Local Service Overview

Get Ants Extermination Service in Delavan, WI

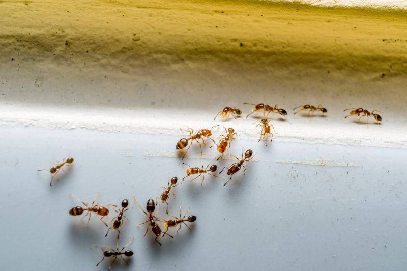
Ants extermination services for property owners in Delavan, WI, and nearby areas address ant infestations, prevent future invasions, and handle residential and commercial pest control projects.

Delavan, WI

Ants extermination services in Delavan, WI are essential for property owners seeking to maintain a comfortable and hygienic living or working environment. Effective removal helps prevent infestations that can disrupt daily routines, cause property damage, and compromise sanitation. By addressing ant problems promptly, property owners can enjoy peace of mind knowing their spaces remain functional, safe, and free from pests that might otherwise lead to increased maintenance needs or structural issues over time.

Choosing professional ant extermination can also enhance curb appeal by ensuring outdoor areas and entry points are clear of unsightly nests and trails. This not only boosts the aesthetic value of a property but also contributes to its durability by reducing the risk of ants causing damage to wood, wiring, or insulation. Overall, investing in expert pest control services supports long-term property preservation, providing a safer and more enjoyable environment for residents and visitors alike.

Get Ants Extermination Service Quotes

  • Ants Infestation Control - when signs of an ant colony are found inside a home or business in Delavan, WI, professional extermination services can help eliminate the problem.
  • Kitchen and Pantry Ants Removal - if ants are invading food storage areas in nearby towns, local pros can provide targeted treatment to protect pantry supplies.
  • Outdoor Ant Control - when ant mounds appear around yards or garden beds in the Delavan area, pest control specialists can address the outdoor colonies effectively.
  • Ant Nest Extermination - in cases where large ant nests are located beneath structures or in lawns, local service providers can perform thorough treatments to eradicate them.
  • Preventative Ant Treatments - for ongoing protection against future ant invasions in Delavan and surrounding communities, pest control experts can implement preventative measures.

Get Ants Extermination Service Quotes

Ants Extermination Service
Ants Extermination Service
Ants Extermination Service

Ants extermination services involve identifying and eliminating ant infestations within residential, commercial, and industrial properties. Professional pest control providers typically conduct thorough inspections to locate ant colonies and determine the species involved. Treatment options may include targeted baiting, residual insecticides, and barrier applications designed to eradicate existing colonies and prevent future invasions. These services aim to address the root causes of ant problems, reducing the likelihood of recurring issues and minimizing the impact on property occupants.

Ant infestations can cause various problems for property owners, including structural damage, contamination of food supplies, and general nuisance. Certain ant species, such as carpenter ants, are known to damage wood structures, potentially compromising the integrity of buildings. Additionally, ants can contaminate food stored in pantries or kitchen areas, leading to health concerns and increased cleaning needs. Exterminating ants promptly helps mitigate these issues, creating a cleaner and safer environment for residents or employees.

Properties that frequently utilize ants extermination services include homes, restaurants, grocery stores, and office buildings. Residential properties often seek pest control to protect their living spaces from infestation and damage. Commercial properties, especially those involved in food handling or storage, prioritize pest management to maintain hygiene standards and comply with health regulations. Warehouses and manufacturing facilities may also require regular inspections and treatments to prevent large-scale infestations that could disrupt operations.

Professional ant extermination services are designed to be adaptable across various property types and sizes. Whether dealing with small residential homes or large commercial complexes, local service providers tailor their approaches to effectively manage ant populations. These services typically involve a combination of inspection, targeted treatments, and preventative measures to ensure long-term control. Engaging with experienced pest control professionals can help property owners maintain a pest-free environment and address ant problems efficiently.

The overview below groups typical Ants Extermination Service projects into broad ranges so you can see how smaller, mid-sized, and larger jobs often compare in Delavan, WI.

In many markets, a large share of routine jobs stays in the lower and middle ranges, while only a smaller percentage of projects moves into the highest bands when the work is more complex or site conditions are harder than average.

Initial Inspection - The cost for an ant inspection typically ranges from $50 to $150, depending on property size and complexity. Some providers may charge a flat fee or include it as part of the treatment estimate.

Basic Treatment - Standard ant extermination services usually cost between $100 and $300. This covers treatment of small to medium-sized areas with a single application.

Comprehensive Treatment - For larger properties or severe infestations, prices can range from $300 to $600. Multiple visits or advanced treatment methods may be included in this range.

