Local Service Overview

Get Ants Extermination Service in Allen, TX

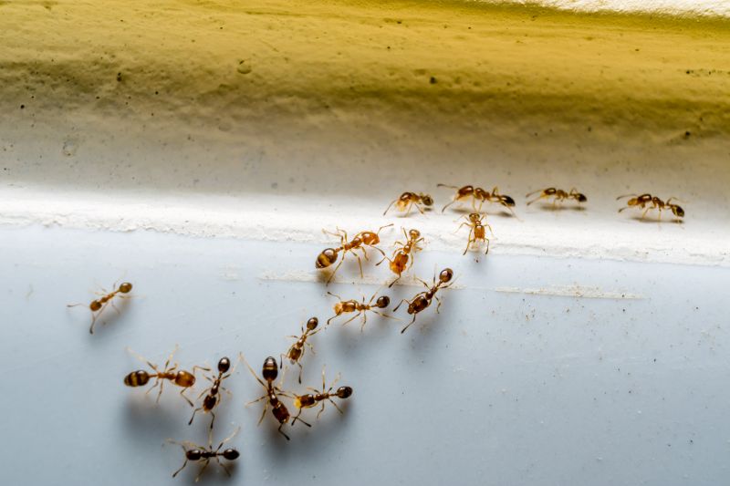
Ants extermination services for property owners in Allen, TX, and nearby areas address ant infestations, including removal, prevention, and treatment for residential and commercial properties.

Allen, TX

Ants extermination services are a practical solution for property owners in Allen, TX seeking to maintain a comfortable and functional living or working environment. Effective pest control helps prevent ant infestations that can disrupt daily routines, damage property structures, and contaminate food supplies. By addressing ant issues promptly, property owners can enjoy peace of mind knowing their spaces are safer, cleaner, and more enjoyable for residents, employees, or visitors.

Choosing professional ant extermination services also offers benefits related to durability and reduced maintenance. Proper treatment can eliminate current colonies and prevent future invasions, extending the lifespan of landscaping, foundations, and other structural elements. Additionally, a pest-free property enhances curb appeal, making it more inviting and visually appealing. This combination of safety, functionality, and aesthetic improvement makes professional ant control a valuable investment for property owners in the area.

Get Ants Extermination Service Quotes

  • Ants Extermination - Individuals experiencing ant infestations in their homes or businesses may seek professional extermination services.
  • Ants Extermination - Property owners dealing with persistent ant colonies in gardens or outdoor areas can benefit from expert treatment.
  • Ants Extermination - Those noticing ant activity near food storage or pantry areas might require specialized ant control solutions.
  • Ants Extermination - Residents in neighborhoods with recurring ant problems may contact local providers for ongoing pest management.
  • Ants Extermination - Commercial property managers addressing ant issues in office buildings or retail spaces may look for professional extermination services.

Get Ants Extermination Service Quotes

Ants Extermination Service
Ants Extermination Service
Ants Extermination Service

Ants extermination services involve identifying and eliminating ant infestations within residential, commercial, or industrial properties. These services typically include thorough inspections to determine the extent of the ant problem, followed by targeted treatment methods to eradicate colonies. Service providers may use various approaches such as baiting systems, liquid insecticides, or dust formulations to effectively reduce ant populations and prevent future invasions. The goal is to address the root of the infestation, ensuring that the ants are removed safely and efficiently.

This service helps resolve common issues associated with ant infestations, including property damage, contamination of food supplies, and general nuisance. Ants can invade kitchens, pantries, and other areas where food is stored, leading to hygiene concerns. Additionally, certain species, such as fire ants, pose risks of painful stings or allergic reactions. Extermination services help mitigate these problems by controlling and eliminating ant colonies, thereby reducing the risk of ongoing infestations and associated health or property concerns.

Properties that typically utilize ant extermination services range from single-family homes to larger commercial facilities. Residential properties often seek assistance to protect food storage areas and maintain a clean living environment. Commercial establishments, particularly restaurants, grocery stores, and food processing facilities, require regular pest management to comply with health standards and prevent business disruptions. Additionally, warehouses and storage units may also engage pest control providers to safeguard inventory from ant damage and contamination.

Professional ant extermination services are suitable for a variety of property types that experience recurring or severe ant problems. These services are often requested in areas where ant activity is persistent or where previous attempts at control have failed. Whether in suburban neighborhoods, apartment complexes, or commercial properties, local pest control providers offer tailored solutions to manage and eliminate ant populations effectively. Contacting a local professional can help property owners address ant issues promptly and maintain a pest-free environment.

The overview below groups typical Ants Extermination Service projects into broad ranges so you can see how smaller, mid-sized, and larger jobs often compare in Allen, TX.

In many markets, a large share of routine jobs stays in the lower and middle ranges, while only a smaller percentage of projects moves into the highest bands when the work is more complex or site conditions are harder than average.

Initial Inspection - The cost for an ant inspection typically ranges from $50 to $150, depending on the size of the property and complexity of the infestation. Some providers may include a basic assessment as part of a larger service package.

