Local Service Overview

Get Ants Extermination Service in Chesterton, IN

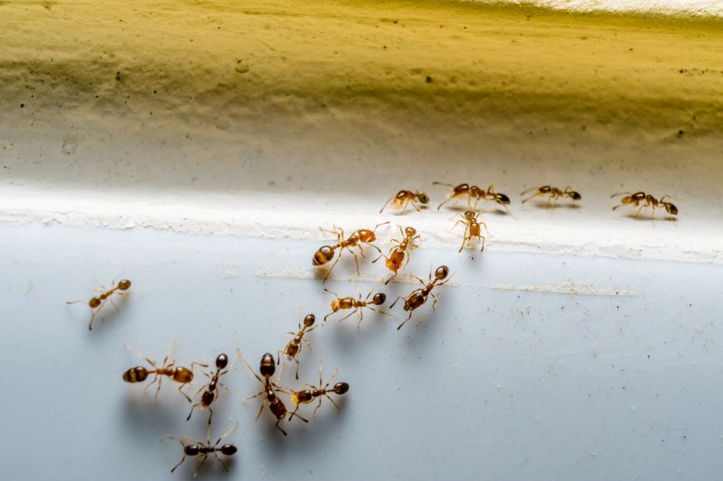
Ants extermination services for property owners in Chesterton, IN, and nearby areas address ant infestations, prevent future invasions, and handle residential and commercial pest control projects.

Chesterton, IN

Ants extermination services provide property owners in Chesterton, IN with effective solutions to manage and eliminate ant infestations. Addressing ant problems promptly can help maintain a comfortable living or working environment, preventing the discomfort and nuisance caused by these pests. Professional extermination helps ensure that properties remain functional and accessible, reducing the likelihood of damage or contamination that ants can cause to food supplies, fabrics, and structural elements.

Engaging local extermination services offers several benefits, including enhanced durability of property features and reduced ongoing maintenance needs. Proper treatment can help preserve the integrity of a building’s foundation and exterior, contributing to long-term curb appeal. By controlling ant populations effectively, property owners can enjoy peace of mind knowing their spaces are safer, cleaner, and better protected against future infestations.

Get Ants Extermination Service Quotes

  • Ants Extermination Services - needed when ants invade residential or commercial spaces in Chesterton, IN and nearby areas.
  • Ants Prevention Services - recommended for property owners seeking to protect buildings from future ant infestations.
  • Ants Inspection Services - useful for identifying ant activity and determining the extent of an infestation.
  • Ants Removal Services - appropriate when a significant ant presence requires professional elimination.
  • Ants Barrier Services - suitable for establishing ongoing defenses against ant entry around homes and businesses.

Get Ants Extermination Service Quotes

Ants Extermination Service
Ants Extermination Service
Ants Extermination Service

Ants extermination services involve identifying and eliminating ant infestations within residential, commercial, and industrial properties. Professionals typically conduct thorough inspections to determine the extent of the problem and locate ant colonies. Treatment methods may include targeted application of insecticides, baiting systems, and barrier treatments designed to eradicate ants at their source. These services aim to reduce ant populations effectively and prevent future invasions, helping property owners maintain a pest-free environment.

Ant infestations can cause various issues, including property damage, contamination of food supplies, and general discomfort. Certain ant species, such as carpenter ants, are known to damage wooden structures, leading to costly repairs if left untreated. Additionally, ants can be a nuisance, invading kitchens, pantries, and other areas where food is stored. Extermination services address these problems by removing the pests and implementing measures to minimize the risk of re-infestation, promoting a cleaner and safer living or working space.

Various types of properties utilize ants extermination services, ranging from private residences to commercial establishments. Homes in suburban neighborhoods or rural areas often seek assistance to eliminate ant colonies that threaten food storage and structural integrity. Businesses such as restaurants, grocery stores, and food processing facilities frequently require pest control to comply with health regulations and ensure a pest-free environment for customers and employees. Even larger facilities like warehouses or industrial sites may engage pest control providers to manage ant populations that could disrupt operations.

Professional ant extermination services are tailored to the specific needs of each property type and infestation severity. Local service providers assess the situation and recommend appropriate treatment plans to effectively control ant populations. Whether dealing with a small residential problem or a large-scale commercial challenge, these services focus on providing a comprehensive approach to pest management. Contacting local pros ensures that property owners receive expert assistance aimed at resolving ant issues efficiently and maintaining a pest-free environment.

The overview below groups typical Ants Extermination Service projects into broad ranges so you can see how smaller, mid-sized, and larger jobs often compare in Chesterton, IN.

In many markets, a large share of routine jobs stays in the lower and middle ranges, while only a smaller percentage of projects moves into the highest bands when the work is more complex or site conditions are harder than average.

Initial Inspection - The cost for an ant inspection typically ranges from $50 to $150, depending on the size of the property and the extent of the infestation. This fee covers a thorough assessment by local service providers in areas like Chesterton, IN. Additional treatments may incur separate charges.

