Local Service Overview

Get Ants Extermination Service in Greenfield, IN

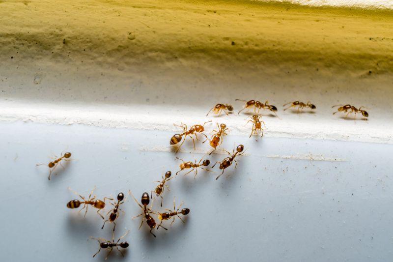
Ants extermination services for property owners in Greenfield, IN, and nearby areas address ant infestations, prevent future invasions, and handle residential and commercial pest control projects.

Greenfield, IN

Ants extermination services provide property owners in Greenfield, IN with an effective solution to manage and eliminate ant infestations. Addressing ant problems promptly helps maintain a comfortable living environment, preventing the discomfort and inconvenience that come with unwelcome pests. Additionally, professional extermination can help protect the structural integrity of a property by preventing potential damage caused by ant colonies, especially when they invade foundations, walls, or insulation.

Engaging with local extermination providers offers several practical benefits, including enhanced safety and reduced maintenance needs. Proper pest control can improve the overall functionality of outdoor and indoor spaces by reducing the likelihood of ant-related disruptions. Moreover, effective extermination efforts contribute to improved curb appeal, helping properties look well-maintained and inviting. These services support long-term durability by preventing recurring infestations and preserving the property's value.

Get Ants Extermination Service Quotes

  • Ant Infestation Removal - needed when ants invade homes or businesses in Greenfield, IN and surrounding areas.
  • Kitchen Ant Control - required when ants are found in food preparation and storage areas.
  • Outdoor Ant Prevention - necessary to protect lawns and gardens from persistent ant colonies.
  • Apartment and Multi-unit Ant Solutions - sought when multiple units experience ant problems in nearby apartment complexes.
  • Seasonal Ant Treatments - used to address ant activity that increases during warmer months in Greenfield and nearby communities.

Get Ants Extermination Service Quotes

Ants Extermination Service
Ants Extermination Service
Ants Extermination Service

Ants extermination services involve identifying and eliminating ant infestations within residential, commercial, or industrial properties. Professional pest control providers typically conduct thorough inspections to locate ant colonies and determine the species involved. Treatment methods may include the application of targeted insecticides, baiting systems, and barriers designed to prevent future invasions. These services aim to reduce or eradicate ant populations, helping to restore a pest-free environment and prevent damage or contamination caused by ant activity.

Ant infestations can pose various problems for property owners, including structural damage, contamination of food supplies, and the spread of bacteria. Certain ant species, such as carpenter ants, are known to cause wood damage by excavating tunnels within structures. Additionally, ants can become a nuisance by invading kitchens, pantries, and other areas where food is stored, creating unsanitary conditions. Professional extermination services help address these issues by effectively controlling the ant populations and implementing preventative measures.

Properties that typically utilize ant extermination services include single-family homes, apartment complexes, restaurants, grocery stores, and warehouses. Homes often seek treatment to protect food storage areas and prevent damage to wooden structures. Commercial establishments, especially those involved in food handling or storage, require regular pest management to maintain hygiene standards and comply with health regulations. Industrial facilities or manufacturing plants may also seek extermination to prevent disruptions caused by infestations and to safeguard their operations.

Engaging with local pest control providers for ant extermination can ensure that the specific needs of each property are addressed with tailored solutions. These professionals utilize industry-standard techniques to manage ant populations effectively, whether through baiting, residual sprays, or barriers. Regular inspections and treatments can help maintain a pest-free environment, minimizing the risk of future infestations and the associated problems they bring.

The overview below groups typical Ants Extermination Service projects into broad ranges so you can see how smaller, mid-sized, and larger jobs often compare in Greenfield, IN.

In many markets, a large share of routine jobs stays in the lower and middle ranges, while only a smaller percentage of projects moves into the highest bands when the work is more complex or site conditions are harder than average.

Initial Inspection - The cost for an ant inspection typically ranges from $50 to $150, depending on the property size and complexity. Larger or multi-story homes may incur higher fees within this range.

Spot Treatment - Spot treatments usually cost between $100 and $300 per application, with prices varying based on the extent of the ant infestation and treatment area.

Full Property Treatment - Complete property treatments can range from $200 to $600, depending on the size of the property and the level of infestation.

