Local Service Overview

Get Ants Extermination Service in Franksville, WI

Ants extermination services for property owners in Franksville, WI, and nearby areas address ant infestations, prevent future invasions, and handle residential and commercial pest control projects.

Franksville, WI

Ants extermination services are essential for property owners in Franksville, WI seeking to maintain a comfortable and safe living environment. Infestations can threaten the functionality of a home by damaging structures, contaminating food supplies, and creating unsanitary conditions. Professional extermination helps address these issues effectively, reducing the likelihood of recurring problems and minimizing the need for ongoing maintenance. By managing ant populations promptly, property owners can enjoy peace of mind and preserve the durability of their property.

In addition to safety and functionality, ants extermination services can enhance curb appeal by preventing unsightly nests and trails around a property. A pest-free environment contributes to a cleaner, more inviting appearance, which can be especially important for homes and businesses alike. Engaging experienced local service providers ensures that ant issues are handled efficiently and thoroughly, supporting long-term comfort and the overall integrity of the property.

Get Ants Extermination Service Quotes

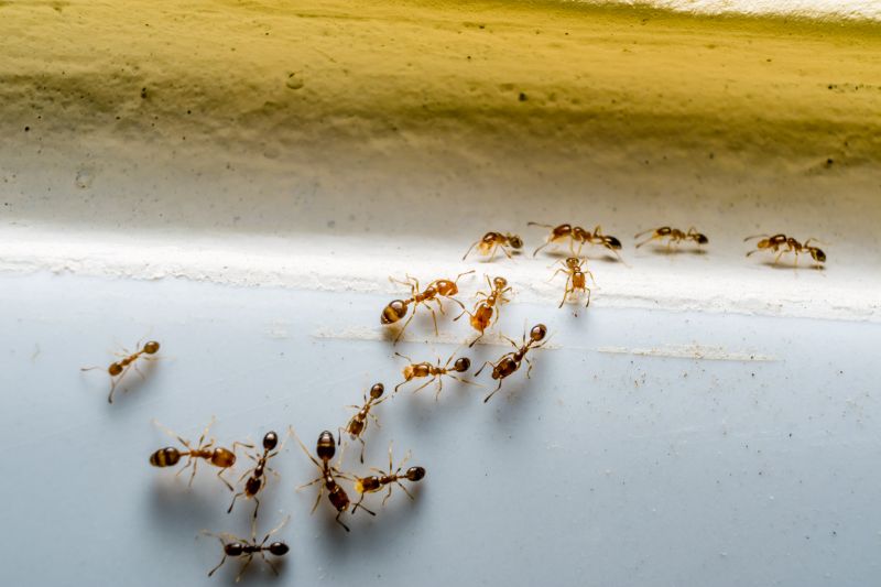
  • Ants Extermination - needed when ants invade kitchens, bathrooms, or other indoor spaces in Franksville, WI and surrounding areas.
  • Ants Extermination - required for persistent ant colonies that threaten to spread throughout residential or commercial properties.
  • Ants Extermination - sought after when outdoor ant mounds become a nuisance near gardens, patios, or building foundations.
  • Ants Extermination - necessary for preventing ant infestations in new construction or during property renovations.
  • Ants Extermination - essential when dealing with ant species that pose potential health risks or cause property damage.

Get Ants Extermination Service Quotes

Ants Extermination Service
Ants Extermination Service
Ants Extermination Service

Ants extermination services involve professional treatment methods aimed at eliminating ant infestations within residential, commercial, or industrial properties. These services typically include thorough inspections to identify ant colonies and nesting sites, followed by targeted application of insecticides or baiting systems designed to attract and eradicate ants at their source. The goal is to reduce or eliminate visible ant activity and prevent future invasions by disrupting their colonies and pathways. The process may involve multiple visits or treatments to ensure complete removal and to address different species of ants that may be present.

The primary problems addressed by ants extermination services are nuisance and property damage caused by ant colonies. Ants can invade kitchens, pantries, and other indoor spaces, contaminating food and creating unsanitary conditions. Certain species, such as carpenter ants, can also cause structural damage by burrowing into wood structures, which may compromise the integrity of the property. Additionally, ant bites or stings can pose health concerns for residents or employees, especially in cases of large infestations. Professional extermination helps manage these issues effectively, reducing the risk of ongoing infestations and associated damages.

Various types of properties utilize ants extermination services, including single-family homes, apartment complexes, restaurants, and retail stores. Residential properties often seek treatment to protect food storage areas and living spaces from ant incursions. Commercial properties, especially those involved in food service or storage, prioritize pest control to maintain hygiene standards and comply with health regulations. Industrial facilities may require specialized treatments if ant infestations threaten equipment or product safety. Overall, any property experiencing persistent ant problems or seeking preventative measures can benefit from professional extermination services.

Professional ant extermination services employ a range of techniques tailored to the specific property and infestation severity. These services involve identifying the ant species and nesting sites, then deploying appropriate treatment methods such as bait stations, dusts, or liquid insecticides. Follow-up treatments are often recommended to ensure complete eradication and to address new or hidden colonies. Property owners or managers typically contact local pest control providers to assess their situation and determine the most effective approach for their specific needs. Engaging experienced professionals can help manage ant problems efficiently and reduce the likelihood of recurring issues.

