Local Service Overview

Get Ants Extermination Service in Des Plaines, IL

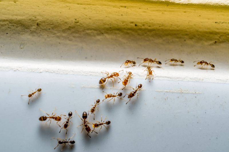
Ants extermination services for property owners in Des Plaines, IL, and nearby areas address ant infestations, including residential and commercial pest removal and prevention projects.

Des Plaines, IL

Ants extermination services are essential for property owners in Des Plaines, IL who want to maintain a comfortable and safe living environment. Ant invasions can disrupt daily routines, damage structures, and pose health concerns, making prompt and effective removal a priority. Professional exterminators utilize targeted methods to eliminate ant colonies, helping to restore peace of mind and ensure the functionality of indoor and outdoor spaces.

Choosing expert ant extermination offers several benefits, including increased durability of property features and reduced ongoing maintenance needs. Proper treatment not only eradicates current infestations but also helps prevent future ones, enhancing curb appeal by keeping landscapes and entry points clean and pest-free. This comprehensive approach supports long-term comfort and safety for residents and visitors alike.

Get Ants Extermination Service Quotes

  • Ants Extermination Services are needed when ants invade residential or commercial properties in Des Plaines, IL and surrounding areas.
  • Ant control solutions are essential if there are persistent ant trails or large colonies nearby.
  • Professional ant extermination is advised when ants threaten food storage areas or kitchen spaces.
  • Ant removal services are useful for preventing further infestations in homes and businesses in the region.
  • Pest control providers can assist with ant problems that occur during warmer months or after heavy rains.

Get Ants Extermination Service Quotes

Ants Extermination Service
Ants Extermination Service
Ants Extermination Service

Ants extermination services involve identifying and eliminating ant infestations within residential, commercial, or industrial properties. Professional pest control providers typically conduct thorough inspections to determine the species involved and the extent of the problem. Treatment methods may include the application of targeted baits, insecticides, or other specialized products designed to eradicate ants at their source. The goal is to not only remove visible ants but also to address the underlying factors that attract them, helping to prevent future invasions.

These services help solve common issues caused by ant infestations, such as property damage, contamination of food supplies, and general nuisance. Certain ant species, like carpenter ants, can compromise the structural integrity of wood components in buildings, leading to costly repairs if left untreated. Additionally, ants can be a persistent annoyance, especially when they invade kitchens, pantries, or outdoor living areas. Professional extermination services aim to provide effective solutions that restore comfort and hygiene to affected spaces.

Properties that typically utilize ants extermination services include private homes, apartment complexes, restaurants, retail stores, and office buildings. Residential properties often seek treatment to protect food storage areas and prevent ant trails from spreading throughout living spaces. Commercial establishments, especially those involved in food service or retail, prioritize pest control to maintain sanitation standards and comply with health regulations. In outdoor settings, such as gardens or patios, professionals can implement barrier treatments or bait stations to manage ant populations effectively.

Engaging with local pest control providers for ant extermination services offers a tailored approach to managing infestations based on the specific needs of each property. These professionals assess the severity of the problem, identify the ant species involved, and recommend appropriate treatment methods. Whether dealing with a minor nuisance or a more extensive infestation, contacting experienced service providers ensures that effective and targeted solutions are implemented to address ant issues efficiently.

The overview below groups typical Ants Extermination Service projects into broad ranges so you can see how smaller, mid-sized, and larger jobs often compare in Des Plaines, IL.

In many markets, a large share of routine jobs stays in the lower and middle ranges, while only a smaller percentage of projects moves into the highest bands when the work is more complex or site conditions are harder than average.

Initial Inspection - The cost for an ant inspection typically ranges from $50 to $150, depending on the property size and complexity. Some providers may include a basic assessment within a service package. Exact prices can vary based on local market rates.

Per-Barrier Treatment - Applying ant barriers generally costs between $100 and $250 per treatment session. This price often depends on the extent of the infestation and the number of areas treated. Larger or more severe infestations may incur higher costs.

Full-Service Extermination - Complete ant extermination services usually range from $200 to $500 for a comprehensive treatment plan. Costs vary based on property size, type of treatment, and severity of the ant problem. Some providers offer package deals for ongoing pest management.

Ongoing Maintenance - Regular pest control visits for ant prevention can cost between $50 and $150 per visit. Frequency of visits and property size influence the overall expense. Local pros can provide customized plans based on specific needs.

