Local Service Overview

Get Ants Extermination Service in Cincinnati, OH

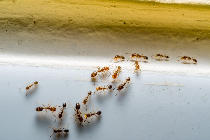
Ants extermination services for Cincinnati, OH, and nearby areas address ant infestations, including residential and commercial treatments for kitchens, basements, and outdoor spaces.

Cincinnati, OH

Ants extermination services provide property owners in Cincinnati, OH with an effective solution to manage and prevent ant infestations. These services help maintain a comfortable living or working environment by eliminating unwanted pests that can invade homes, offices, or outdoor spaces. By addressing ant problems promptly, property owners can enjoy peace of mind, knowing that their spaces are protected from potential damage and disruption caused by these persistent insects.

Engaging professional ant extermination services also offers benefits such as enhanced safety and improved curb appeal. Proper treatment methods reduce the likelihood of recurring invasions, resulting in less ongoing maintenance and cleanup. Additionally, a pest-free exterior and interior contribute to a more attractive property, supporting overall functionality and ensuring spaces remain inviting and safe for residents, visitors, or customers.

Get Ants Extermination Service Quotes

  • Ants Extermination Services are essential when homeowners notice ants invading kitchens or living spaces in Cincinnati, OH and surrounding areas.
  • These services are needed if there are persistent ant trails or colonies found outdoors near residential properties.
  • Professional ant extermination is recommended when ant activity is observed in commercial buildings or office spaces.
  • Services can help eliminate large ant infestations in crawl spaces, basements, or wall voids in nearby neighborhoods.
  • Ant control solutions are suitable when ants are seen entering through cracks, doorways, or window frames around the property.

Get Ants Extermination Service Quotes

Ants Extermination Service
Ants Extermination Service
Ants Extermination Service

Ants extermination services involve targeted treatments to eliminate ant colonies and prevent future infestations. These services typically include thorough inspections to identify ant entry points and nesting sites, followed by the application of specialized insecticides or baiting systems. The goal is to reduce ant populations effectively while minimizing disruption to the property. Professionals may also provide advice on sanitation and structural repairs to help prevent ants from returning.

Ant infestations can pose various problems for homeowners and property managers. Ants can contaminate food supplies, damage structures by nesting in wood or insulation, and create unsightly trails that affect the appearance of indoor and outdoor spaces. In some cases, certain ant species, such as fire ants, can pose health risks through painful stings or allergic reactions. Exterminating these pests helps restore comfort and safety within the property, reducing the likelihood of recurring issues.

Commercial and residential properties commonly seek ant extermination services. Residential properties, including single-family homes, apartments, and condominiums, often require treatment in kitchens, basements, and outdoor areas where ants tend to forage. Commercial buildings, such as restaurants, grocery stores, and office complexes, also benefit from professional pest control to maintain hygiene standards and comply with health regulations. Additionally, property management companies may regularly schedule ant control services to keep multiple units pest-free.

Professional ant extermination services are tailored to the specific needs of each property. Treatments are designed to target the particular ant species present and the severity of the infestation. Service providers often offer ongoing maintenance plans or one-time treatments depending on the situation. By working with local pest control experts, property owners can effectively address ant problems and implement preventative measures to keep their spaces ant-free over time.

The overview below groups typical Ants Extermination Service projects into broad ranges so you can see how smaller, mid-sized, and larger jobs often compare in Cincinnati, OH.

In many markets, a large share of routine jobs stays in the lower and middle ranges, while only a smaller percentage of projects moves into the highest bands when the work is more complex or site conditions are harder than average.

Initial Inspection - The cost for an ant extermination inspection typically ranges from $50 to $150, depending on property size and complexity. This fee covers identifying ant types and infestation severity. Some providers include the inspection as part of the treatment package.

Per-Visit Treatment - Single-treatment services generally cost between $100 and $300. This includes applying ant baits, sprays, or dusts to targeted areas, with prices varying by property size and infestation level. Multiple visits may be necessary for persistent colonies.

Ongoing Maintenance - Monthly or quarterly pest control plans for ant prevention usually cost from $40 to $70 per visit. These plans often include regular treatments and monitoring to help prevent future infestations. The total cost depends on the frequency and extent of services needed.

Whole-Property Extermination - Complete ant eradication for larger properties can range from $200 to $600 or more. This comprehensive service involves extensive treatment of indoor and outdoor areas and may include multiple visits. Costs vary based on property size and infestation complexity.

Actual totals will depend on details like access to the work area, the scope of the project, and the materials selected, so use these as general starting points rather than exact figures.

Get an Ants Extermination Service Quote

Ants Extermination services help eliminate ant colonies from residential and commercial properties, preventing further infestations. Local pros utilize targeted treatment methods to address ant problems effectively.

