Local Service Overview

Get Ants Extermination Service in Arlington, TX

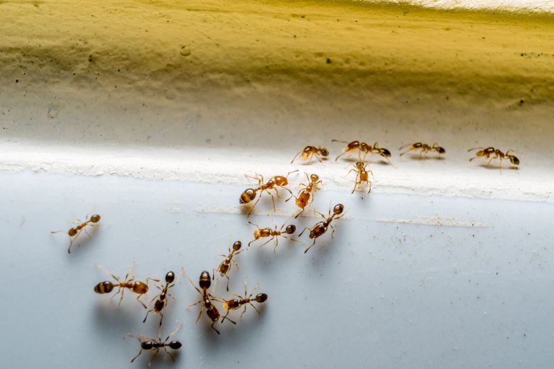
Ants extermination services for Arlington, TX property owners address ant infestations, eliminate colonies, and handle residential and commercial ant control projects.

Arlington, TX

Ants extermination services are essential for property owners in Arlington, TX seeking to maintain a comfortable and safe living environment. Effective pest control helps prevent ant infestations that can disrupt daily routines, cause property damage, and compromise hygiene. By addressing ant problems promptly, homeowners can enjoy a more functional space with reduced concerns about unwanted pests, enhancing overall living conditions and preserving the durability of their property.

Choosing professional ant extermination also offers benefits related to curb appeal and long-term maintenance. Proper treatment can prevent recurring issues, minimizing the need for frequent repairs or cleanups. This not only helps maintain a neat and attractive exterior but also supports the property's overall value. Engaging experienced service providers ensures that treatments are thorough and tailored to specific needs, providing peace of mind and a more enjoyable, pest-free environment.

Get Ants Extermination Service Quotes

  • Ants Extermination - Assistance may be needed when ants invade kitchens or living areas in Arlington, TX and surrounding communities.
  • Ants Extermination - Professionals can help address persistent ant infestations in residential or commercial properties.
  • Ants Extermination - Services are useful if ants are found nesting outdoors near homes or in yard spaces.
  • Ants Extermination - Contacting local experts is recommended when ant trails are seen crossing entry points or foundation areas.
  • Ants Extermination - Assistance might be required when ant colonies have spread into hard-to-reach places inside a property.

Get Ants Extermination Service Quotes

Ants Extermination Service
Ants Extermination Service
Ants Extermination Service

Ants extermination services involve identifying and eliminating ant infestations within residential or commercial properties. Professionals typically conduct a thorough inspection to determine the extent of the problem and locate the ant colonies. Treatment methods may include targeted application of pesticides, baiting systems, and exclusion techniques to prevent future invasions. The goal is to effectively remove the ants and reduce the likelihood of recurring issues, ensuring the property remains ant-free.

Ant infestations can cause significant problems for property owners, including damage to structures, contamination of food supplies, and general nuisance. Certain species of ants, such as carpenter ants, are known to damage wood and compromise the integrity of buildings. Additionally, ants can be persistent and difficult to control without professional intervention, especially when colonies are hidden deep within walls or underground. Extermination services help address these issues by eradicating the source of the infestation and implementing preventive measures.

Properties that commonly utilize ants extermination services include residential homes, apartment complexes, restaurants, and retail stores. Homes with kitchens and food storage areas are particularly vulnerable to ant problems, making regular inspections and treatments important. Commercial properties, especially those involved in food preparation or service, often require ongoing pest management to comply with health standards and prevent business disruptions. Even outdoor spaces such as gardens and patios may benefit from targeted treatments to control ant populations around the property.

Professional ant extermination services provide tailored solutions based on the specific type of ant and the severity of the infestation. Local service providers are equipped with the knowledge and tools to handle various property types and infestation levels. Whether dealing with minor nuisances or severe infestations, contacting a local pest control professional can help ensure that the problem is managed efficiently and effectively, restoring comfort and safety to the property.

The overview below groups typical Ants Extermination Service projects into broad ranges so you can see how smaller, mid-sized, and larger jobs often compare in Arlington, TX.

In many markets, a large share of routine jobs stays in the lower and middle ranges, while only a smaller percentage of projects moves into the highest bands when the work is more complex or site conditions are harder than average.

Initial Inspection - The cost for an ant inspection typically ranges from $50 to $150, depending on the property size. Some providers may charge a flat fee or include it in the treatment package. This fee helps identify the extent of the ant infestation.

Basic Treatment - A standard ant extermination service can cost between $100 and $300. For example, a residential property in Arlington, TX might see prices around $150 for a one-time treatment. Additional treatments may incur extra charges.

Multiple Treatments - If ongoing treatments are needed, costs can increase to $200-$500 for several visits. Larger properties or severe infestations often require multiple applications over time to fully eliminate ants.

