Local Service Overview

Get Ants Extermination Service in Franklin, IN

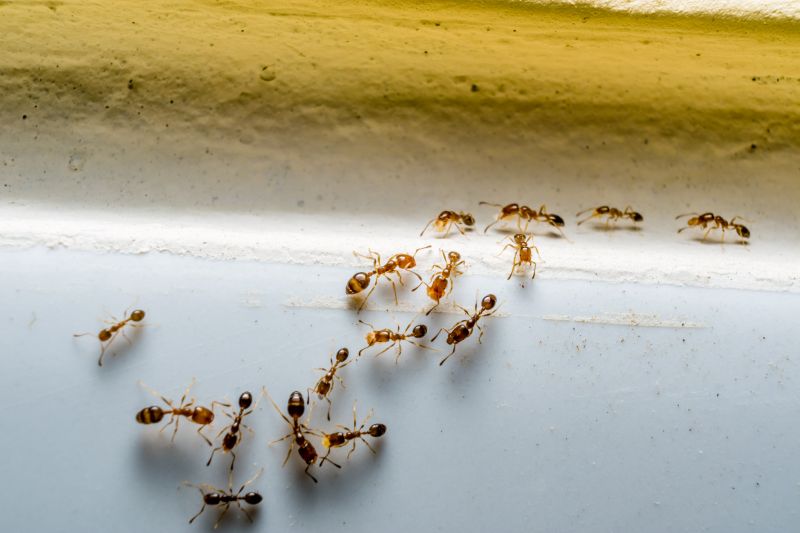
Ants extermination services for property owners in Franklin, IN, and nearby areas address ant infestations, prevent future invasions, and handle residential and commercial ant control projects.

Franklin, IN

Ants extermination services in Franklin, IN, are essential for property owners seeking to maintain a comfortable and safe living or working environment. Effective ant control helps prevent infestations that can disrupt daily routines, damage property structures, and contaminate food supplies. By addressing ant issues promptly, property owners can enjoy a more functional space free from the nuisance and potential health concerns associated with these pests.

Engaging professional extermination services offers benefits such as enhanced durability of pest control measures, reduced maintenance needs, and improved curb appeal. Properly managed ant problems contribute to the overall appearance of a property while minimizing the risk of future invasions. With the help of experienced local service providers, property owners can achieve long-lasting results that support the safety, comfort, and aesthetic value of their properties.

Get Ants Extermination Service Quotes

  • Ants Extermination Services are essential when homeowners notice ant trails or nests in their property.
  • These services are often needed in commercial spaces experiencing ant infestations that disrupt operations.
  • Ant control may be required in residential areas with persistent ant activity around kitchens and outdoor spaces.
  • Property managers may seek extermination services when ants invade multi-unit buildings or common areas.
  • Ant removal experts can assist in preventing future infestations in homes and businesses throughout Franklin, IN, and nearby regions.

Get Ants Extermination Service Quotes

Ants Extermination Service
Ants Extermination Service
Ants Extermination Service

Ants extermination services involve identifying and eliminating ant infestations within residential, commercial, or industrial properties. These services typically include thorough inspections to determine the extent of the problem, followed by targeted treatment methods to eradicate ant colonies. Treatment options may involve the application of insecticides, baiting systems, or barrier treatments designed to prevent future invasions. The goal is to remove existing ants and reduce the likelihood of a recurring infestation, ensuring the property remains ant-free.

Ant problems can cause significant inconvenience and damage, especially when colonies establish themselves inside walls, under floors, or around food storage areas. Ants are known to contaminate food supplies and create unsanitary conditions, which can be particularly problematic in kitchens, restaurants, or food production facilities. Additionally, some species of ants may pose structural risks if they nest in wooden structures or electrical wiring. Exterminating ants helps address these issues by removing the pests and implementing preventative measures to keep the property secure.

Various types of properties utilize ants extermination services, including single-family homes, apartment complexes, restaurants, and warehouses. Residential properties often seek these services to protect food supplies and maintain hygiene standards. Commercial establishments, especially those involved in food handling and processing, frequently require professional pest control to meet health regulations and prevent business disruptions. Larger facilities such as warehouses or manufacturing plants may also engage pest control providers to manage pest populations and safeguard inventory and infrastructure.

Professional ant extermination services are essential for effectively managing persistent infestations and preventing future problems. Local service providers offer tailored solutions based on the specific property type, ant species, and severity of the infestation. They utilize proven treatment methods and inspection techniques to ensure comprehensive pest management. Property owners and managers seeking reliable ant control solutions can contact local pros to assess their needs and implement appropriate extermination strategies.

The overview below groups typical Ants Extermination Service projects into broad ranges so you can see how smaller, mid-sized, and larger jobs often compare in Franklin, IN.

In many markets, a large share of routine jobs stays in the lower and middle ranges, while only a smaller percentage of projects moves into the highest bands when the work is more complex or site conditions are harder than average.

Initial Inspection and Treatment - Costs for an initial ant inspection and treatment typically range from $150 to $300, depending on the property size and severity of the infestation. This fee often covers identifying ant species and applying targeted treatments.

