Local Service Overview

Get Ants Extermination Service in Dolton, IL

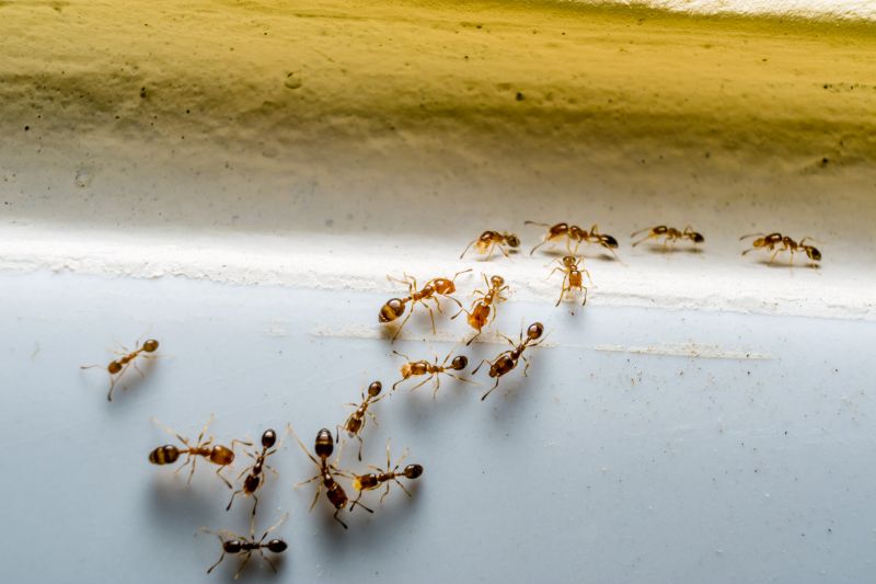
Ants extermination services for Dolton, IL, and nearby areas address ant infestations, including nests, trails, and ongoing problems in residential and commercial properties.

Dolton, IL

Ants extermination services are essential for property owners in Dolton, IL seeking to maintain a safe and comfortable environment. Ant infestations can compromise the safety of a property by attracting pests that may carry bacteria or cause structural damage. Professional extermination helps eliminate these pests effectively, reducing the risk of future invasions and ensuring the space remains functional and inviting for residents, employees, or visitors.

Choosing expert ant extermination also offers benefits related to durability and reduced maintenance. Proper pest control treatments can prevent recurring issues, preserving the integrity of the property’s structure and interior finishes. Additionally, a pest-free environment enhances curb appeal, making properties more attractive and welcoming. Engaging experienced service providers ensures that ant problems are addressed thoroughly, promoting long-term comfort and peace of mind.

Get Ants Extermination Service Quotes

  • Ants Extermination - needed when ants invade kitchens, pantries, or other indoor spaces in Dolton, IL and surrounding areas.
  • Ants Extermination - required if outdoor ant colonies threaten to spread into residential or commercial properties.
  • Ants Extermination - essential when multiple ant trails are observed inside a home or business in nearby communities.
  • Ants Extermination - sought after when ants are found nesting in wall voids, basements, or crawl spaces.
  • Ants Extermination - necessary for preventing recurring ant problems in areas prone to infestations during warmer months.

Get Ants Extermination Service Quotes

Ants Extermination Service
Ants Extermination Service
Ants Extermination Service

Ants extermination services involve identifying and eliminating ant infestations within residential, commercial, or industrial properties. Professionals typically conduct a thorough inspection to determine the extent of the ant problem, including locating nests and entry points. Treatment methods may include applying targeted insecticides, baiting systems, or other pest control solutions designed to eradicate both visible ants and hidden colonies. These services aim to reduce ant populations effectively and prevent future invasions, helping property owners maintain a clean and pest-free environment.

Ant infestations can cause various issues, from property damage to health concerns. Certain types of ants, such as carpenter ants, can compromise the structural integrity of wooden elements, leading to costly repairs if left unchecked. Other species, like fire ants, pose painful stings and can be a hazard to residents and visitors. Additionally, ants can contaminate food supplies and surfaces, creating hygiene issues in kitchens and food storage areas. Ant extermination services help address these problems by removing colonies and implementing ongoing prevention measures.

Properties that commonly utilize ant extermination services include single-family homes, apartment complexes, restaurants, and warehouses. Residential properties often seek help when ants invade kitchens, bathrooms, or outdoor spaces. Commercial properties, especially those involved in food service or storage, require regular pest control to meet health and safety standards. Industrial facilities and office buildings may also need professional assistance to manage ant populations that threaten cleanliness and operational efficiency. Overall, any property experiencing persistent ant issues can benefit from expert pest control solutions.

Partnering with local pest control providers ensures access to tailored ant extermination services suited to specific property needs. These professionals use proven techniques and products to effectively eliminate ant colonies and reduce the risk of recurring infestations. By addressing ant problems promptly, property owners can protect their spaces from damage, contamination, and discomfort. Connecting with experienced service providers offers a reliable way to maintain a pest-free environment and safeguard property value.

The overview below groups typical Ants Extermination Service projects into broad ranges so you can see how smaller, mid-sized, and larger jobs often compare in Dolton, IL.

In many markets, a large share of routine jobs stays in the lower and middle ranges, while only a smaller percentage of projects moves into the highest bands when the work is more complex or site conditions are harder than average.