Ants Inspection and Consultation services involve assessing infested areas to identify ant species and nesting sites, enabling focused treatment plans. Professionals provide advice on preventing future ant issues.

Ants Baiting and Trapping services involve placing bait stations to attract and eliminate ants at their source, reducing the colony over time. Local experts ensure proper placement for optimal results.

Ants Prevention and Barrier Services include applying barriers around structures to deter ants from entering, along with recommendations for sealing entry points. These services aim to minimize recurring infestations.

Ants Removal for Commercial Properties services target business environments experiencing ant problems, with tailored solutions to protect inventory and maintain hygiene standards. Local pros adapt treatments to specific commercial needs.

Ants Emergency Extermination services provide rapid response for severe ant infestations, focusing on quick and effective removal to restore comfort and safety. Local specialists are equipped to handle urgent situations.

Ants Extermination Service

When comparing ant extermination services, it’s important to consider the experience of local professionals. Established providers often have a history of handling various ant infestations, which can contribute to more effective and efficient treatments. Homeowners may want to inquire about how long a prospective service provider has been operating in Cincinnati or nearby areas, as well as their familiarity with common ant species and local conditions. Experienced pros are typically better equipped to assess the extent of an infestation and recommend appropriate solutions tailored to the specific needs of the home.

Clear written expectations are essential when choosing an ant extermination service. Reputable local providers usually outline their treatment methods, the scope of work, and any necessary follow-up procedures in detailed service descriptions or estimates. Homeowners should seek providers who communicate openly about what the treatment entails, what results to expect, and any precautions that might be necessary. Transparent communication helps ensure that there are no surprises and that the homeowner understands the process from start to finish.

Reputable references and good communication are key indicators of a reliable local service provider. Homeowners can ask for references or reviews from previous clients to gauge the quality of the work and customer satisfaction. Additionally, responsive and clear communication from the provider-whether through email, messaging, or in-person consultations-can reflect their professionalism and dedication to customer service. While the site introduces local options, it is important to evaluate each pros’ reputation and communication style directly to find a provider that aligns with the homeowner’s expectations.

Get an Ants Extermination Service Quote

Property owners in Cincinnati, OH use Ants Extermination Service services for practical projects around their homes and businesses. The sections below highlight everyday jobs and straightforward project options.

Ants Extermination Service
Ants Extermination Service

Ants extermination services are commonly sought by property owners in Cincinnati, OH, facing persistent ant infestations in residential or commercial spaces. These situations often arise when ants invade kitchens, pantry areas, or other indoor spaces, attracted by food sources or moisture. Property owners may look for professional assistance to effectively eliminate the colony and prevent future invasions, especially when DIY methods prove ineffective or the problem worsens over time.

In addition to indoor concerns, outdoor ant issues such as mounds near foundations, gardens, or patios can prompt property owners to seek extermination services. These services help address the root of the problem, reducing the risk of ants migrating indoors or causing damage to landscaping. Local professionals can assess the extent of the infestation and recommend targeted treatments to restore comfort and safety to the property.

Get an Ants Extermination Service Quote

How do ant extermination services work? Ant extermination services typically involve inspecting the property, identifying ant species and entry points, and applying targeted treatments to eliminate colonies and prevent future infestations.

Are ant extermination treatments safe for pets and children? Many professional ant control methods are designed to be safe for households, but it is recommended to consult with local service providers about specific treatments and safety precautions.

How long does an ant extermination treatment last? The duration of effectiveness varies depending on the treatment used and the severity of the infestation; local pros can provide guidance on follow-up or maintenance options.

Can ant extermination services prevent future infestations? Yes, professional treatments often include recommendations for ongoing prevention and exclusion methods to reduce the likelihood of future ant problems.

How do I prepare my home for ant extermination services? Preparation may involve cleaning the home, removing food and water sources, and providing access to affected areas; specific instructions can be provided by local service providers.

Ants Extermination Services - Local pest control providers offer targeted treatments to eliminate ant infestations and prevent future outbreaks.

Inspection and Identification - Professionals conduct thorough inspections to identify ant species and determine the most effective extermination methods.

Barrier Treatments - Service providers apply barrier treatments around homes and structures to keep ants from entering indoor spaces.

Ongoing Monitoring - Experts can establish ongoing monitoring plans to ensure ant problems remain under control over time.

Ants Extermination Service

Considering Ants Extermination Service for a property in Cincinnati, OH? The sections above highlight common project types, practical options, and details that often shape the scope of work.

When you are ready, use the quote form to share a few details about your project. Local pros can review the basics and respond with options that match what you have in mind.

Get an Ants Extermination Service Quote

Slate Paver Installation Quotes