Local Service Overview

Get Ants Extermination Service in Eden, UT

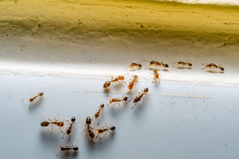
Ants extermination services for property owners in Eden, UT, and nearby areas address ant infestations, prevent future outbreaks, and handle residential or commercial pest control projects.

Eden, UT

Ants extermination services in Eden, UT provide property owners with a practical solution to maintain a clean and comfortable living environment. By effectively reducing ant populations, these services help prevent potential damage to structures and belongings, ensuring the property remains functional and durable over time. Eliminating ant infestations also contributes to a more inviting outdoor and indoor space, enhancing curb appeal and making daily activities more enjoyable and worry-free.

Choosing professional ant extermination can lead to long-term benefits such as decreased maintenance needs and increased safety. Property owners often seek these services to create a pest-free environment that promotes peace of mind and supports the overall safety of residents and visitors. Reliable extermination services help preserve the integrity of the property, allowing residents to enjoy their surroundings without concern about recurring pest issues.

Get Ants Extermination Service Quotes

  • Ants Extermination - When an ant infestation disrupts household comfort or damages property, professional extermination may be needed.
  • Ants Extermination - Businesses experiencing ant problems that threaten cleanliness or customer experience can seek expert services.
  • Ants Extermination - In areas like Eden, UT, residents dealing with persistent ant colonies may require specialized pest control solutions.
  • Ants Extermination - During seasonal ant activity, homeowners might look for local pros to manage and prevent future invasions.
  • Ants Extermination - When ants invade outdoor spaces or gardens, professional services can help eliminate colonies and protect landscaping.

Get Ants Extermination Service Quotes

Ants Extermination Service
Ants Extermination Service
Ants Extermination Service

Ants extermination services involve identifying and eliminating ant infestations within residential, commercial, or industrial properties. Local service providers utilize a combination of inspection, targeted treatments, and preventative measures to manage ant populations effectively. These services often include applying specialized baits, insecticides, and barriers designed to disrupt ant colonies and prevent future invasions. The goal is to address the immediate problem while reducing the likelihood of recurring issues through strategic treatment plans.

Ant infestations can pose various problems for property owners, including structural damage, contamination of food supplies, and general nuisance. Certain ant species, such as carpenter ants, are known to cause damage to wood structures, which can compromise the integrity of buildings. Additionally, ants can contaminate food items and surfaces, creating hygiene concerns in kitchens and food storage areas. Extermination services help mitigate these issues by thoroughly eradicating colonies and implementing measures to discourage ants from returning.

Properties that typically utilize ant extermination services include homes, apartment complexes, restaurants, and retail establishments. Residential properties often seek assistance to protect food storage areas and prevent damage to wooden structures. Commercial properties, especially those involved in food handling or preparation, prioritize ant control to maintain hygiene standards and avoid health code violations. In some cases, outdoor areas such as gardens and patios may also require treatment to prevent ants from establishing nests near the property.

Professional ant extermination services can be tailored to the specific needs of different property types and infestation severity. Service providers conduct detailed inspections to locate ant nests and identify the species involved. Based on these findings, they recommend appropriate treatment options, which may include baiting systems, residual sprays, or dust applications. Regular monitoring and follow-up treatments are often advised to ensure long-term control, helping property owners maintain a pest-free environment.

The overview below groups typical Ants Extermination Service projects into broad ranges so you can see how smaller, mid-sized, and larger jobs often compare in Eden, UT.

In many markets, a large share of routine jobs stays in the lower and middle ranges, while only a smaller percentage of projects moves into the highest bands when the work is more complex or site conditions are harder than average.

Initial Inspection Cost - Typically ranges from $50 to $150 for a professional assessment of ant activity and entry points. Prices may vary based on property size and complexity of the inspection.

Basic Treatment Services - Standard ant extermination treatments generally cost between $100 and $300 per service. This includes applying targeted insecticides around affected areas.

Multiple-Visit Treatments - For ongoing or severe infestations, costs can range from $200 to $500, covering several visits and follow-up applications as needed.

Barrier and Baiting Solutions - Installation of ant barriers or bait stations typically costs between $150 and $400. These methods help prevent future infestations and can vary based on property size.

Actual totals will depend on details like access to the work area, the scope of the project, and the materials selected, so use these as general starting points rather than exact figures.

Get an Ants Extermination Service Quote

Ants Extermination - Local pest control providers offer services to eliminate ant infestations in residential and commercial properties in Eden, UT. They utilize various treatment methods to address different types of ant problems.

