Local Service Overview

Get Ants Extermination Service in Grand Prairie, TX

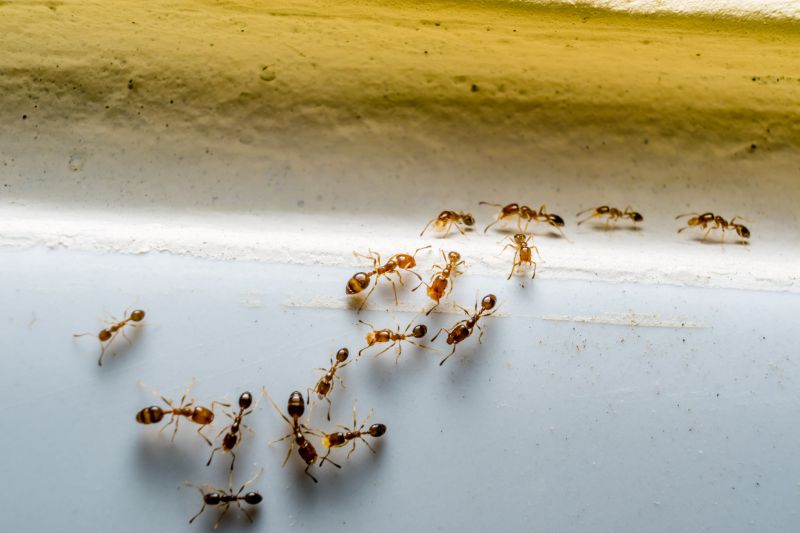
Ants extermination services for property owners in Grand Prairie, TX, and nearby areas address ant infestations, prevent future invasions, and handle residential and commercial pest control projects.

Grand Prairie, TX

Ants extermination services are essential for property owners in Grand Prairie, TX seeking to maintain a safe and comfortable living or working environment. Effective pest control helps prevent ant infestations that can cause damage to structures, contaminate food supplies, and create unsanitary conditions. By addressing ant problems promptly, property owners can enjoy a more functional space with reduced risk of ongoing issues, minimizing disruptions and associated maintenance efforts.

Choosing professional ant extermination offers benefits such as enhanced curb appeal and long-lasting results. Proper treatment ensures that ant populations are effectively managed, contributing to a more durable and attractive property exterior. This proactive approach not only supports the overall safety and usability of the property but also helps preserve its value by maintaining a clean, pest-free appearance.

Get Ants Extermination Service Quotes

  • Ant Infestation Removal - needed when ants invade homes or commercial properties in Grand Prairie, TX and nearby areas.
  • Ant Control for Gardens - appropriate when ants threaten plants or create nests in outdoor landscaping.
  • Kitchen Ant Extermination - required if ants are found in food preparation areas or pantry spaces.
  • Perimeter Ant Prevention - used to establish barriers around buildings to prevent ant entry in residential neighborhoods.
  • Seasonal Ant Treatments - recommended during peak ant activity periods to manage ongoing infestations.

Get Ants Extermination Service Quotes

Ants Extermination Service
Ants Extermination Service
Ants Extermination Service

Ants extermination services involve professional methods to eliminate ant infestations from residential, commercial, and industrial properties. Service providers typically conduct thorough inspections to identify the extent of the ant problem and locate nests or entry points. Treatments may include targeted application of insecticides, baiting systems, or other pest control techniques designed to eradicate colonies and prevent future invasions. These services aim to address the root causes of ant issues, ensuring a comprehensive approach to pest management.

Ant infestations can cause significant problems such as property damage, contamination of food supplies, and general nuisance. Certain ant species, like carpenter ants, are known to damage wood structures, which can compromise the integrity of buildings over time. Additionally, ants can be vectors for bacteria, contaminating surfaces and food items, posing health concerns for residents or employees. Professional extermination services help mitigate these issues by effectively reducing or eliminating ant populations, thereby safeguarding property and health.

Properties that commonly utilize ants extermination services range from single-family homes to large commercial facilities. Residential properties often seek pest control to protect kitchens, gardens, and living spaces from ant incursions. Business establishments, especially food service venues, warehouses, and grocery stores, require regular pest management to maintain hygiene standards and prevent infestations that could disrupt operations. Additionally, property managers and landlords may engage pest control providers to address ant problems across multiple units or rental properties.

Local service providers offering ants extermination typically customize treatments based on the specific ant species and property type. They may employ various techniques such as residual sprays, bait stations, or barrier treatments to effectively control ant populations. The goal is to provide a reliable solution that minimizes future invasions while addressing current infestations. Contacting a local pest control professional can help property owners and managers find tailored services to meet their ant extermination needs efficiently.

The overview below groups typical Ants Extermination Service projects into broad ranges so you can see how smaller, mid-sized, and larger jobs often compare in Grand Prairie, TX.

In many markets, a large share of routine jobs stays in the lower and middle ranges, while only a smaller percentage of projects moves into the highest bands when the work is more complex or site conditions are harder than average.

Initial Inspection - The cost for a comprehensive ant inspection typically ranges from $50 to $150, depending on the property size and extent of the infestation. This fee covers identifying ant species and entry points. Prices may vary based on local service providers in Grand Prairie, TX area.

Perimeter Treatment - Applying ant control treatments around the exterior of a home usually costs between $100 and $300. The price depends on the property’s size and the severity of the ant problem. Service providers may charge more for larger or more complex properties.