Actual totals will depend on details like access to the work area, the scope of the project, and the materials selected, so use these as general starting points rather than exact figures.

Get an Ants Extermination Service Quote

Ants Extermination - Local service providers offer targeted treatments to eliminate ant colonies and prevent future infestations in residential and commercial properties.

Ants Prevention - Pros can assess property conditions to identify and address entry points, reducing the likelihood of ant invasions over time.

Ants Inspection - Professionals conduct thorough inspections to locate ant nests and determine the extent of an infestation for effective treatment planning.

Ants Barrier Treatments - Service providers apply barrier solutions around structures to create a protective perimeter that deters ants from entering.

Ants Baiting Services - Local experts set up bait stations to attract and eliminate ants at the source, reducing colony size gradually.

Ants Removal Consultation - Specialists provide advice on integrated pest management strategies to control and prevent ant problems effectively.

Ants Extermination Service

When choosing a professional for ant extermination services, experience is an important factor to consider. Local providers often have extensive knowledge of common ant species in the area and understand the most effective treatment methods specific to the region. Pros with a history of successfully handling ant infestations in nearby communities can offer insights into the best approaches for your particular situation, helping to ensure the problem is addressed efficiently and effectively.

Clear communication and written expectations are essential when working with a pest control service. Reputable local pros typically provide detailed information about their treatment plans, what homeowners can expect during and after the service, and any necessary follow-up steps. Having this information in writing can help prevent misunderstandings and ensure that homeowners are fully informed about the scope and process of the extermination effort.

Reputable references and a track record of positive interactions are indicators of a trustworthy service provider. Local pros often have established relationships within the community and can offer references or testimonials from previous clients. Additionally, good communication practices-such as prompt responses, clarity in explanations, and transparency about services-are signs that a pest control provider values professionalism. These qualities can help homeowners feel confident in their choice of a local ant extermination specialist.

Get an Ants Extermination Service Quote

Property owners in Des Plaines, IL use Ants Extermination Service services for practical projects around their homes and businesses. The sections below highlight everyday jobs and straightforward project options.

Ants Extermination Service
Ants Extermination Service

Ants extermination services are often sought by property owners in Des Plaines, IL, facing persistent ant issues inside or around their homes. Common situations include spotting trails of ants in kitchens, bathrooms, or other areas where food is stored, which can signal an ongoing infestation. Property owners may also notice increased ant activity during warmer months, prompting them to seek professional assistance to eliminate the problem effectively and prevent future invasions.

In addition to visible ant activity, property owners might look for extermination services when they want to protect their homes from potential damage caused by certain ant species, such as carpenter ants that can compromise structural wood. Regular inspections and targeted treatments by local pest control providers can help maintain a clean and pest-free environment, especially in areas prone to ant activity due to nearby greenery or food sources.

Get an Ants Extermination Service Quote

How do ant extermination services work? Ant extermination services typically involve inspecting the property to identify ant entry points and nests, then applying targeted treatments to eliminate the colony and prevent future infestations.

Are ant extermination treatments safe for pets and children? Most ant extermination methods used by local professionals are designed to be safe when applied according to instructions; it’s best to consult with the service provider about specific concerns.

How long does an ant extermination treatment usually last? The duration of effectiveness can vary depending on the treatment method and the extent of the infestation, but many services offer ongoing prevention options.

What signs indicate a need for ant extermination? Signs include visible ant trails, nests near the foundation, or increased ant activity indoors or outdoors around the property.

Can ant extermination prevent future infestations? Yes, professional services often include strategies to reduce the likelihood of future ant problems through ongoing prevention measures.

Ant Control Solutions - Local pest control providers offer targeted treatments to eliminate ants and prevent future infestations.

Inspection and Identification - Professionals can assess property conditions to identify ant species and pinpoint nesting sites.

Barrier and Bait Treatments - Service providers utilize effective barriers and bait systems to control ant populations around homes.

Ongoing Monitoring and Prevention - Local experts can develop customized plans to monitor ant activity and implement preventative measures.

Ants Extermination Service

Considering Ants Extermination Service for a property in Des Plaines, IL? The sections above highlight common project types, practical options, and details that often shape the scope of work.

When you are ready, use the quote form to share a few details about your project. Local pros can review the basics and respond with options that match what you have in mind.

Get an Ants Extermination Service Quote

Ants Extermination Quotes