Local Service Overview

Get Ants Extermination Service in Gary, IN

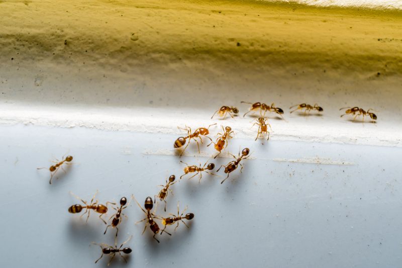
Ants extermination services for property owners in Gary, IN, and nearby areas address ant infestations, nests, and ongoing pest control needs for residential and commercial properties.

Gary, IN

Ants extermination services are essential for property owners in Gary, IN who want to maintain a comfortable and safe living environment. Infestations can disrupt daily routines, cause damage to structures, and pose health concerns, making professional removal a practical choice. By addressing ant problems promptly, property owners can enjoy a more functional space with reduced chances of recurring issues, ultimately enhancing the durability of their property and minimizing ongoing maintenance needs.

Engaging with local ant extermination experts also offers benefits related to curb appeal and overall property value. A pest-free exterior contributes to a well-maintained appearance that can leave a positive impression on visitors or potential buyers. Additionally, professional services help ensure that ant issues are handled effectively, providing peace of mind and supporting long-term property durability and aesthetic appeal.

Get Ants Extermination Service Quotes

  • Ants Extermination - needed when ants invade kitchens, pantries, or other indoor spaces in homes or businesses.
  • Ants Extermination - required for property owners facing persistent ant colonies in yards or garden areas in the region.
  • Ants Extermination - sought after when ant trails or mounds are visible around the exterior of a building.
  • Ants Extermination - necessary for commercial properties experiencing ant problems that disrupt operations or customer experience.
  • Ants Extermination - appropriate when ant activity is detected near foundation walls, entry points, or utility lines.

Get Ants Extermination Service Quotes

Ants Extermination Service
Ants Extermination Service
Ants Extermination Service

Ants extermination services involve professional treatments aimed at eliminating ant infestations within residential and commercial properties. These services typically include identifying the source of the ant problem, applying targeted insecticides, and implementing preventive measures to reduce the likelihood of future invasions. Technicians may use a combination of baiting systems, residual sprays, and barrier treatments to effectively control the infestation and ensure that ants are removed from the property.

The primary issues addressed by ants extermination services are the nuisance and potential damage caused by ant colonies. Ants can invade kitchens, pantries, and other areas, contaminating food and creating unsanitary conditions. In some cases, certain ant species, such as carpenter ants, can cause structural damage by burrowing into wood. Extermination services help mitigate these problems by reducing ant populations and preventing their return, contributing to a cleaner and healthier living or working environment.

These services are commonly utilized by a variety of property types, including single-family homes, apartment complexes, restaurants, and retail stores. Residential properties often seek ant extermination to protect food supplies and maintain comfort, while commercial establishments may require ongoing pest management to meet health and safety standards. Additionally, property managers and landlords frequently contact pest control providers to address ant issues across multiple units or communal areas.

Professional ant extermination services are designed to offer a comprehensive approach to managing ant problems. The process involves thorough inspections to determine the extent of the infestation, followed by customized treatment plans tailored to the specific property and ant species involved. Service providers may also recommend ongoing monitoring or maintenance programs to ensure long-term control and prevent future ant invasions, helping property owners maintain a pest-free environment.

The overview below groups typical Ants Extermination Service projects into broad ranges so you can see how smaller, mid-sized, and larger jobs often compare in Gary, IN.

In many markets, a large share of routine jobs stays in the lower and middle ranges, while only a smaller percentage of projects moves into the highest bands when the work is more complex or site conditions are harder than average.

Initial Inspection and Treatment - The cost for an initial ant inspection and treatment typically ranges from $100 to $300, depending on the size of the property and infestation severity. Example costs might be around $150 for a standard residential home. Local service providers can assess the specific situation to provide accurate quotes.

Perimeter Pest Control Services - Ongoing perimeter ant control services usually cost between $50 and $100 per visit, with some providers offering monthly or quarterly plans. For a typical home in Gary, IN, a quarterly treatment might total around $300 annually. Prices vary based on property size and treatment frequency.

Spot Treatments for Severe Infestations - Spot treatments for localized ant colonies generally range from $75 to $200 per session. For example, a single treatment for a backyard nest could cost approximately $100. Local pros can determine the best approach based on the infestation's extent.

Annual Service Packages - Annual ant control service packages often cost between $200 and $500, depending on the level of coverage and property size. An average residential package might be around $350 per year. These packages typically include multiple treatments to maintain ant-free conditions.