Interior Treatment - Interior ant extermination services generally range from $80 to $250 per session. Costs vary based on the number of rooms treated and the level of infestation inside the home. Additional treatments may be needed for ongoing issues.

Ongoing Monitoring - Regular monitoring and treatment plans can cost between $50 and $200 per visit, often billed monthly or quarterly. The price depends on the frequency of visits and the extent of ant activity in the property. Local pros offer customized service plans to suit specific needs.

Actual totals will depend on details like access to the work area, the scope of the project, and the materials selected, so use these as general starting points rather than exact figures.

Get an Ants Extermination Service Quote

Ants Extermination - Local pest control providers offer specialized services to eliminate ant infestations in residential and commercial properties. They utilize targeted treatments to address different species of ants effectively.

Ants Prevention - Service providers can implement preventative measures to reduce the likelihood of future ant problems through inspection and exclusion techniques. These services help maintain a pest-free environment over time.

Commercial Ant Control - Commercial pest control companies provide tailored ant extermination solutions for businesses, including restaurants and warehouses, to meet industry standards and minimize disruptions. They focus on thorough treatment to prevent recurring issues.

Residential Ant Removal - Local pros assist homeowners with removing ant colonies from living spaces, ensuring safe and effective eradication methods are used. They address common entry points and nesting sites within homes.

Natural Ant Control Options - Some service providers offer eco-friendly or natural ant control methods as alternatives to chemical treatments, catering to clients seeking less invasive pest management solutions. These options aim to reduce chemical exposure.

Emergency Ant Extermination - Immediate response services are available from local pest control experts to address urgent ant infestations that require rapid intervention. They focus on quickly reducing ant populations to prevent further damage.

Ants Extermination Service

When evaluating ant extermination services, it’s important to consider the experience of local professionals. Established providers often have a history of handling diverse ant infestations, which can translate into more effective solutions. Pros with extensive experience are familiar with common ant behaviors and the most efficient treatment methods, helping to ensure that the infestation is addressed thoroughly. Potential homeowners can explore reputable references or reviews to gain insight into a contractor’s track record, providing confidence in their ability to deliver reliable results.

Clear communication and well-defined expectations are essential when working with local ant extermination specialists. Reputable service providers typically outline the scope of work, treatment procedures, and any necessary follow-up steps upfront, helping clients understand what to expect throughout the process. Open and transparent communication can also facilitate addressing questions or concerns, ensuring that homeowners feel informed and comfortable with the approach taken to eliminate ants from their property.

It is also beneficial to consider how local pros are introduced and reviewed through trusted platforms. These sites serve as a neutral resource to connect homeowners with reputable service providers in the area, rather than acting as the contractor. While the platform does not perform the work itself, it can help users identify local options that have demonstrated reliability and professionalism. By focusing on the reputation, experience, and communication practices of local ant extermination specialists, homeowners can make more informed decisions when selecting a service provider for their needs.

Get an Ants Extermination Service Quote

Property owners in Grand Prairie, TX use Ants Extermination Service services for practical projects around their homes and businesses. The sections below highlight everyday jobs and straightforward project options.

Ants Extermination Service
Ants Extermination Service

Ants extermination services are commonly sought by property owners in Grand Prairie, TX, who notice ant activity around their homes or businesses. Common situations include encountering visible ant trails, discovering nests in lawns or near foundations, or finding ant infestations inside kitchens and pantries. These issues can be persistent and may lead to larger infestations if not addressed promptly, prompting property owners to seek professional assistance to eliminate the pests effectively.

In addition to visible signs of ants, property owners often turn to extermination services when they experience recurring ant problems despite previous treatments. Factors such as seasonal changes, nearby landscaping, or structural issues can contribute to ant invasions, making professional pest control a practical solution. Local service providers can assess the situation, identify the ant species, and implement targeted treatments to help maintain a pest-free environment.

Get an Ants Extermination Service Quote

How do ant extermination services work? Ant extermination services typically involve inspecting the property to identify ant entry points and nests, then applying targeted treatments to eliminate the colony and prevent future infestations.

Are ant treatments safe for children and pets? Many ant extermination methods are designed to be safe for households with children and pets, but it is advisable to discuss safety concerns with the local service provider before treatment.

How long does an ant extermination treatment take? The duration of an ant extermination service varies depending on the extent of the infestation and the treatment method used, but most treatments are completed within a few hours.

Will I need multiple treatments to control ants? Some ant infestations may require multiple treatments to fully eliminate the colony and prevent re-infestation, depending on the severity and species involved.

How can I prevent future ant problems? Local pros can provide advice on sanitation, sealing entry points, and ongoing treatments to help prevent future ant issues around the property.

Ants Identification and Prevention - Local pest control providers can assess your property to identify ant species and recommend preventive measures to reduce future infestations.

Professional Ant Extermination Solutions - Experienced service providers utilize targeted treatments to effectively eliminate ant colonies from residential and commercial spaces.

Ongoing Monitoring and Maintenance - Regular inspections and follow-up services help keep ant problems under control and prevent re-infestation over time.

Customized Pest Management Plans - Local pros can develop tailored strategies based on the specific ant issues and property conditions to ensure effective results.

Ants Extermination Service

Considering Ants Extermination Service for a property in Grand Prairie, TX? The sections above highlight common project types, practical options, and details that often shape the scope of work.

When you are ready, use the quote form to share a few details about your project. Local pros can review the basics and respond with options that match what you have in mind.

Get an Ants Extermination Service Quote

Ants Extermination Quotes