benefit from professional extermination services.

Professional ants extermination services are tailored to meet the needs of different property types and infestation levels. Service providers use a combination of inspection techniques and treatment options suited to the specific environment and ant species involved. This approach helps ensure that the treatment is effective and minimizes disruption to daily activities. Whether for a single-family home, a commercial property, or an apartment complex, connecting with local pest control professionals can provide the expertise needed to manage and eliminate ant problems efficiently.

The overview below groups typical Ants Extermination Service projects into broad ranges so you can see how smaller, mid-sized, and larger jobs often compare in Hartland, WI.

In many markets, a large share of routine jobs stays in the lower and middle ranges, while only a smaller percentage of projects moves into the highest bands when the work is more complex or site conditions are harder than average.

Initial Inspection - The cost for an ant inspection typically ranges from $50 to $150, depending on property size and complexity. This fee often covers identifying ant species and entry points before treatment. Contact local pros for detailed quotes based on specific needs.

Basic Treatment - A standard ant extermination service usually costs between $100 and $300. The price varies with the extent of the infestation and the size of the area to be treated. Many providers offer package deals for ongoing pest control.

Whole-Home Service - Comprehensive ant control for an entire home can range from $200 to $600. Larger properties or severe infestations may increase costs, with some providers offering customized solutions. Contact local specialists for precise estimates.

Follow-Up Treatments - Follow-up or recurring treatments generally cost between $50 and $200 per session. These visits ensure ant activity is fully controlled and may be recommended for persistent issues. Pricing varies based on treatment frequency and property size.

Actual totals will depend on details like access to the work area, the scope of the project, and the materials selected, so use these as general starting points rather than exact figures.

Get an Ants Extermination Service Quote

Ants Extermination - Local pest control providers offer specialized services to eliminate ant infestations in residential and commercial properties. They utilize targeted treatment methods to address the specific species of ants present.

Ants Prevention - Service providers can implement effective prevention strategies to reduce the likelihood of future ant problems through sealing entry points and advising on sanitation practices.

Commercial Ant Control - Businesses seeking to maintain a pest-free environment can connect with local pros experienced in managing ant issues in commercial settings.

Residential Ant Removal - Homeowners can find local specialists skilled in removing ants from houses and yards, helping to restore comfort and safety.

Eco-friendly Ant Treatments - Some service providers offer environmentally conscious options for ant extermination that minimize the use of harsh chemicals.

Emergency Ant Control - Immediate assistance from local pros is available for urgent ant infestations that require prompt attention to prevent further spread.

Ants Extermination Service

When comparing local professionals for ant extermination services, experience plays a key role in ensuring effective pest control. Homeowners should look for service providers with a proven track record in handling ant infestations similar to their own, as this indicates familiarity with various species and treatment methods. Reputable local pros often highlight their years of experience and successful projects, which can provide confidence in their ability to address specific ant problems efficiently.

Clear and written expectations are essential for a smooth service process. Pros should provide detailed descriptions of the scope of work, methods used, and any preparations homeowners need to make prior to treatment. This transparency helps set realistic expectations and reduces the likelihood of misunderstandings. Homeowners are encouraged to review these written outlines carefully and ask questions to ensure that the services align with their needs.

Reputation and communication are vital factors when selecting a local ant extermination provider. Reputable service providers typically have references or reviews from previous customers, demonstrating their reliability and quality of work. Good communication involves promptly addressing inquiries, providing thorough explanations, and maintaining transparency throughout the process. Homeowners should seek pros who prioritize clear, ongoing communication to foster trust and ensure the service experience meets their expectations.

Get an Ants Extermination Service Quote

Property owners in Hartland, WI use Ants Extermination Service services for practical projects around their homes and businesses. The sections below highlight everyday jobs and straightforward project options.

Ants Extermination Service
Ants Extermination Service

Ants extermination services are often sought by property owners in Hartland, WI, when they notice ant activity around their homes or businesses. Common situations include discovering trails of ants in kitchens, bathrooms, or other areas where food is stored or prepared. Property owners may also seek professional help if they find nests or colonies inside walls, under floors, or in outdoor landscaping, aiming to prevent further infestation and damage.

Additionally, residents and business owners might look for ant extermination services to address recurring or persistent ant problems that do not respond to DIY methods. In some cases, ant activity can indicate underlying issues with moisture or entry points that need to be addressed to prevent future invasions. Connecting with local experts can help identify the source of the problem and implement effective solutions to maintain a pest-free property.

Get an Ants Extermination Service Quote

How do ant extermination services work? Ant extermination services typically involve inspecting the affected area, identifying ant species and entry points, and applying targeted treatments to eliminate colonies and prevent future infestations.

Are the treatments safe for children and pets? Many local pros use treatments that are safe when applied properly; it is advisable to discuss safety concerns with the service provider before scheduling.

How long does an ant extermination treatment take? The duration of treatment varies depending on the extent of the infestation and the methods used, but most services are completed within a few hours.

Will I need multiple visits for ant control? Some ant infestations may require follow-up visits to ensure complete eradication and to address any new activity that may occur.

How can I prevent future ant problems? Preventative measures include keeping areas clean, sealing entry points, and consulting with local pros about ongoing exclusion strategies.

Ant Control Solutions - Local pest control providers offer targeted treatments to eliminate ant colonies and prevent future infestations.

Inspection and Identification - Professionals can assess property conditions to identify ant entry points and nesting areas for effective eradication.

Barrier Treatments - Service providers may apply barrier treatments around structures to create a protective zone against ant intrusion.

Ongoing Monitoring and Prevention - Experts can establish maintenance plans to monitor ant activity and implement preventative measures over time.

Ants Extermination Service

Considering Ants Extermination Service for a property in Hartland, WI? The sections above highlight common project types, practical options, and details that often shape the scope of work.

When you are ready, use the quote form to share a few details about your project. Local pros can review the basics and respond with options that match what you have in mind.

Get an Ants Extermination Service Quote

Ants Extermination Quotes