Perimeter Barrier Application - Applying a perimeter barrier around a home can cost between $200 and $500. The price varies based on property size and the complexity of the treatment area.

Ongoing Pest Control Plans - Regular ant extermination plans generally cost between $40 and $70 per month. These plans may include scheduled treatments and monitoring to prevent future infestations.

Emergency or One-Time Service - One-time extermination services for severe ant problems can range from $150 to $400. The final cost depends on the extent of the infestation and property specifics.

Actual totals will depend on details like access to the work area, the scope of the project, and the materials selected, so use these as general starting points rather than exact figures.

Get an Ants Extermination Service Quote

Ants Extermination - Local pest control providers offer targeted solutions to eliminate ant colonies and prevent future infestations in residential and commercial properties.

Ants Inspection - Professionals conduct thorough inspections to identify ant entry points and nesting areas, ensuring effective treatment plans.

Ants Baiting - Service providers set up bait stations to attract and eradicate ants, reducing the colony over time without extensive disruption.

Ants Barrier Treatments - Experts apply barrier treatments around structures to create a protective zone against ant intrusion.

Ants Removal - Local pros utilize specialized methods to safely remove ants from indoor and outdoor spaces.

Ants Prevention - Service providers advise on and implement measures to prevent future ant problems and maintain pest-free environments.

Ants Extermination Service

When comparing ant extermination services, it is important to consider the experience of local professionals. Established providers often have a history of handling a variety of ant infestations, which can translate into more effective and efficient treatments. Homeowners should look for service providers with a proven track record in their area, as familiarity with local ant species and common entry points can enhance the success of extermination efforts. Gathering information about how long a pros have been operating and their experience with similar cases can help inform a more confident decision.

Clear communication and written expectations are essential when choosing an ant extermination service. Reputable providers typically offer detailed explanations of their treatment methods, what homeowners can expect during and after the service, and any necessary follow-up steps. Having this information in writing helps ensure that both parties share a mutual understanding of the scope of work and desired outcomes. Homeowners are encouraged to inquire about the specifics of the treatment plan and any preparations needed to facilitate the process.

Reputable references and reliable reputation are key indicators of a professional’s credibility in ant extermination. Local service providers with positive references from previous clients can provide insights into their reliability, quality of work, and customer satisfaction. Additionally, consistent online reviews and local reputation can serve as useful resources for assessing a pros’ track record. Effective communication, including prompt responses and transparency, further supports a smooth and trustworthy service experience, making it easier for homeowners to select a qualified local professional for ant extermination needs.

Get an Ants Extermination Service Quote

Property owners in Franklin, IN use Ants Extermination Service services for practical projects around their homes and businesses. The sections below highlight everyday jobs and straightforward project options.

Ants Extermination Service
Ants Extermination Service

Ants extermination services are commonly sought by property owners in Franklin, IN, when encountering persistent ant infestations that disrupt daily life or compromise cleanliness. These situations often arise in homes and businesses where ants invade kitchens, pantry areas, or other spaces, attracted by food sources and moisture. Property owners may look for professional assistance to effectively eliminate the problem and prevent future invasions, especially when over-the-counter solutions prove ineffective.

Additionally, property owners might seek ants extermination services in cases where ant colonies have become extensive, creating concerns about damage or hygiene. This can include situations where ants are found nesting in wall voids, near foundations, or around outdoor structures. Engaging local pest control providers can help address these issues promptly and thoroughly, restoring comfort and sanitation to the property.

Get an Ants Extermination Service Quote

How do ant extermination services work? Ant extermination services typically involve identifying the ant species and entry points, then applying targeted treatments to eliminate colonies and prevent future infestations. Local service providers use various methods to address ant problems effectively.

Are ant extermination treatments safe for pets and children? Most local ant extermination treatments are designed to be safe when used as directed. It is recommended to discuss any concerns with the service provider before treatment.

How long does an ant extermination treatment take? The duration of an ant extermination service varies depending on the extent of the infestation and the treatment method used. Contact local providers for more specific information.

Will I need multiple treatments to control ants? Some ant infestations may require multiple treatments for complete control, especially if the colony is large or difficult to access. A local professional can assess and recommend the appropriate plan.

What should I do to prepare for ant extermination service? Preparation may include clearing the area around ant entry points and removing food or water sources. Specific instructions can be provided by the local service provider during the scheduling process.

Ants Control Solutions - Local service providers offer targeted treatments to eliminate ant colonies and prevent future infestations.

Inspection and Identification - Pros can assess property conditions to identify ant species and determine the most effective extermination methods.

Eco-Friendly Treatment Options - Many providers utilize safe, environmentally conscious products to manage ant problems without harming residents or pets.

Ongoing Monitoring and Prevention - Service providers can establish plans to monitor for ant activity and implement preventative measures to keep ants away.

Ants Extermination Service

Considering Ants Extermination Service for a property in Franklin, IN? The sections above highlight common project types, practical options, and details that often shape the scope of work.

When you are ready, use the quote form to share a few details about your project. Local pros can review the basics and respond with options that match what you have in mind.

Get an Ants Extermination Service Quote

Ants Extermination Quotes