Actual totals will depend on details like access to the work area, the scope of the project, and the materials selected, so use these as general starting points rather than exact figures.

Get an Ants Extermination Service Quote

Ants Extermination - Local pest control providers offer targeted treatments to eliminate ant colonies and prevent future infestations in residential and commercial properties.

Ants Prevention - Service providers can implement strategies to reduce attractants and seal entry points, helping to keep ants from entering indoor spaces.

Ants Inspection - Professionals conduct thorough inspections to identify ant activity, nesting sites, and potential entry points around properties.

Ants Removal - Local experts utilize various removal techniques to effectively eradicate ant populations and restore pest-free environments.

Ants Control - Service providers develop customized control plans to manage ant issues and minimize the risk of recurring problems.

Ants Treatment - Professionals apply specialized treatments designed to target specific ant species and ensure comprehensive elimination.

Ants Extermination Service

When choosing a professional for ant extermination services, it is important to consider their experience in handling pest issues similar to those faced by your home. Experienced local contractors often have a deeper understanding of ant behavior and effective treatment methods, which can contribute to more reliable results. Homeowners should look for pros who have a proven track record in their area, as familiarity with local pests and conditions can impact the success of the service.

Clear communication and well-defined expectations are essential when working with pest control providers. Reputable service providers typically outline the scope of work, the methods they plan to use, and any preparations or follow-up steps required. Ensuring that the contractor provides written expectations helps prevent misunderstandings and allows homeowners to make informed decisions about the treatment process.

Reputable references and reviews can serve as valuable indicators of a local pest control provider’s reliability and professionalism. Homeowners are encouraged to seek out local pros with positive feedback from past clients, as this can reflect consistent quality of service. Additionally, establishing open lines of communication with the contractor can facilitate a smoother experience, enabling homeowners to ask questions and receive timely updates about the progress and results of the ant extermination efforts.

Get an Ants Extermination Service Quote

Property owners in Gary, IN use Ants Extermination Service services for practical projects around their homes and businesses. The sections below highlight everyday jobs and straightforward project options.

Ants Extermination Service
Ants Extermination Service

Ants extermination services are commonly sought after by property owners in Gary, IN, who notice ant activity around their homes or businesses. Common situations include discovering ant trails in kitchens, bathrooms, or basements, especially during warmer months when ants are more active. Property owners may also seek professional assistance if they find nests or colonies inside walls, under flooring, or in outdoor landscaping, aiming to prevent potential damage or contamination of food supplies.

Many property owners look for ant extermination services to address recurring infestations or prevent future problems. Factors such as increased ant sightings after rain, the presence of multiple colonies, or the desire to keep outdoor spaces ant-free can prompt property owners to contact local professionals. These services help maintain a clean, pest-free environment, especially in areas where ant activity could interfere with daily routines or compromise property conditions.

Get an Ants Extermination Service Quote

How do ant extermination services work? Ant extermination services typically involve inspecting the property to identify ant entry points and nests, followed by applying targeted treatments to eliminate the colony and prevent future infestations.

Are ant extermination treatments safe for pets and children? Most professional ant treatments are formulated to be safe when applied by experienced technicians, but it is recommended to follow any safety instructions provided by the service provider.

How long does an ant extermination treatment last? The effectiveness of an ant extermination treatment can vary depending on the method used and the severity of the infestation, with many treatments providing protection for several months.

Will I need multiple treatments to control an ant problem? Some ant infestations may require more than one treatment to fully eliminate the colony and prevent re-infestation, depending on the species and extent of the nest.

How can I prevent future ant problems? To help prevent future ant issues, it is advisable to keep areas clean, remove food sources, seal entry points, and consult with a local pest control professional for ongoing prevention strategies.

Ants Extermination Solutions - Local service providers offer targeted treatments to eliminate ant colonies and prevent future infestations.

Inspection and Identification - Professionals can assess property conditions to identify ant entry points and nesting sites for effective removal.

Preventive Measures - Experts recommend sealing cracks and removing attractants to reduce the likelihood of ant re-infestation.

Ongoing Monitoring - Regular inspections by local pros help maintain ant-free environments and address new activity promptly.

Ants Extermination Service

Considering Ants Extermination Service for a property in Gary, IN? The sections above highlight common project types, practical options, and details that often shape the scope of work.

When you are ready, use the quote form to share a few details about your project. Local pros can review the basics and respond with options that match what you have in mind.

Get an Ants Extermination Service Quote

Vinyl Fence Installation Quotes