Ants Prevention - Service providers can assist with preventive measures to reduce the likelihood of future ant invasions around homes and businesses. This includes sealing entry points and advising on sanitation practices.

Ants Inspection - Professionals conduct thorough inspections to identify ant activity and determine the extent of an infestation. Proper assessment helps in selecting the most effective treatment plan.

Ants Baiting - Baiting strategies are used by local pros to attract and eliminate ant colonies at their source, minimizing the use of sprays and reducing chemical exposure.

Ants Barrier Treatments - Barrier treatments involve applying insecticides around structures to create a protective perimeter against ant entry. This method is often part of integrated pest management plans.

Ants Removal Consultation - Experts provide advice on the best approaches for ant removal and ongoing prevention tailored to specific property needs in Eden, UT. Contacting a professional ensures targeted and effective solutions.

Ants Extermination Service

When selecting a local pest control professional for ant extermination services, it is important to consider their experience in handling ant infestations specific to the Eden, UT area. An experienced provider will typically have a history of successfully managing similar cases, which can contribute to more effective and efficient results. Homeowners should look for service providers with a proven track record, as this can indicate familiarity with local ant species and common infestation patterns, leading to tailored treatment approaches.

Clear communication and well-defined expectations are essential when working with a pest control contractor. Reputable local pros will often provide detailed descriptions of their services, including the methods they use and what homeowners can expect during and after treatment. This transparency helps ensure that clients are informed about the process and any necessary follow-up steps, reducing uncertainty and fostering trust throughout the service.

References and reputation within the community can serve as valuable indicators of a contractor’s reliability and quality of work. Homeowners are encouraged to seek out local providers with positive references or reviews from previous clients in Eden or nearby areas. Reputable service providers often maintain good standing within the community, which can be verified through word-of-mouth recommendations or online reviews. Additionally, effective communication channels, such as responsive customer service, help ensure that questions are answered promptly and that homeowners feel supported throughout the process.

Get an Ants Extermination Service Quote

Property owners in Eden, UT use Ants Extermination Service services for practical projects around their homes and businesses. The sections below highlight everyday jobs and straightforward project options.

Ants Extermination Service
Ants Extermination Service

Ants extermination services are commonly sought after by property owners in Eden, UT, who notice ant activity around their homes or businesses. Common situations include discovering ant trails in kitchens or along walls, which can indicate an ongoing infestation. Property owners may also seek professional help when ants begin to invade outdoor spaces or when previous DIY efforts fail to eliminate the problem effectively. Local service providers can assess the extent of the ant presence and recommend targeted solutions to address the issue.

In addition to visible ant activity, property owners often look for extermination services to prevent future invasions. This can be especially important in areas where ants pose a nuisance or threaten food storage and cleanliness. Exterminators can identify potential entry points and apply treatments to help keep ants from returning. Engaging with local professionals ensures that the work is tailored to the specific needs of properties in Eden, UT, and surrounding communities.

Get an Ants Extermination Service Quote

How do ant extermination services work? Ant extermination services typically involve inspecting the affected area, identifying ant species and entry points, and applying targeted treatments to eliminate colonies and prevent future infestations.

Are ant extermination treatments safe for pets and children? Most professional ant treatments are designed to be safe when applied by experienced technicians, but it is advisable to follow any specific safety instructions provided by the service provider.

How long does an ant extermination treatment usually last? The effectiveness duration can vary depending on the treatment method and the severity of the infestation; a local service provider can offer guidance on maintenance and follow-up options.

Can ant extermination services prevent future invasions? Yes, many service providers offer preventative treatments and advice on reducing attractants to help minimize the risk of future ant problems.

What should I do before a professional ant extermination appointment? It is recommended to clear the area of food, dishes, and clutter to allow technicians to access affected areas easily and perform an effective treatment.

Ants Extermination Techniques - Local service providers can implement a variety of methods to eliminate ant infestations, including baiting and barrier treatments.

Inspection and Identification - Professionals can assess property conditions to locate ant entry points and nesting areas for targeted removal.

Preventive Solutions - Service providers may recommend sealing cracks and removing attractants to reduce future ant activity.

Ongoing Monitoring and Maintenance - Experts can establish monitoring plans to ensure ant problems do not recur over time.

Ants Extermination Service

Considering Ants Extermination Service for a property in Eden, UT? The sections above highlight common project types, practical options, and details that often shape the scope of work.

When you are ready, use the quote form to share a few details about your project. Local pros can review the basics and respond with options that match what you have in mind.

Get an Ants Extermination Service Quote

Ants Extermination Quotes