Initial Inspection - The cost for an ant inspection typically ranges from $50 to $150, depending on property size and complexity. This fee often covers a thorough assessment of the infested area.

Basic Treatment - A standard ant extermination service can cost between $100 and $300 for a single treatment. Larger properties or severe infestations may increase the price.

Multiple Treatments - For ongoing or severe ant problems, multiple treatments might be needed, with costs ranging from $200 to $600. Some service providers offer package deals for multiple visits.

Additional Services - Extra services such as baiting or follow-up inspections generally add $50 to $200 to the total cost. These services help ensure complete eradication of the ant colony.

Actual totals will depend on details like access to the work area, the scope of the project, and the materials selected, so use these as general starting points rather than exact figures.

Get an Ants Extermination Service Quote

Ants Extermination services connect homeowners with local pest control providers experienced in eliminating ant infestations in residential and commercial properties. These professionals assess the extent of the ant problem and implement targeted treatment methods to address the issue effectively.

Ants Prevention specialists help prevent future ant invasions by inspecting property conditions and recommending maintenance or modifications to reduce attractants. They provide advice on sealing entry points and managing food sources to keep ants out.

Residential Ant Control services focus on addressing ant problems within homes, including kitchens, basements, and living areas, ensuring a safe and pest-free environment for families. Local pros tailor treatments to the specific types of ants present and property layouts.

Commercial Ant Management services assist business owners in controlling ant populations in commercial spaces such as restaurants, offices, and warehouses. These providers follow protocols suitable for maintaining hygiene standards and preventing disruptions.

Eco-Friendly Ant Extermination options are available through local providers who use environmentally conscious methods and products to manage ant problems responsibly. These services are suitable for clients seeking effective pest control with minimal environmental impact.

Emergency Ant Pest Control services are offered by local pest control providers to address urgent ant infestations that require immediate attention. They respond promptly to minimize the impact of unexpected ant invasions.

Ants Extermination Service

When selecting a professional for ant extermination services, it is important to consider the experience and reputation of local service providers. Homeowners should look for pros who have established a history of effective ant control in the community, as this can indicate familiarity with common local ant species and effective treatment methods. Reputable references or reviews from previous clients can offer insights into the quality of service, reliability, and results achieved by the provider, helping homeowners make informed decisions.

Clear communication and well-defined expectations are essential when working with a pest control professional. Pros should be transparent about their process, including the methods used, areas to be treated, and any preparations required before service. Homeowners are encouraged to ask questions and seek detailed information to ensure the scope of work aligns with their needs. Establishing a mutual understanding upfront can help prevent misunderstandings and ensure a smoother service experience.

It is also beneficial to consider how local pros introduce themselves and maintain ongoing communication. Reliable service providers typically provide straightforward contact options and respond promptly to inquiries. They should be able to explain their services clearly and provide guidance on what homeowners can expect during and after treatment. Since the site connects users with local professionals rather than performing the work directly, it is recommended to contact multiple providers to compare their experience, communication style, and reputation before making a decision.

Get an Ants Extermination Service Quote

Property owners in Dolton, IL use Ants Extermination Service services for practical projects around their homes and businesses. The sections below highlight everyday jobs and straightforward project options.

Ants Extermination Service
Ants Extermination Service

Ants extermination services are commonly sought after by property owners in Dolton, IL, facing persistent ant invasions. These small pests can quickly become a nuisance, especially when they invade kitchens, dining areas, or other parts of a home or business. Local service providers can help identify the source of the problem and implement effective treatment plans to eliminate existing colonies and prevent future infestations.

Property owners might also look for ant extermination services following seasonal changes or after noticing increased ant activity outdoors. Ants often enter buildings in search of food or shelter, making regular inspections and targeted treatments important for maintaining a pest-free environment. Connecting with local professionals can assist in managing these common issues efficiently and effectively.

Get an Ants Extermination Service Quote

How do ant extermination services work? Ant extermination services typically involve inspecting the property to identify ant entry points and nests, followed by applying targeted treatments to eliminate the colony and prevent future infestations.

Are ant extermination treatments safe for pets and children? Many local pros use treatments that are safe for pets and children when applied according to safety guidelines; it’s advisable to discuss safety concerns with the service provider.

How long does an ant extermination treatment last? The duration of effectiveness varies depending on the treatment method and extent of the infestation, with some treatments providing long-term control when combined with proper sanitation.

Can ant extermination services prevent future infestations? Yes, professional services often include recommendations and treatments aimed at reducing the likelihood of future ant problems.

What should I do before a pest control appointment? It’s recommended to clear the treatment area of food, dishes, and personal items, and inform the service provider of any specific concerns or areas of activity.

Ant Control Solutions - Local pest control providers can assess your property and implement targeted treatments to eliminate ant infestations effectively.

Preventative Ant Extermination - Professionals can identify and seal entry points to help prevent future ant invasions around your home or business.

Eco-Friendly Ant Removal Options - Service providers may offer environmentally conscious methods to manage ant problems without harmful chemicals.

Ongoing Ant Management Plans - Customized plans can be developed to monitor and maintain ant-free environments over time.

Ants Extermination Service

Considering Ants Extermination Service for a property in Dolton, IL? The sections above highlight common project types, practical options, and details that often shape the scope of work.

When you are ready, use the quote form to share a few details about your project. Local pros can review the basics and respond with options that match what you have in mind.

Get an Ants Extermination Service Quote

Ants Extermination Quotes