Follow-up Services - Follow-up treatments generally cost between $75 and $200 per visit. These are recommended to ensure the complete elimination of ant colonies and prevent re-infestation.

Actual totals will depend on details like access to the work area, the scope of the project, and the materials selected, so use these as general starting points rather than exact figures.

Get an Ants Extermination Service Quote

Ants Extermination - Local pest control providers offer specialized services to eliminate ant infestations in residential and commercial properties in Delavan, WI and nearby areas.

Ants Inspection and Identification - Professionals conduct thorough inspections to identify ant species and determine the extent of the infestation for targeted treatment.

Ants Prevention Solutions - Service providers recommend and implement preventive measures to reduce the likelihood of future ant problems around properties.

Ants Baiting and Trapping - Local pros utilize baiting and trapping techniques to control ant colonies effectively without excessive use of chemicals.

Ants Removal for Restaurants and Food Establishments - Commercial pest control experts assist food service businesses in maintaining ant-free environments to comply with health standards.

Emergency Ants Extermination Services - Immediate response options are available from local providers for urgent ant infestation issues requiring prompt attention.

Ants Extermination Service

When selecting a professional for ant extermination services, it is important to consider the experience of local providers. Established contractors often have a history of handling various ant infestations, which can contribute to effective and efficient treatments. Homeowners may want to inquire about the duration of a provider’s experience in their area, as familiarity with local ant species and common nesting sites can influence the success of the service.

Clear communication and well-defined expectations are key factors when working with local pros. Reputable service providers typically provide detailed information about their process, what homeowners can expect during treatment, and any necessary follow-up steps. Ensuring that the chosen professional communicates openly and responds to questions can help create a smoother service experience and reduce uncertainties.

References and reputation are valuable considerations when comparing local ant extermination specialists. Homeowners can seek out recommendations or reviews from previous clients to gauge the reliability and quality of a provider’s work. Reliable local pros often have established reputations within the community, which can be verified through online reviews or word-of-mouth referrals. This helps ensure that the selected service provider is reputable and capable of meeting the specific pest control needs of the home.

Get an Ants Extermination Service Quote

Property owners in Delavan, WI use Ants Extermination Service services for practical projects around their homes and businesses. The sections below highlight everyday jobs and straightforward project options.

Ants Extermination Service
Ants Extermination Service

Ants extermination services are commonly sought after by property owners in Delavan, WI, who notice persistent ant activity around their homes or businesses. Ant invasions can occur due to seasonal changes, food spills, or easy access points that allow these insects to enter indoor and outdoor spaces. Property owners may seek professional assistance to effectively eliminate existing colonies and prevent future infestations, especially in areas where ants pose a nuisance or threaten food storage and cleanliness.

In addition to seasonal surges, property owners might look for ant extermination services after discovering ant trails or nests in their yards, kitchens, or basements. Common reasons include the desire to maintain a tidy, pest-free environment or to address recurring ant problems that impact daily routines. Local service providers can offer targeted treatments and advice to help manage ant populations and protect the property from future invasions.

Get an Ants Extermination Service Quote

How do ant extermination services work? Ant extermination services typically involve inspecting the property to identify ant activity and entry points, then applying targeted treatments to eliminate colonies and prevent future infestations.

Are ant treatments safe for pets and children? Most professional ant treatments are designed to be safe when applied by trained service providers, but it’s recommended to follow any specific safety instructions provided during the service.

How long does an ant extermination treatment last? The effectiveness duration can vary depending on the treatment method and the severity of the infestation; a local service provider can offer guidance on follow-up needs.

What should I do to prepare for ant extermination services? Preparing may include clearing the area of clutter near ant activity, sealing food items, and informing the service provider of any specific concerns or known entry points.

Can ant extermination prevent future infestations? Yes, professional treatments often include recommendations and strategies to help prevent future ant problems in the treated area.

Ants Extermination Solutions - Local pest control providers offer targeted treatments to eliminate ant colonies and prevent future infestations.

Inspection and Identification - Professionals can assess property conditions to identify ant species and pinpoint entry points for effective removal.

Preventive Strategies - Service providers recommend sealing entry points and removing attractants to reduce the likelihood of ant re-infestation.

Ongoing Monitoring Services - Regular inspections and treatments help maintain ant-free environments and address new activity promptly.

Ants Extermination Service

Considering Ants Extermination Service for a property in Delavan, WI? The sections above highlight common project types, practical options, and details that often shape the scope of work.

When you are ready, use the quote form to share a few details about your project. Local pros can review the basics and respond with options that match what you have in mind.

Get an Ants Extermination Service Quote

Ants Extermination Quotes