Ongoing Prevention - Preventive services or follow-up treatments generally cost between $100 and $400 per session, with costs influenced by property size and treatment frequency.

Actual totals will depend on details like access to the work area, the scope of the project, and the materials selected, so use these as general starting points rather than exact figures.

Get an Ants Extermination Service Quote

Ants Extermination services connect homeowners with local pest control professionals who specialize in eliminating ant infestations effectively. These experts assess the extent of ant problems and implement tailored treatment plans to address them. They also provide advice on preventing future ant issues around residential properties. Local pros can assist with both indoor and outdoor ant control solutions. Contacting a professional ensures a thorough approach to managing ant populations. These services are available to residents in Greenfield, IN, and nearby areas seeking reliable pest management options.

Ants Extermination Service

When evaluating ant extermination services, experience is a key factor to consider. Local pros with a proven track record in pest control are more likely to understand the specific ant species common to Greenfield, IN, and the surrounding areas. An experienced provider can often identify the root causes of ant infestations more effectively and recommend tailored treatment options. When reviewing potential service providers, it’s helpful to inquire about their background in handling ant issues similar to those faced by the property, ensuring they have the practical knowledge needed for effective results.

Clear and written expectations are essential for a smooth service experience. Reputable local pros typically provide detailed descriptions of their treatment methods, what homeowners can expect during and after the service, and any necessary follow-up steps. Having this information in writing helps set realistic expectations and provides clarity on the scope of work. Homeowners should look for providers who communicate openly about their process, ensuring there are no surprises and that the service aligns with their needs.

Reputation and communication are also important when choosing an ant extermination specialist. Reputable local providers often have references or reviews from previous clients that can offer insights into their reliability and quality of work. Good communication from the service provider includes prompt responses to inquiries, clear explanations of treatment options, and a willingness to answer questions. Since the information below introduces local options rather than performing the work directly, it’s advisable to contact multiple providers to compare their references and communication styles to find the best match for specific pest control needs.

Get an Ants Extermination Service Quote

Property owners in Greenfield, IN use Ants Extermination Service services for practical projects around their homes and businesses. The sections below highlight everyday jobs and straightforward project options.

Ants Extermination Service
Ants Extermination Service

Ants extermination services are often sought by property owners in Greenfield, IN, facing common household issues caused by ant infestations. These pests can invade kitchens, pantries, and other areas, leading to concerns about food contamination and property damage. Local service providers can assist with identifying the source of the problem and implementing effective treatment solutions to help restore comfort and hygiene within homes and businesses.

Property owners might also look for ant extermination services when noticing increased activity or signs of nests around their property. Whether dealing with a small colony or a more widespread issue, professional exterminators can provide targeted treatments to eliminate ants and prevent future outbreaks. Engaging with local experts can help address these everyday concerns efficiently and maintain a pest-free environment.

Get an Ants Extermination Service Quote

How do ant extermination services work? Ant extermination services typically involve inspecting the property to identify ant entry points and nests, then applying targeted treatments to eliminate colonies and prevent future infestations.

Are the treatments safe for pets and children? Many ant extermination options are designed to be safe when applied according to the provider’s instructions; it’s advisable to discuss safety concerns with the local service provider.

How long does an ant extermination treatment last? The duration of effectiveness can vary based on the treatment method and infestation level; local pros can provide guidance tailored to specific situations.

Can ant extermination services prevent future infestations? Yes, professional treatments often include preventive measures to reduce the likelihood of ants returning to the property.

How do I prepare my home for ant extermination? Preparing may involve clearing the area around entry points and following any specific instructions provided by the service provider to ensure effective treatment.

Ants Identification and Prevention - Local pest control professionals can assess your property to identify ant species and recommend preventive measures to reduce future infestations.

Ant Extermination Treatments - Experienced service providers utilize effective treatment options tailored to your specific ant problem to eliminate colonies.

Ongoing Monitoring and Maintenance - Pros offer regular inspections and treatments to ensure ants do not return, maintaining a pest-free environment.

Integrated Pest Management Solutions - Local experts may implement comprehensive strategies combining multiple methods for long-term ant control.

Ants Extermination Service

Considering Ants Extermination Service for a property in Greenfield, IN? The sections above highlight common project types, practical options, and details that often shape the scope of work.

When you are ready, use the quote form to share a few details about your project. Local pros can review the basics and respond with options that match what you have in mind.

Get an Ants Extermination Service Quote

Ants Extermination Quotes