Preventive Services - Preventive ant control services generally range from $75 to $200 annually. These plans include regular inspections and barrier treatments to help keep ants from returning. Prices vary based on property size and service scope.

Actual totals will depend on details like access to the work area, the scope of the project, and the materials selected, so use these as general starting points rather than exact figures.

Get an Ants Extermination Service Quote

Ants Extermination services involve professionals who specialize in identifying and eliminating ant infestations in residential and commercial properties in Arlington, TX and nearby areas.

Local ant control experts utilize targeted treatment methods to effectively reduce ant populations and prevent future invasions.

These services often include inspection, baiting, and environmentally safe application techniques to address ant problems.

Contractors providing ant extermination can assist with both indoor and outdoor ant issues, ensuring comprehensive pest management.

Experts may also offer advice on preventing ant re-infestation and maintaining a pest-free environment.

Contacting local ant extermination providers can help determine the most appropriate treatment plan for specific property needs.

Ants Extermination Service

When comparing local ant extermination service providers, experience is a key factor to consider. Pros with a proven track record in pest control typically have extensive knowledge of ant behaviors and effective treatment methods. Homeowners can look for service providers who have been operating in the Arlington, TX area for several years, as this often indicates familiarity with local ant species and common infestation patterns. An experienced professional is more likely to understand the nuances of ant control, leading to more effective and lasting results.

Clear and written expectations are important to ensure that homeowners and service providers are aligned on the scope of work, treatment procedures, and follow-up protocols. Reputable local pros often provide detailed service descriptions and documentation outlining what treatments will be performed, any preparations needed beforehand, and recommendations for post-treatment care. Having these expectations in writing helps prevent misunderstandings and provides a reference point for both parties throughout the process.

Reputable references and strong communication practices can help homeowners feel confident in their choice of service provider. Local pros with positive references from previous clients demonstrate reliability and quality of work. Additionally, effective communication-whether through timely responses, thorough explanations, or transparency about services-can enhance the overall experience. Homeowners are encouraged to inquire about references and observe how promptly and clearly a professional communicates to ensure a smooth and satisfactory pest control experience.

Get an Ants Extermination Service Quote

Property owners in Arlington, TX use Ants Extermination Service services for practical projects around their homes and businesses. The sections below highlight everyday jobs and straightforward project options.

Ants Extermination Service
Ants Extermination Service

Ants extermination services are often sought by property owners in Arlington, TX, facing common household issues such as ant invasions in kitchens, bathrooms, or outdoor spaces. These infestations can result from food crumbs, moisture, or seasonal changes, prompting residents to seek professional assistance to eliminate the problem effectively and prevent future occurrences. Local service providers are typically contacted to assess the extent of the infestation and apply targeted treatments to restore comfort and safety within the home or business.

In addition to residential properties, commercial spaces in Arlington may require ant extermination to maintain a clean and pest-free environment for employees and customers. Property owners might look for professional services when ants are seen around entry points, food storage areas, or outdoor seating areas. Local pest control pros can provide tailored solutions to address specific needs, helping to reduce the risk of damage, contamination, or hygiene concerns associated with ant infestations.

Get an Ants Extermination Service Quote

How do ant extermination services work? Ant extermination services typically involve inspecting the property, identifying ant species and entry points, and applying targeted treatments to eliminate colonies and prevent future infestations.

Are ant treatments safe for pets and children? Most ant extermination methods used by local service providers are designed to be safe when applied according to instructions, but it is recommended to discuss concerns with the chosen contractor.

How long does an ant extermination treatment take? The duration of treatment varies depending on the severity of the infestation and the treatment method used; a professional can provide an estimate during the consultation.

Will I need multiple treatments to get rid of ants? Some ant infestations may require more than one treatment to fully eliminate all colonies and prevent recurrence, depending on the extent of the problem.

How can I prevent future ant problems? Local extermination professionals can advise on ongoing prevention strategies, such as sealing entry points and removing attractants around the property.

Ants Extermination Solutions - Local service providers offer targeted treatments to eliminate ant infestations effectively.

Inspection and Identification - Professionals can identify ant species and assess the extent of the problem for appropriate treatment options.

Preventive Strategies - Experts recommend ongoing measures to reduce the likelihood of future ant invasions around the property.

Customized Treatment Plans - Service providers develop tailored approaches to address specific ant issues and property needs.

Ants Extermination Service

Considering Ants Extermination Service for a property in Arlington, TX? The sections above highlight common project types, practical options, and details that often shape the scope of work.

When you are ready, use the quote form to share a few details about your project. Local pros can review the basics and respond with options that match what you have in mind.

Get an Ants Extermination Service Quote

Ants Extermination Quotes

Get Professional Services