The overview below groups typical Ants Extermination Service projects into broad ranges so you can see how smaller, mid-sized, and larger jobs often compare in Franksville, WI.

In many markets, a large share of routine jobs stays in the lower and middle ranges, while only a smaller percentage of projects moves into the highest bands when the work is more complex or site conditions are harder than average.

Initial Inspection Cost - Typically ranges from $50 to $150 for a professional assessment of ant activity. Prices may vary depending on property size and infestation severity.

Per-Visit Treatment Cost - Single-treatment services often cost between $100 and $300. The final price depends on the extent of the ant problem and treatment methods used.

Quarterly Service Plans - Ongoing pest control plans can range from $200 to $500 per quarter. These plans often include regular inspections and treatments to prevent ant re-infestation.

Per-Unit or Per-Area Pricing - Some providers charge $1 to $3 per square foot for targeted ant extermination. Costs vary based on property size and treatment complexity.

Actual totals will depend on details like access to the work area, the scope of the project, and the materials selected, so use these as general starting points rather than exact figures.

Get an Ants Extermination Service Quote

Ants Extermination services connect homeowners with local pest control providers experienced in eliminating ant infestations in residential and commercial properties.

Ants Inspection services involve professionals assessing property conditions to identify ant activity and determine the extent of the infestation.

Ants Prevention solutions focus on implementing strategies to reduce the likelihood of future ant problems through targeted treatments and property management advice.

Barrier Treatments for Ants services include applying perimeter treatments around structures to create a protective barrier against ant entry.

Indoor Ant Control services target ant colonies inside buildings, using methods suitable for indoor environments to eliminate nests and prevent re-entry.

Outdoor Ant Control services involve treating outdoor areas such as gardens, lawns, and landscapes to control ant populations before they reach structures.

Ants Extermination Service

When evaluating local ant extermination service providers, experience is a key factor to consider. Pros with extensive background in pest control often have a deeper understanding of ant behaviors and effective treatment methods. They may also have handled a variety of cases, which can contribute to more efficient and tailored solutions for residential properties. It is helpful to review the credentials or professional history of potential contractors to gauge their familiarity with ant issues specific to Franksville, WI and surrounding areas.

Clear communication and well-defined written expectations are essential when working with pest control providers. Reputable service providers typically offer detailed descriptions of their treatment approaches, what homeowners can expect during and after the service, and any necessary follow-up steps. This transparency helps ensure that homeowners are informed and comfortable with the process, reducing misunderstandings and fostering a smoother experience.

Reputable references and dependable reputation are indicators of a service provider’s reliability. Local pros with positive references from previous clients often demonstrate consistent quality of work and professionalism. When comparing options, it can be useful to seek out reviews or testimonials from homeowners in the area who have previously used their services. Good communication and a history of satisfied customers can help homeowners select a pest control provider that aligns with their expectations and needs.

Get an Ants Extermination Service Quote

Property owners in Franksville, WI use Ants Extermination Service services for practical projects around their homes and businesses. The sections below highlight everyday jobs and straightforward project options.

Ants Extermination Service
Ants Extermination Service

Ants extermination services are commonly sought by property owners in Franksville, WI, who notice persistent ant activity around their homes or businesses. Ants can invade kitchens, pantries, and other areas, often becoming a nuisance that disrupts daily routines. Local service providers offer solutions to eliminate existing colonies and prevent future infestations, helping property owners maintain a clean and comfortable environment.

In addition to visible ant problems, property owners may seek extermination services after discovering signs of nests or ant trails inside or outside their properties. These services are useful for addressing common situations such as ants invading during warmer months or when new ant colonies appear near foundations. Local pros can assess the situation and recommend appropriate treatment options to manage and control ant populations effectively.

Get an Ants Extermination Service Quote

How do ant extermination services work? Ant extermination services typically involve inspecting the property to identify ant colonies and entry points, followed by targeted treatments to eliminate the ants and prevent future infestations.

Are chemical treatments safe for my family and pets? Many local service providers use treatments designed to be safe for homes, but it’s recommended to discuss any concerns with the pest control professionals during contact.

How long does an ant extermination treatment last? The duration of effectiveness can vary depending on the treatment method and the severity of the infestation; professionals can provide guidance during consultation.

Can ant extermination prevent future infestations? Yes, professional ant control can include preventative measures to reduce the likelihood of future ant problems.

What should I do before a pest control appointment? It’s advisable to follow any instructions provided by the service provider, such as cleaning the area or removing food and dishes, to ensure the treatment’s effectiveness.

Ants Control Solutions - Local pest control providers offer effective methods to eliminate ant colonies and prevent future infestations.

Inspection and Identification - Professionals can assess property conditions to identify ant species and determine the best treatment approach.

Barrier Treatments - Service providers utilize targeted treatments around the home’s perimeter to create a protective barrier against ants.

Ongoing Prevention Plans - Local experts can develop customized prevention strategies to keep ants from returning over time.

Ants Extermination Service

Considering Ants Extermination Service for a property in Franksville, WI? The sections above highlight common project types, practical options, and details that often shape the scope of work.

When you are ready, use the quote form to share a few details about your project. Local pros can review the basics and respond with options that match what you have in mind.

Get an Ants Extermination Service Quote

Ants Extermination Quotes