Per-Visit Treatment - A single treatment visit can cost between $100 and $300, with prices varying based on the severity of the ant problem and property size. Many local pros offer one-time solutions for small to moderate infestations in nearby communities.

Ongoing Service Plans - Monthly or quarterly ant control plans generally range from $40 to $80 per visit, with total costs depending on the frequency and extent of the treatment. These plans are suited for properties requiring regular pest management in the Chesterton area.

Large Property or Commercial Rates - For larger properties or commercial spaces, costs can start at $300 and go up significantly based on size and complexity. Local service providers can provide tailored estimates for extensive ant extermination needs in the region.

Actual totals will depend on details like access to the work area, the scope of the project, and the materials selected, so use these as general starting points rather than exact figures.

Get an Ants Extermination Service Quote

Ants Extermination - Local pest control providers offer targeted solutions for eliminating ant infestations in residential and commercial properties. They assess the extent of the problem and implement effective treatment methods.

Ants Prevention - Service professionals can advise on preventative measures to reduce the likelihood of future ant problems, including sealing entry points and removing attractants.

Ants Inspection - Experts conduct thorough inspections to identify ant colonies and entry points, helping to develop a comprehensive extermination plan.

Ants Baiting - Local providers utilize baiting techniques to attract and eliminate ant colonies efficiently, minimizing the use of sprays and chemicals.

Ants Barrier Treatments - Professionals apply barrier treatments around structures to create a protective zone against invading ants.

Ants Removal - Contractors specialize in the safe and effective removal of ant colonies from indoor and outdoor spaces, restoring a pest-free environment.

Ants Extermination Service

When selecting a professional for ant extermination services, it is important to consider their experience in handling ant infestations specific to residential settings. Pros with a history of successfully managing local ant issues often understand the common species and effective treatment methods used in the Chesterton, IN area. Reviewing their background can provide insights into their familiarity with the challenges posed by local climates and ant behaviors, which can influence the effectiveness of the service.

Clear communication and well-defined expectations are essential when working with an extermination professional. Reputable providers typically outline the scope of work, treatment procedures, and any necessary preparations beforehand. This transparency helps homeowners understand what to expect during and after the service, reducing potential misunderstandings and ensuring the process aligns with the homeowner’s needs.

References and reputation play a significant role in evaluating local ant extermination providers. Trusted service providers often have a history of positive feedback from previous clients and can offer references upon request. It is beneficial to seek out local reviews or testimonials to gauge the quality of work and professionalism. Since this platform connects homeowners with local service providers, it is recommended to contact multiple pros directly to compare their experience, communication style, and references before making a decision.

Get an Ants Extermination Service Quote

Property owners in Chesterton, IN use Ants Extermination Service services for practical projects around their homes and businesses. The sections below highlight everyday jobs and straightforward project options.

Ants Extermination Service
Ants Extermination Service

Ants extermination services are commonly sought by property owners in Chesterton, IN when they notice an ant infestation inside or around their homes. Common situations include discovering ant trails in kitchens, bathrooms, or basements, which can indicate a growing colony. Property owners may also seek professional help after attempting DIY methods that do not eliminate the problem, or when ants begin to invade food storage areas, making it difficult to maintain cleanliness and comfort.

Many property owners look for ant extermination services to address recurring issues or prevent future invasions. Factors such as seasonal changes, nearby landscaping, or construction work can increase the likelihood of ant activity. Engaging local pros can help identify the source of the infestation and implement targeted solutions to protect the property’s interior and exterior from ongoing ant problems.

Get an Ants Extermination Service Quote

How do ant extermination services work? Ant extermination services typically involve identifying ant species and nesting areas, then applying targeted treatments to eliminate colonies and prevent future infestations.

Are the treatments safe for pets and children? Many ant extermination methods are designed to be safe for households, but it is recommended to consult with a local service provider about specific products used.

How long does an ant extermination treatment last? The duration of effectiveness varies depending on the treatment type and severity of the infestation; a local expert can provide guidance tailored to the situation.

Can ant extermination services prevent future infestations? Yes, professional services often include inspection and preventative measures to reduce the likelihood of ants returning.

How can I prepare my home for ant extermination? Preparing may involve clearing food and clutter from treatment areas and informing the service provider of visible ant activity for effective treatment planning.

Ants Identification and Prevention - Local pest control experts can assess ant activity and recommend preventative measures to reduce future infestations.

Ant Extermination Treatments - Professionals utilize targeted treatments to eliminate ant colonies and minimize the risk of recurring issues.

Infestation Monitoring and Follow-up - Ongoing inspection services help ensure ant problems are fully resolved and do not return.

Customized Pest Control Plans - Service providers develop tailored strategies based on the specific ant species and property conditions.

Ants Extermination Service

Considering Ants Extermination Service for a property in Chesterton, IN? The sections above highlight common project types, practical options, and details that often shape the scope of work.

When you are ready, use the quote form to share a few details about your project. Local pros can review the basics and respond with options that match what you have in mind.

Get an Ants Extermination Service Quote

Ants Extermination Quotes