Perimeter Treatment - Treating the exterior perimeter of a home usually costs between $100 and $300. The price varies based on property size and the extent of ant activity around the foundation.

Interior Pest Control - Interior ant extermination services often range from $75 to $200 per treatment. This cost depends on the number of rooms and level of infestation inside the building.

Ongoing Service Plans - Regular ant control plans can cost between $30 and $60 per month. These plans typically include scheduled treatments and inspections to prevent future infestations.

Actual totals will depend on details like access to the work area, the scope of the project, and the materials selected, so use these as general starting points rather than exact figures.

Get an Ants Extermination Service Quote

Ants Extermination services help identify and eliminate ant colonies in residential and commercial properties, preventing future infestations.

Ants Control providers utilize targeted treatments to remove ants from indoor and outdoor spaces, ensuring a pest-free environment.

Ants Barrier Treatments involve applying preventive solutions around structures to deter ants from entering buildings.

Ants Inspection services assess property conditions to locate ant nests and determine the most effective extermination strategies.

Ants Baiting solutions involve placing bait stations to attract and eliminate ants at their source, reducing colony populations.

Ants Removal experts employ various methods to safely and effectively remove ant infestations from affected areas.

Ants Extermination Service

When selecting a professional for ant extermination services, it is important to consider the experience and background of local contractors. Homeowners should look for providers with a proven track record in pest control, particularly in handling ant infestations similar to their specific needs. Reputable local pros often have years of experience working within communities like Allen, TX, which can translate into a deeper understanding of common ant issues and effective treatment methods. Gathering information about a contractor’s history and specialization can help ensure that the chosen service provider is well-equipped to address the problem efficiently.

Clear communication and well-defined expectations are crucial when working with pest control professionals. Homeowners are encouraged to seek providers who offer detailed explanations about their treatment approaches, what the process entails, and any necessary preparations or follow-up steps. Reputable local contractors typically provide transparent information, helping clients understand what to expect and reducing potential misunderstandings. Establishing open lines of communication early on can contribute to a smoother service experience and ensure that the homeowner’s concerns are addressed throughout the process.

Reputable references and feedback from previous clients serve as valuable indicators of a local pest control provider’s reliability and quality of service. Homeowners can benefit from seeking recommendations or reviews from community members who have previously engaged with the pros. Reliable providers often have a history of satisfied customers and positive references within the local area. When considering different options, it is helpful to verify a contractor’s reputation through references or reviews to ensure that the chosen professional maintains high standards of service and customer satisfaction.

Get an Ants Extermination Service Quote

Property owners in Allen, TX use Ants Extermination Service services for practical projects around their homes and businesses. The sections below highlight everyday jobs and straightforward project options.

Ants Extermination Service
Ants Extermination Service

Ants extermination services are often sought by property owners in Allen, TX, dealing with common household intrusions. These pests can invade kitchens, pantries, and other areas where food is stored, creating inconvenience and potential health concerns. Local service providers can assist with identifying ant entry points, implementing targeted treatments, and providing advice on preventing future infestations to maintain a pest-free environment.

Property owners may also look for ant extermination when noticing trails or large colonies around their homes or businesses. Outdoor ant activity can lead to indoor invasions, especially during warmer months. Professional extermination services can help address these issues effectively, ensuring that ant problems are managed promptly and reducing the likelihood of recurring visits.

Get an Ants Extermination Service Quote

How do ant extermination services work? Ant extermination services typically involve identifying the ant species, locating their nests, and applying targeted treatments to eliminate colonies and prevent future infestations.

Are ant extermination treatments safe for pets and children? Most professional ant treatments are designed to be safe when applied by experienced service providers, but it is recommended to follow any specific safety instructions provided by the contractor.

How long does an ant extermination treatment take? The duration of an ant extermination service can vary depending on the severity of the infestation and the treatment method used, but many treatments are completed within a few hours.

Will I need multiple treatments to get rid of ants? Some ant infestations may require multiple treatments to fully eliminate colonies, especially if they are extensive or deeply embedded in structures.

How can I prevent future ant problems? Preventative measures include maintaining cleanliness, sealing entry points, and consulting with local pest control providers for ongoing advice and treatments if needed.

Ants Extermination Techniques - Local service providers offer various ant control methods, including baiting and residual sprays, tailored to different infestation levels.

Inspection and Identification - Pros can identify ant species and nesting sites to determine the most effective treatment approach.

Preventive Solutions - Experts recommend sealing entry points and removing attractants to reduce the likelihood of future ant problems.

Ongoing Monitoring - Regular inspections help maintain ant-free environments and address new activity promptly.

Ants Extermination Service

Considering Ants Extermination Service for a property in Allen, TX? The sections above highlight common project types, practical options, and details that often shape the scope of work.

When you are ready, use the quote form to share a few details about your project. Local pros can review the basics and respond with options that match what you have in mind.

Get an Ants Extermination Service Quote

Ants Extermination Quotes